Property Record
40 Sky Oaks Dr, Angwin, CA 94508
Property Detail
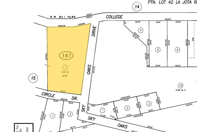
40 Sky Oaks Dr
024-161-001
PTN PARCEL 1 LLA 988 SFAP WITH 024-153-029
Commercialbuilding
Napa
CN
California
B and X Area of moderate flood hazard, usually the area between the limits of the 100-year and 500-year floods.
1.50 AC
2025
Napa County
2025
North Bay/Santa Rosa
201700
Napa, CA
1,680 SF
DEMOGRAPHICS near 40 Sky Oaks Dr
1 mile
3 mile
5 mile
2025 Total Population
1,911
3,054
6,193
2030 Population
1,762
2,804
5,848
Pop Growth 2025-2030
(7.80%)
(8.19%)
(5.57%)
Average Age
38
41
44
2025 Total Households
537
937
2,226
HH Growth 2025-2030
(9.87%)
(10.14%)
(6.06%)
Median Household Inc
$130,783
$128,156
$115,706
Avg Household Size
2.50
2.40
2.40
2025 Avg HH Vehicles
2.00
2.00
2.00
Median Home Value
$870,503
$976,026
$1,022,003
Median Year Built
1963
1964
1968
Nearby Places
Map Layers
Listings with unknown addresses are not visible on the map
- Restaurants
- Banks
- Shops
- Fitness
- Groceries
PUBLIC TRANSPORTATION
AIRPORT
Charles M Schulz - Sonoma County
Drive
Walk
Distance
Charles M Schulz - Sonoma County
57 min
32.7 mi
Freight Ports
Port of Richmond
Drive
Walk
Distance
Port of Richmond
90 min
63.5 mi
SALE & LEASE HISTORY
LISTING DATE
SALE/LEASE
Nearby Properties
Address
Land Use
TOTAL SIZE
Lot Size
Zoning
Address
Land Use
TOTAL SIZE
Lot Size
Zoning
24,093 SF
50.34 AC
PD
Address
Land Use
TOTAL SIZE
Lot Size
Zoning
76.14 AC
Address
Land Use
TOTAL SIZE
Lot Size
Zoning
5,442 SF
53.90 AC
AW
Address
Land Use
TOTAL SIZE
Lot Size
Zoning
68.33 AC
Address
Land Use
TOTAL SIZE
Lot Size
Zoning
17,628 SF
13.99 AC
AW
Address
Land Use
TOTAL SIZE
Lot Size
Zoning
1,576 SF
42.29 AC
AW
Address
Land Use
TOTAL SIZE
Lot Size
Zoning
13,345 SF
42.53 AC
AW
Address
Land Use
TOTAL SIZE
Lot Size
Zoning
1.85 AC
PDAC
Address
Land Use
TOTAL SIZE
Lot Size
Zoning
8,919 SF
52.58 AC
AW
Address
Land Use
TOTAL SIZE
Lot Size
Zoning
3,132 SF
41.64 AC
AW
Address
Land Use
TOTAL SIZE
Lot Size
Zoning
3,348 SF
39.53 AC
Address
Land Use
TOTAL SIZE
Lot Size
Zoning
4,776 SF
70.76 AC
AW
Address
Land Use
TOTAL SIZE
Lot Size
Zoning
63.31 AC
AW
Address
Land Use
TOTAL SIZE
Lot Size
Zoning
353 SF
68.05 AC
AWAC
Address
Land Use
TOTAL SIZE
Lot Size
Zoning
176.11 AC
Address
Land Use
TOTAL SIZE
Lot Size
Zoning
171.22 AC
AW
Address
Land Use
TOTAL SIZE
Lot Size
Zoning
2,187 SF
109.27 AC
AWAC
Address
Land Use
TOTAL SIZE
Lot Size
Zoning
4,883 SF
41.60 AC
AW
Address
Land Use
TOTAL SIZE
Lot Size
Zoning
4,707 SF
40 AC
AW
Address
Land Use
TOTAL SIZE
Lot Size
Zoning
42.33 AC
AW
Address
Land Use
TOTAL SIZE
Lot Size
Zoning
2,834 SF
26.44 AC
Address
Land Use
TOTAL SIZE
Lot Size
Zoning
Address
Land Use
TOTAL SIZE
Lot Size
Zoning
6.57 AC
AW
Address
Land Use
TOTAL SIZE
Lot Size
Zoning
1,754 SF
26.65 AC
AW
Address
Land Use
TOTAL SIZE
Lot Size
Zoning
8,881 SF
22.48 AC
AWAC
Address
Land Use
TOTAL SIZE
Lot Size
Zoning
8,325 SF
148.67 AC
AW
Address
Land Use
TOTAL SIZE
Lot Size
Zoning
6,499 SF
45.84 AC
AW







