Property Record
421 E Fountain Pl, Manitou Springs, CO 80829
NEARBY LISTINGS FOR SALE OR LEASE
Property Detail
421 E Fountain Pl
Colorado Springs, CO
Manitou Springs
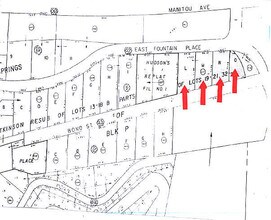
74054-42-017
LOTS L, M, N, THAT PART OF LOT O AS FOLS, BEG AT NW COR OF SD LOT O, TH NELY 4.05 FT TO PT OF CURVATURE OF CUR TO R, NELY ON SD CUR TO R HAVING A RAD OF 103.25 FT + C/A OF 1<5719 AN ARC DIST OF 3.52 FT M/L TO INTSEC CUR TO L, ANG R 66<0204 SELY FROM
Multifamilydwelling
El Paso
X
Colorado
08041C0707G
l,m,o
2024
0.46 AC
2025
Outer Northwest El Paso County
006702
Colorado Springs
12,996 SF
DEMOGRAPHICS near 421 E Fountain Pl
1 Mile
3 Mile
5 Mile
2024 Total Population
4,419
21,110
71,507
2029 Population
4,612
22,108
74,819
Pop Growth 2024-2029
+ 4.37%
+ 4.73%
+ 4.63%
Average Age
46
47
43
2024 Total Households
2,207
10,123
32,815
HH Growth 2024-2029
+ 4.62%
+ 5.08%
+ 4.93%
Median Household Inc
$81,472
$72,707
$68,616
Avg Household Size
2.00
2.00
2.00
2024 Avg HH Vehicles
2.00
2.00
2.00
Median Home Value
$564,076
$468,292
$464,039
Median Year Built
1955
1971
1974
Nearby Places
Map Layers
- Restaurants
- Banks
- Shops
- Fitness
- Groceries
PUBLIC TRANSPORTATION
AIRPORT
City of Colorado Springs Municipal
DRIVE
WALK
Distance
City of Colorado Springs Municipal
29 min
15.7 mi
SALE & LEASE HISTORY
LISTING DATE
SALE/LEASE
Nearby Properties
Address
Land Use
TOTAL SIZE
Lot Size
Zoning
Address
Land Use
TOTAL SIZE
Lot Size
Zoning
107,247 SF
56.98 AC
R-E PF
Address
Land Use
TOTAL SIZE
Lot Size
Zoning
2,422 SF
616.19 AC
PK MX-I PD
Address
Land Use
TOTAL SIZE
Lot Size
Zoning
75,349 SF
27.75 AC
EPC
Address
Land Use
TOTAL SIZE
Lot Size
Zoning
45,268 SF
8.37 AC
PDZ UV
Address
Land Use
TOTAL SIZE
Lot Size
Zoning
37,196 SF
3 AC
PDZ
Address
Land Use
TOTAL SIZE
Lot Size
Zoning
99,085 SF
6.85 AC
R-1 6
Address
Land Use
TOTAL SIZE
Lot Size
Zoning
4.78 AC
R-T
Address
Land Use
TOTAL SIZE
Lot Size
Zoning
157,471 SF
0.02 AC
PUD,HS
Address
Land Use
TOTAL SIZE
Lot Size
Zoning
17,764 SF
1.63 AC
PDZ
Address
Land Use
TOTAL SIZE
Lot Size
Zoning
20,147 SF
38.98 AC
PK HS
Address
Land Use
TOTAL SIZE
Lot Size
Zoning
127.25 AC
PK HS
Address
Land Use
TOTAL SIZE
Lot Size
Zoning
31,314 SF
1.55 AC
MX-M/CR
Address
Land Use
TOTAL SIZE
Lot Size
Zoning
34,296 SF
0.85 AC
Address
Land Use
TOTAL SIZE
Lot Size
Zoning
3,058 SF
28.22 AC
HLDR
Address
Land Use
TOTAL SIZE
Lot Size
Zoning
6,658 SF
189.56 AC
R-E PK HS
Address
Land Use
TOTAL SIZE
Lot Size
Zoning
14,263 SF
0.98 AC
R-2 R-5
Address
Land Use
TOTAL SIZE
Lot Size
Zoning
80 AC
PK HS SS
Address
Land Use
TOTAL SIZE
Lot Size
Zoning
1,188 SF
27.20 AC
R-E
Address
Land Use
TOTAL SIZE
Lot Size
Zoning
464,447 SF
17.53 AC
PDZ
Address
Land Use
TOTAL SIZE
Lot Size
Zoning
33,548 SF
3.80 AC
R-E
Address
Land Use
TOTAL SIZE
Lot Size
Zoning
31,110 SF
9.38 AC
R-1 6
Address
Land Use
TOTAL SIZE
Lot Size
Zoning
4,062 SF
355.88 AC
PK HS
Address
Land Use
TOTAL SIZE
Lot Size
Zoning
33,673 SF
0.83 AC
MX-M
Address
Land Use
TOTAL SIZE
Lot Size
Zoning
15,964 SF
6.04 AC
R-2 HS CU
Address
Land Use
TOTAL SIZE
Lot Size
Zoning
26,813 SF
2.48 AC
R-2 CU
Address
Land Use
TOTAL SIZE
Lot Size
Zoning
36,471 SF
3.03 AC
MX-L
Address
Land Use
TOTAL SIZE
Lot Size
Zoning
24,433 SF
1.69 AC
R-1 6
Address
Land Use
TOTAL SIZE
Lot Size
Zoning
16,964 SF
2.43 AC
PF
Address
Land Use
TOTAL SIZE
Lot Size
Zoning
38,885 SF
5.82 AC
R-1 6
Address
Land Use
TOTAL SIZE
Lot Size
Zoning
17,840 SF
1.22 AC
R-2 MX-M





