Property Record
430 Dunster Dr, Campbell, CA 95008
Property Detail
430 Dunster Dr
305-21-021
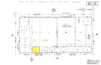
TRACT 1805 LAWNDALE SUBD BOOK 84 PAGE 39 PAGE 40 LOT 18
Multifamilydwelling
Santa Clara
R-2
California
B and X Area of moderate flood hazard, usually the area between the limits of the 100-year and 500-year floods.
18
2024
0.30 AC
2025
Outer Campbell/Los Gatos
506503
South Bay/San Jose
6,204 SF
San Jose-Sunnyvale-Santa Clara, CA
NEARBY LISTINGS FOR SALE OR LEASE
DEMOGRAPHICS near 430 Dunster Dr
1 mile
3 mile
5 mile
2025 Total Population
30,777
238,831
583,943
2030 Population
31,320
244,187
598,131
Pop Growth 2025-2030
+ 1.76%
+ 2.24%
+ 2.43%
Average Age
40
40
40
2025 Total Households
11,726
90,082
214,163
HH Growth 2025-2030
+ 1.68%
+ 2.25%
+ 2.51%
Median Household Inc
$122,649
$143,874
$153,331
Avg Household Size
2.50
2.60
2.60
2025 Avg HH Vehicles
2.00
2.00
2.00
Median Home Value
$1,101,125
$1,119,303
$1,122,663
Median Year Built
1971
1968
1968
Nearby Places
Map Layers
Listings with unknown addresses are not visible on the map
- Restaurants
- Banks
- Shops
- Fitness
- Groceries
PUBLIC TRANSPORTATION
TRANSIT/SUBWAY
Hamilton Station (Mountain View - Winchester Line - Santa Clara VTA Light Rail)
Drive
Walk
Distance
Hamilton Station (Mountain View - Winchester Line - Santa Clara VTA Light Rail)
2 min
20 min
1.0 mi
Downtown Campbell Station (Mountain View - Winchester Line - Santa Clara VTA Light Rail)
Drive
Walk
Distance
Downtown Campbell Station (Mountain View - Winchester Line - Santa Clara VTA Light Rail)
4 min
19 min
1.0 mi
COMMUTER RAIL
Drive
Walk
Distance
10 min
6.0 mi
AIRPORT
Norman Y Mineta San Jose International
Drive
Walk
Distance
Norman Y Mineta San Jose International
12 min
7.0 mi
San Francisco International
Drive
Walk
Distance
San Francisco International
49 min
37.6 mi
Metro Oakland International
Drive
Walk
Distance
Metro Oakland International
50 min
40.2 mi
SALE & LEASE HISTORY
LISTING DATE
SALE/LEASE
Nearby Properties
Address
Land Use
TOTAL SIZE
Lot Size
Zoning
Address
Land Use
TOTAL SIZE
Lot Size
Zoning
1,121,228 SF
7.68 AC
RM(PD
Address
Land Use
TOTAL SIZE
Lot Size
Zoning
4.56 AC
CP
Address
Land Use
TOTAL SIZE
Lot Size
Zoning
252,210 SF
15.85 AC
C2S
Address
Land Use
TOTAL SIZE
Lot Size
Zoning
457,162 SF
3.97 AC
A(PD)
Address
Land Use
TOTAL SIZE
Lot Size
Zoning
617,814 SF
21.96 AC
CG
Address
Land Use
TOTAL SIZE
Lot Size
Zoning
67,435 SF
11.93 AC
C2
Address
Land Use
TOTAL SIZE
Lot Size
Zoning
13.17 AC
C1
Address
Land Use
TOTAL SIZE
Lot Size
Zoning
3.40 AC
APD
Address
Land Use
TOTAL SIZE
Lot Size
Zoning
298,461 SF
5.45 AC
C3H
Address
Land Use
TOTAL SIZE
Lot Size
Zoning
4.75 AC
CP-PD
Address
Land Use
TOTAL SIZE
Lot Size
Zoning
222,000 SF
11.56 AC
IP
Address
Land Use
TOTAL SIZE
Lot Size
Zoning
234,622 SF
1.89 AC
A(PD)
Address
Land Use
TOTAL SIZE
Lot Size
Zoning
295,569 SF
30.70 AC
SJ
Address
Land Use
TOTAL SIZE
Lot Size
Zoning
116,953 SF
8.61 AC
C-2
Address
Land Use
TOTAL SIZE
Lot Size
Zoning
16.11 AC
CG
Address
Land Use
TOTAL SIZE
Lot Size
Zoning
279,360 SF
9.04 AC
R3
Address
Land Use
TOTAL SIZE
Lot Size
Zoning
4.04 AC
CT
Address
Land Use
TOTAL SIZE
Lot Size
Zoning
172,772 SF
3.47 AC
PD
Address
Land Use
TOTAL SIZE
Lot Size
Zoning
469,773 SF
7.02 AC
APD
Address
Land Use
TOTAL SIZE
Lot Size
Zoning
148,429 SF
0.97 AC
CMPD
Address
Land Use
TOTAL SIZE
Lot Size
Zoning
814,622 SF
14.57 AC
R3
Address
Land Use
TOTAL SIZE
Lot Size
Zoning
147,459 SF
0.97 AC
CMPD
Address
Land Use
TOTAL SIZE
Lot Size
Zoning
16,520 SF
6.18 AC
CC
Address
Land Use
TOTAL SIZE
Lot Size
Zoning
290,688 SF
8.45 AC
APD
Address
Land Use
TOTAL SIZE
Lot Size
Zoning
209,016 SF
8.50 AC
P-D
Address
Land Use
TOTAL SIZE
Lot Size
Zoning
237,928 SF
12.58 AC
APD
Address
Land Use
TOTAL SIZE
Lot Size
Zoning
190,044 SF
3.88 AC
P-D
Address
Land Use
TOTAL SIZE
Lot Size
Zoning
112,470 SF
1 AC
CMPD
Address
Land Use
TOTAL SIZE
Lot Size
Zoning
281,736 SF
9.67 AC
R3
Address
Land Use
TOTAL SIZE
Lot Size
Zoning
218,840 SF
11.73 AC
A-PD








