Property Record
43250 Business Park Dr, Temecula, CA 92590
NEARBY LISTINGS FOR SALE OR LEASE
Property Detail
43250 Business Park Dr
Riverside-San Bernardino-Ontario, CA
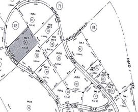
Parcel Map 20873
921-020-054
6.00 ACRES NET IN PAR 2 PM 131/058 PM 20873
Lightindustrial
Riverside
X
California
06065C2720G
2
2024
6 AC
2025
South Riverside
051200
Inland Empire (California)
91,340 SF
DEMOGRAPHICS near 43250 Business Park Dr
1 Mile
3 Mile
5 Mile
2024 Total Population
549
45,406
146,938
2029 Population
601
48,325
154,725
Pop Growth 2024-2029
+ 9.47%
+ 6.43%
+ 5.30%
Average Age
38
37
37
2024 Total Households
249
15,945
47,454
HH Growth 2024-2029
+ 9.64%
+ 6.11%
+ 4.89%
Median Household Inc
$47,631
$84,393
$99,466
Avg Household Size
2.20
2.80
3.00
2024 Avg HH Vehicles
2.00
2.00
2.00
Median Home Value
$946,428
$570,093
$576,187
Median Year Built
2000
1994
1997
Nearby Places
- Restaurants
- Banks
- Shops
- Fitness
- Groceries
SALE & LEASE HISTORY
LISTING DATE
SALE/LEASE
Nearby Properties
Address
Land Use
TOTAL SIZE
Lot Size
Zoning
Address
Land Use
TOTAL SIZE
Lot Size
Zoning
815,104 SF
30.25 AC
Address
Land Use
TOTAL SIZE
Lot Size
Zoning
390,411 SF
14.69 AC
Address
Land Use
TOTAL SIZE
Lot Size
Zoning
79,448 SF
19.66 AC
R3
Address
Land Use
TOTAL SIZE
Lot Size
Zoning
14,438 SF
20.66 AC
R3
Address
Land Use
TOTAL SIZE
Lot Size
Zoning
15.26 AC
SP
Address
Land Use
TOTAL SIZE
Lot Size
Zoning
214,532 SF
13.34 AC
R4
Address
Land Use
TOTAL SIZE
Lot Size
Zoning
103,517 SF
10.44 AC
Address
Land Use
TOTAL SIZE
Lot Size
Zoning
371,094 SF
20.90 AC
Address
Land Use
TOTAL SIZE
Lot Size
Zoning
50,638 SF
22.82 AC
Address
Land Use
TOTAL SIZE
Lot Size
Zoning
391,231 SF
28.77 AC
M1
Address
Land Use
TOTAL SIZE
Lot Size
Zoning
206,736 SF
13.63 AC
R3
Address
Land Use
TOTAL SIZE
Lot Size
Zoning
26,380 SF
15.99 AC
HDR
Address
Land Use
TOTAL SIZE
Lot Size
Zoning
612,508 SF
30.95 AC
L1
Address
Land Use
TOTAL SIZE
Lot Size
Zoning
6.88 AC
Address
Land Use
TOTAL SIZE
Lot Size
Zoning
39,345 SF
20.56 AC
Address
Land Use
TOTAL SIZE
Lot Size
Zoning
228,912 SF
11.06 AC
L1
Address
Land Use
TOTAL SIZE
Lot Size
Zoning
402,212 SF
22.44 AC
Address
Land Use
TOTAL SIZE
Lot Size
Zoning
225,072 SF
8.29 AC
Address
Land Use
TOTAL SIZE
Lot Size
Zoning
463,149 SF
2.75 AC
Address
Land Use
TOTAL SIZE
Lot Size
Zoning
113,031 SF
18.12 AC
Address
Land Use
TOTAL SIZE
Lot Size
Zoning
217,169 SF
15.11 AC
M1
Address
Land Use
TOTAL SIZE
Lot Size
Zoning
6,252 SF
11.24 AC
HDR
Address
Land Use
TOTAL SIZE
Lot Size
Zoning
255,668 SF
5.73 AC
Address
Land Use
TOTAL SIZE
Lot Size
Zoning
148,500 SF
10.11 AC
Address
Land Use
TOTAL SIZE
Lot Size
Zoning
146,652 SF
13.23 AC
Address
Land Use
TOTAL SIZE
Lot Size
Zoning
162,520 SF
11.47 AC
LI
Address
Land Use
TOTAL SIZE
Lot Size
Zoning
259,800 SF
12.03 AC
Address
Land Use
TOTAL SIZE
Lot Size
Zoning
52,340 SF
21.45 AC
R3



