Property Record
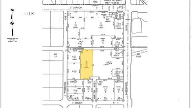
4150 Mcgowen St, Long Beach, CA 90808
Property Detail
4150 Mcgowen St
7149-018-022
P M 391-69-76 EX OF ST LOT 9
Regionalshoppingcenterormallwithanchorstore
Los Angeles
LBPPD1
California
B and X Area of moderate flood hazard, usually the area between the limits of the 100-year and 500-year floods.
9
2025
2.47 AC
2025
Long Beach: Suburban
573601
Los Angeles
16,875 SF
Los Angeles-Long Beach-Glendale, CA
NEARBY LISTINGS FOR SALE OR LEASE
DEMOGRAPHICS near 4150 Mcgowen St
1 mile
3 mile
5 mile
2025 Total Population
8,538
201,430
700,011
2030 Population
8,388
198,738
693,058
Pop Growth 2025-2030
(1.76%)
(1.34%)
(0.99%)
Average Age
43
41
40
2025 Total Households
3,106
69,673
239,755
HH Growth 2025-2030
(2.16%)
(1.59%)
(1.11%)
Median Household Inc
$135,685
$107,007
$89,659
Avg Household Size
2.70
2.80
2.80
2025 Avg HH Vehicles
2.00
2.00
2.00
Median Home Value
$892,686
$786,370
$776,433
Median Year Built
1953
1956
1959
Nearby Places
Map Layers
Listings with unknown addresses are not visible on the map
- Restaurants
- Banks
- Shops
- Fitness
- Groceries
PUBLIC TRANSPORTATION
AIRPORT
Long Beach (Daugherty Field)
Drive
Walk
Distance
Long Beach (Daugherty Field)
6 min
2.6 mi
John Wayne/Orange County
Drive
Walk
Distance
John Wayne/Orange County
28 min
21.3 mi
Los Angeles International
Drive
Walk
Distance
Los Angeles International
31 min
22.1 mi
Freight Ports
Port of Long Beach
Drive
Walk
Distance
Port of Long Beach
15 min
6.7 mi
SALE & LEASE HISTORY
LISTING DATE
SALE/LEASE
Nearby Properties
Address
Land Use
TOTAL SIZE
Lot Size
Zoning
Address
Land Use
TOTAL SIZE
Lot Size
Zoning
502,333 SF
21.89 AC
LBI
Address
Land Use
TOTAL SIZE
Lot Size
Zoning
202,924 SF
99.50 AC
LKC4*
Address
Land Use
TOTAL SIZE
Lot Size
Zoning
954,581 SF
50.09 AC
LBPD 19
Address
Land Use
TOTAL SIZE
Lot Size
Zoning
140,236 SF
9.21 AC
LBR4N
Address
Land Use
TOTAL SIZE
Lot Size
Zoning
199,137 SF
6.39 AC
LBR4R
Address
Land Use
TOTAL SIZE
Lot Size
Zoning
160,112 SF
3.94 AC
LBPPD1
Address
Land Use
TOTAL SIZE
Lot Size
Zoning
108,931 SF
5.76 AC
LBPPD1
Address
Land Use
TOTAL SIZE
Lot Size
Zoning
120,843 SF
9 AC
LBCCA
Address
Land Use
TOTAL SIZE
Lot Size
Zoning
97,250 SF
4.86 AC
LBPPD1
Address
Land Use
TOTAL SIZE
Lot Size
Zoning
454,860 SF
0.64 AC
LBIM
Address
Land Use
TOTAL SIZE
Lot Size
Zoning
1,097,606 SF
52.50 AC
LBPD
Address
Land Use
TOTAL SIZE
Lot Size
Zoning
237,124 SF
5.50 AC
LBCHW
Address
Land Use
TOTAL SIZE
Lot Size
Zoning
89,993 SF
16.81 AC
LBCC
Address
Land Use
TOTAL SIZE
Lot Size
Zoning
91,545 SF
2.86 AC
LBPPD1
Address
Land Use
TOTAL SIZE
Lot Size
Zoning
72,090 SF
3.87 AC
LBML*
Address
Land Use
TOTAL SIZE
Lot Size
Zoning
292,696 SF
11.48 AC
LBR4
Address
Land Use
TOTAL SIZE
Lot Size
Zoning
312,469 SF
6.85 AC
LBCCA
Address
Land Use
TOTAL SIZE
Lot Size
Zoning
204,767 SF
8.78 AC
LBI
Address
Land Use
TOTAL SIZE
Lot Size
Zoning
132,404 SF
4.84 AC
LBIG
Address
Land Use
TOTAL SIZE
Lot Size
Zoning
51,982 SF
5.11 AC
LBPD27
Address
Land Use
TOTAL SIZE
Lot Size
Zoning
351,609 SF
8.27 AC
SHCG*
Address
Land Use
TOTAL SIZE
Lot Size
Zoning
276,622 SF
16.37 AC
LBPD17
Address
Land Use
TOTAL SIZE
Lot Size
Zoning
233,030 SF
10.95 AC
LBR4
Address
Land Use
TOTAL SIZE
Lot Size
Zoning
108,564 SF
2.48 AC
LBR4N
Address
Land Use
TOTAL SIZE
Lot Size
Zoning
80,114 SF
1.27 AC
LKC4*
Address
Land Use
TOTAL SIZE
Lot Size
Zoning
156,264 SF
5.33 AC
LBI*
Address
Land Use
TOTAL SIZE
Lot Size
Zoning
102,676 SF
8.87 AC
SHSP-1*
Address
Land Use
TOTAL SIZE
Lot Size
Zoning
85,992 SF
4.01 AC
LBR4R
Address
Land Use
TOTAL SIZE
Lot Size
Zoning
299,406 SF
1.72 AC
LKC4*








