Property Record
4138 Main St, Timnath, CO 80547
Property Detail
4138 Main St
Fort Collins-Loveland, CO
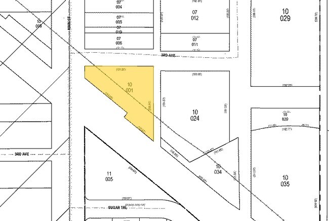
POR OF LOT 1, BLK 2, & LOT 7, BLK 1, TIMNATH DESC: COM AT NW COR OF SW 1/4, 35-7-68, TH S 00 00 E 365 FT TO S BDRY LN OF 3RD AVE E; TH N 90 00 E 42 FT TPOB; TH N 90 00 E ALG S BDRY OF 3RD AVE E 190.20 FT; TH S 00 00 E 203.08 FT, TH N 50 41 W 96.30 FT
87353-10-001
Larimer
Commercialbuilding
Colorado
B and X Area of moderate flood hazard, usually the area between the limits of the 100-year and 500-year floods.
1,7
2024
0.36 AC
2025
Fort Collins
002506
Denver
12,249 SF
NEARBY LISTINGS FOR SALE OR LEASE
DEMOGRAPHICS near 4138 Main St
1 mile
3 mile
5 mile
2025 Total Population
2,432
31,215
98,595
2030 Population
2,660
32,849
102,951
Pop Growth 2025-2030
+ 9.38%
+ 5.23%
+ 4.42%
Average Age
39
38
39
2025 Total Households
808
11,145
38,975
HH Growth 2025-2030
+ 9.53%
+ 5.14%
+ 4.45%
Median Household Inc
$163,016
$123,670
$107,928
Avg Household Size
3.00
2.70
2.50
2025 Avg HH Vehicles
2.00
2.00
2.00
Median Home Value
$840,707
$731,369
$679,811
Median Year Built
2011
2007
2000
Nearby Places
Map Layers
Listings with unknown addresses are not visible on the map
- Restaurants
- Banks
- Shops
- Fitness
- Groceries
Nearby Properties
Address
Land Use
TOTAL SIZE
Lot Size
Zoning
Address
Land Use
TOTAL SIZE
Lot Size
Zoning
986,039 SF
69.46 AC
HC
Address
Land Use
TOTAL SIZE
Lot Size
Zoning
235,094 SF
20.06 AC
HC
Address
Land Use
TOTAL SIZE
Lot Size
Zoning
251,556 SF
89.99 AC
Address
Land Use
TOTAL SIZE
Lot Size
Zoning
536,325 SF
71.48 AC
Address
Land Use
TOTAL SIZE
Lot Size
Zoning
211,711 SF
19.22 AC
HC
Address
Land Use
TOTAL SIZE
Lot Size
Zoning
215,240 SF
29.22 AC
RL
Address
Land Use
TOTAL SIZE
Lot Size
Zoning
137,014 SF
13.64 AC
HC
Address
Land Use
TOTAL SIZE
Lot Size
Zoning
146,813 SF
26.87 AC
Address
Land Use
TOTAL SIZE
Lot Size
Zoning
190,617 SF
10.30 AC
HC
Address
Land Use
TOTAL SIZE
Lot Size
Zoning
199,464 SF
29.36 AC
HC
Address
Land Use
TOTAL SIZE
Lot Size
Zoning
371,388 SF
22.29 AC
Address
Land Use
TOTAL SIZE
Lot Size
Zoning
215,222 SF
23.23 AC
Address
Land Use
TOTAL SIZE
Lot Size
Zoning
189,255 SF
22.89 AC
Address
Land Use
TOTAL SIZE
Lot Size
Zoning
191,538 SF
21.82 AC
Address
Land Use
TOTAL SIZE
Lot Size
Zoning
177,171 SF
13.28 AC
HC
Address
Land Use
TOTAL SIZE
Lot Size
Zoning
285,616 SF
10.16 AC
Address
Land Use
TOTAL SIZE
Lot Size
Zoning
157,686 SF
12.06 AC
Address
Land Use
TOTAL SIZE
Lot Size
Zoning
106,845 SF
4.65 AC
Address
Land Use
TOTAL SIZE
Lot Size
Zoning
227,540 SF
11.83 AC
Address
Land Use
TOTAL SIZE
Lot Size
Zoning
38,592 SF
20.06 AC
HC
Address
Land Use
TOTAL SIZE
Lot Size
Zoning
34,094 SF
Address
Land Use
TOTAL SIZE
Lot Size
Zoning
92,130 SF
5 AC
Address
Land Use
TOTAL SIZE
Lot Size
Zoning
58,903 SF
6.24 AC
HC
Address
Land Use
TOTAL SIZE
Lot Size
Zoning
63,000 SF
13.97 AC
LMN
Address
Land Use
TOTAL SIZE
Lot Size
Zoning
39,696 SF
13.91 AC
Address
Land Use
TOTAL SIZE
Lot Size
Zoning
69,892 SF
7.53 AC
Address
Land Use
TOTAL SIZE
Lot Size
Zoning
139,578 SF
13.83 AC
HC
Address
Land Use
TOTAL SIZE
Lot Size
Zoning
60,961 SF
5 AC
Address
Land Use
TOTAL SIZE
Lot Size
Zoning
56,147 SF
1.77 AC






