Property Record
423 Shaw Ln, Huger, SC 29450
Property Detail
423 Shaw Ln
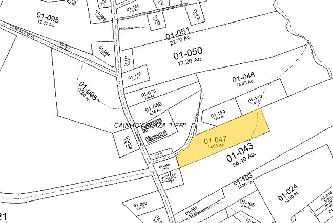
248-00-01-047
BERKELEY
Vacantlandnec
South Carolina
BERKELEY C
1
B and X Area of moderate flood hazard, usually the area between the limits of the 100-year and 500-year floods.
6.10 AC
2025
Outlying Berkeley County
2025
Charleston/N Charleston
020405
Charleston-North Charleston, SC
NEARBY LISTINGS FOR SALE OR LEASE
-
-
View all Huger listings for sale on LoopNet.com
DEMOGRAPHICS near 423 Shaw Ln
1 mile
3 mile
5 mile
2025 Total Population
488
1,807
6,230
2030 Population
566
2,116
7,343
Pop Growth 2025-2030
+ 15.98%
+ 17.10%
+ 17.87%
Average Age
44
43
41
2025 Total Households
203
719
2,415
HH Growth 2025-2030
+ 16.75%
+ 17.39%
+ 18.18%
Median Household Inc
$76,136
$62,960
$83,921
Avg Household Size
2.40
2.50
2.50
2025 Avg HH Vehicles
2.00
2.00
2.00
Median Home Value
$320,930
$322,807
$400,935
Median Year Built
2003
2005
2010
Nearby Places
Map Layers
Listings with unknown addresses are not visible on the map
- Restaurants
- Banks
- Shops
- Fitness
- Groceries
PUBLIC TRANSPORTATION
AIRPORT
Charleston AFB/International
Drive
Walk
Distance
Charleston AFB/International
43 min
24.2 mi
Freight Ports
North Charleston Terminal
Drive
Walk
Distance
North Charleston Terminal
31 min
16.9 mi
Nearby Properties
Address
Land Use
TOTAL SIZE
Lot Size
Zoning
Address
Land Use
TOTAL SIZE
Lot Size
Zoning
249,340 SF
2,109.20 AC
BERKELEY C
Address
Land Use
TOTAL SIZE
Lot Size
Zoning
19,118 SF
570 AC
BERKELEY C
Address
Land Use
TOTAL SIZE
Lot Size
Zoning
107,100 SF
18.62 AC
BERKELEY C
Address
Land Use
TOTAL SIZE
Lot Size
Zoning
150,175 SF
40.09 AC
OPIP
Address
Land Use
TOTAL SIZE
Lot Size
Zoning
33.31 AC
BERKELEY C
Address
Land Use
TOTAL SIZE
Lot Size
Zoning
33,575 SF
8.02 AC
BERKELEY C
Address
Land Use
TOTAL SIZE
Lot Size
Zoning
240,000 SF
36.56 AC
BERKELEY C
Address
Land Use
TOTAL SIZE
Lot Size
Zoning
23,276 SF
8.70 AC
OPIP
Address
Land Use
TOTAL SIZE
Lot Size
Zoning
299.71 AC
BERKELEY C
Address
Land Use
TOTAL SIZE
Lot Size
Zoning
4,060 SF
11.96 AC
BERKELEY C
Address
Land Use
TOTAL SIZE
Lot Size
Zoning
14,845 SF
13.07 AC
BERKELEY C
Address
Land Use
TOTAL SIZE
Lot Size
Zoning
137,540 SF
18.40 AC
BERKELEY C
Address
Land Use
TOTAL SIZE
Lot Size
Zoning
92,560 SF
17.22 AC
OPIP
Address
Land Use
TOTAL SIZE
Lot Size
Zoning
1,152 SF
46.14 AC
BERKELEY C
Address
Land Use
TOTAL SIZE
Lot Size
Zoning
10.77 AC
BERKELEY C
Address
Land Use
TOTAL SIZE
Lot Size
Zoning
34.32 AC
BERKELEY C
Address
Land Use
TOTAL SIZE
Lot Size
Zoning
2,788 SF
BERKELEY C
Address
Land Use
TOTAL SIZE
Lot Size
Zoning
8,064 SF
4.50 AC
BERKELEY C
Address
Land Use
TOTAL SIZE
Lot Size
Zoning
121.59 AC
BERKELEY C
Address
Land Use
TOTAL SIZE
Lot Size
Zoning
5,789 SF
3.51 AC
BERKELEY C
Address
Land Use
TOTAL SIZE
Lot Size
Zoning
3,304 SF
2 AC
BERKELEY C
Address
Land Use
TOTAL SIZE
Lot Size
Zoning
1,907.02 AC
BERKELEY C
Address
Land Use
TOTAL SIZE
Lot Size
Zoning
12,438 SF
2.48 AC
BERKELEY C
Address
Land Use
TOTAL SIZE
Lot Size
Zoning
1.68 AC
BERKELEY C
Address
Land Use
TOTAL SIZE
Lot Size
Zoning
47.54 AC
BERKELEY C
Address
Land Use
TOTAL SIZE
Lot Size
Zoning
2,240 SF
1.18 AC
BERKELEY C







