Property Record
This page contains information about the property located at 4300 W Interstate 20, Midland, TX, 79703. It is currently available for sale.

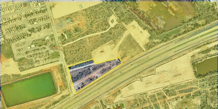
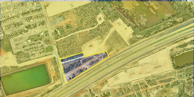
4300 W Interstate 20, Midland, TX 79703

This Property Is For Sale

Land SALE
$406,700
5.81 AC Lots

Property Detail

Information for the property located at 4300 W Interstate 20 Midland, TX includes data gathered from MIDLAND County tax records, public records data providers and LoopNet historical data records.
4300 W Interstate 20
Midland, TX
ACRES: 5.810 SW/4 SEC: 5 BLK: 39-T2S
R000004-606
MIDLAND
Realpropertynec
Texas
BP
5.81 AC
2025
Midland & Odessa
2025
Other Market Areas
001200

NEARBY LISTINGS FOR SALE OR LEASE

DEMOGRAPHICS near 4300 W Interstate 20

1 mile
3 mile
5 mile
2025 Total Population
2,147
39,394
113,938
2030 Population
2,374
43,183
125,185
Pop Growth 2025-2030
+ 10.57%
+ 9.62%
+ 9.87%
Average Age
34
34
35
2025 Total Households
665
13,725
41,277
HH Growth 2025-2030
+ 11.73%
+ 10.86%
+ 11.10%
Median Household Inc
$58,139
$77,929
$82,691
Avg Household Size
3.00
2.80
2.70
2025 Avg HH Vehicles
2.00
2.00
2.00
Median Home Value
$172,474
$213,775
$282,675
Median Year Built
1984
1976
1981

Nearby Places

Map Layers
Map Styles
Street
Aerial
Layers
Transit
Traffic
Biking
Places
Listings with unknown addresses are not visible on the map

PUBLIC TRANSPORTATION

AIRPORT
Midland International Air And Space Port
Drive
Walk
Distance
Midland International Air And Space Port
14 min
8.6 mi

Nearby Properties

Address
Land Use
TOTAL SIZE
Lot Size
Zoning
Address
Land Use
TOTAL SIZE
Lot Size
Zoning
2,453 SF
13.68 AC
Address
Land Use
TOTAL SIZE
Lot Size
Zoning
28,750 SF
10.11 AC
Address
Land Use
TOTAL SIZE
Lot Size
Zoning
Address
Land Use
TOTAL SIZE
Lot Size
Zoning
Address
Land Use
TOTAL SIZE
Lot Size
Zoning
Address
Land Use
TOTAL SIZE
Lot Size
Zoning
Address
Land Use
TOTAL SIZE
Lot Size
Zoning
Address
Land Use
TOTAL SIZE
Lot Size
Zoning
137,457 SF
8.73 AC
MF1
Address
Land Use
TOTAL SIZE
Lot Size
Zoning
86,922 SF
1.87 AC
PDMC
Address
Land Use
TOTAL SIZE
Lot Size
Zoning
12,420 SF
40.94 AC
Address
Land Use
TOTAL SIZE
Lot Size
Zoning
55,790 SF
2.54 AC
PDSC
Address
Land Use
TOTAL SIZE
Lot Size
Zoning
11,716 SF
1.49 AC
Address
Land Use
TOTAL SIZE
Lot Size
Zoning
Address
Land Use
TOTAL SIZE
Lot Size
Zoning
105,182 SF
5.29 AC
MF1
Address
Land Use
TOTAL SIZE
Lot Size
Zoning
15,068 SF
2.77 AC
LR2
Address
Land Use
TOTAL SIZE
Lot Size
Zoning
720 SF
1.86 AC
Address
Land Use
TOTAL SIZE
Lot Size
Zoning
Address
Land Use
TOTAL SIZE
Lot Size
Zoning
11,536 SF
1.60 AC
Address
Land Use
TOTAL SIZE
Lot Size
Zoning
70,000 SF
4.42 AC
PDOC
Address
Land Use
TOTAL SIZE
Lot Size
Zoning
17,022 SF
1.60 AC
Address
Land Use
TOTAL SIZE
Lot Size
Zoning
14,472 SF
2.50 AC
Address
Land Use
TOTAL SIZE
Lot Size
Zoning
31,260 SF
5.83 AC
MF1
Address
Land Use
TOTAL SIZE
Lot Size
Zoning
176,902 SF
5.04 AC
LR2
Address
Land Use
TOTAL SIZE
Lot Size
Zoning
300,000 SF
20.01 AC
Address
Land Use
TOTAL SIZE
Lot Size
Zoning
7,697 SF
3.51 AC
PDSC
Address
Land Use
TOTAL SIZE
Lot Size
Zoning
3,300 SF
18.80 AC
LR2
Address
Land Use
TOTAL SIZE
Lot Size
Zoning
Address
Land Use
TOTAL SIZE
Lot Size
Zoning
15,838 SF
2 AC
PDSC
Address
Land Use
TOTAL SIZE
Lot Size
Zoning
28,593 SF
23.92 AC
PDMC
Address
Land Use
TOTAL SIZE
Lot Size
Zoning
27,025 SF
3.24 AC
See More See Less

The World's #1 Commercial Real Estate Marketplace

What is a Walk Score®, Transit Score® & Bike Score®?
Walk Score® measures the walkability of any address.
Transit Score® measures access to public transit.
Bike Score® measures bikeability of a location.
What is a Walk Score®
, Transit Score® & Bike Score?
Walk Score® measures the walkability
of any address. Transit Score®
measures access to public transit. Bike Score®
measures bikeability of a location.®