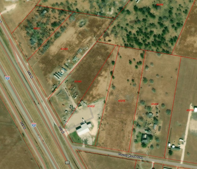
Property Record
4136 Interstate Highway 37, Odem, TX 78370
Property Detail
4136 Interstate Highway 37
Corpus Christi, TX
CUBAGE & MILLER HILLTOP ACRES SEC 6 TR 12-B HILLTOP ACRES 3 ACRES
61432
SAN PATRICIO
Commercialnec
Texas
B and X Area of moderate flood hazard, usually the area between the limits of the 100-year and 500-year floods.
12
2024
3 AC
2025
West San Patricio Cnty
010900
Corpus Christi
5,000 SF
NEARBY LISTINGS FOR SALE OR LEASE
-
-
View all Odem listings for lease on LoopNet.com
DEMOGRAPHICS near 4136 Interstate Highway 37
1 mile
3 mile
5 mile
2025 Total Population
171
678
4,539
2030 Population
168
669
4,457
Pop Growth 2025-2030
(1.75%)
(1.33%)
(1.81%)
Average Age
40
40
40
2025 Total Households
57
227
1,580
HH Growth 2025-2030
(1.75%)
(1.32%)
(1.90%)
Median Household Inc
$66,818
$67,134
$68,743
Avg Household Size
2.80
2.80
2.80
2025 Avg HH Vehicles
2.00
2.00
2.00
Median Home Value
$250,000
$247,561
$221,603
Median Year Built
1984
1985
1979
Nearby Places
Map Layers
Listings with unknown addresses are not visible on the map
- Restaurants
- Banks
- Shops
- Fitness
- Groceries
PUBLIC TRANSPORTATION
AIRPORT
Corpus Christi International
Drive
Walk
Distance
Corpus Christi International
28 min
21.9 mi
SALE & LEASE HISTORY
LISTING DATE
SALE/LEASE
Nearby Properties
Address
Land Use
TOTAL SIZE
Lot Size
Zoning
Address
Land Use
TOTAL SIZE
Lot Size
Zoning
20,436 SF
4.01 AC
Address
Land Use
TOTAL SIZE
Lot Size
Zoning
118.32 AC
Address
Land Use
TOTAL SIZE
Lot Size
Zoning
70.25 AC
Address
Land Use
TOTAL SIZE
Lot Size
Zoning
98.07 AC
Address
Land Use
TOTAL SIZE
Lot Size
Zoning
25,105 SF
2.07 AC
Address
Land Use
TOTAL SIZE
Lot Size
Zoning
48.34 AC
Address
Land Use
TOTAL SIZE
Lot Size
Zoning
6,765 SF
10 AC
Address
Land Use
TOTAL SIZE
Lot Size
Zoning
4,424 SF
0.42 AC
Address
Land Use
TOTAL SIZE
Lot Size
Zoning
6,980 SF
Address
Land Use
TOTAL SIZE
Lot Size
Zoning
6,185 SF
1.40 AC
Address
Land Use
TOTAL SIZE
Lot Size
Zoning
15,674 SF
8 AC
Address
Land Use
TOTAL SIZE
Lot Size
Zoning
2.83 AC
Address
Land Use
TOTAL SIZE
Lot Size
Zoning
17,700 SF
1.69 AC
Address
Land Use
TOTAL SIZE
Lot Size
Zoning
28.84 AC
Address
Land Use
TOTAL SIZE
Lot Size
Zoning
1,458 SF
6.48 AC
Address
Land Use
TOTAL SIZE
Lot Size
Zoning
856 SF
2.19 AC
Address
Land Use
TOTAL SIZE
Lot Size
Zoning
6,500 SF
1.25 AC
Address
Land Use
TOTAL SIZE
Lot Size
Zoning
5,000 SF
3 AC
Address
Land Use
TOTAL SIZE
Lot Size
Zoning
5,779 SF
4 AC
Address
Land Use
TOTAL SIZE
Lot Size
Zoning
3,381 SF
121.76 AC
Address
Land Use
TOTAL SIZE
Lot Size
Zoning
3,780 SF
0.22 AC
Address
Land Use
TOTAL SIZE
Lot Size
Zoning
4,782 SF
0.73 AC
Address
Land Use
TOTAL SIZE
Lot Size
Zoning
1,914 SF
10.37 AC
Address
Land Use
TOTAL SIZE
Lot Size
Zoning
4,416 SF
20 AC
Address
Land Use
TOTAL SIZE
Lot Size
Zoning
4,670 SF
1.50 AC
Address
Land Use
TOTAL SIZE
Lot Size
Zoning
2,472 SF
0.57 AC
Address
Land Use
TOTAL SIZE
Lot Size
Zoning
3,164 SF
1.38 AC
Address
Land Use
TOTAL SIZE
Lot Size
Zoning
5,319 SF
25 AC
Address
Land Use
TOTAL SIZE
Lot Size
Zoning
2,520 SF
0.50 AC






