Property Record
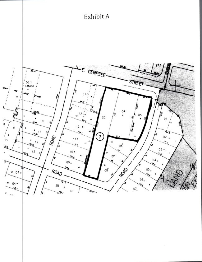
4606 E Genesee St, Syracuse, NY 13214
Property Detail
4606 E Genesee St
312689-060-000-0007-004-000-0000
ONONDAGA
Commercialacreage
New York
02 - SINGL
3.000
B and X Area of moderate flood hazard, usually the area between the limits of the 100-year and 500-year floods.
0.49 AC
2025
SE Outer Onondaga County
2025
Syracuse
014700
Syracuse, NY
3,707 SF
NEARBY LISTINGS FOR SALE OR LEASE
-
-
View all Syracuse listings for sale on LoopNet.com
DEMOGRAPHICS near 4606 E Genesee St
1 mile
3 mile
5 mile
2025 Total Population
5,549
50,250
165,503
2030 Population
5,477
49,656
164,639
Pop Growth 2025-2030
(1.30%)
(1.18%)
(0.52%)
Average Age
42
41
39
2025 Total Households
2,011
20,342
66,214
HH Growth 2025-2030
(1.49%)
(1.39%)
(0.56%)
Median Household Inc
$127,148
$85,575
$59,423
Avg Household Size
2.40
2.20
2.20
2025 Avg HH Vehicles
2.00
2.00
1.00
Median Home Value
$267,480
$222,125
$191,498
Median Year Built
1957
1956
1955
Nearby Places
Map Layers
Listings with unknown addresses are not visible on the map
- Restaurants
- Banks
- Shops
- Fitness
- Groceries
PUBLIC TRANSPORTATION
COMMUTER RAIL
Syracuse Regional Transportation Center (Empire Service - Amtrak, Lake Shore Limited - Amtrak, Maple Leaf - Amtrak)
Drive
Walk
Distance
Syracuse Regional Transportation Center (Empire Service - Amtrak, Lake Shore Limited - Amtrak, Maple Leaf - Amtrak)
14 min
9.5 mi
AIRPORT
Syracuse Hancock International
Drive
Walk
Distance
Syracuse Hancock International
21 min
14.2 mi
Freight Ports
Albany, NY Port
Drive
Walk
Distance
Albany, NY Port
170 min
143.4 mi
SALE & LEASE HISTORY
LISTING DATE
SALE/LEASE
Nearby Properties
Address
Land Use
TOTAL SIZE
Lot Size
Zoning
Address
Land Use
TOTAL SIZE
Lot Size
Zoning
38,693 SF
102.34 AC
05 - COMME
Address
Land Use
TOTAL SIZE
Lot Size
Zoning
25,646 SF
88.85 AC
02 - SINGL
Address
Land Use
TOTAL SIZE
Lot Size
Zoning
6,400 SF
86.36 AC
06 - INDUS
Address
Land Use
TOTAL SIZE
Lot Size
Zoning
50,472 SF
4.89 AC
10
Address
Land Use
TOTAL SIZE
Lot Size
Zoning
175,424 SF
7.85 AC
RA
Address
Land Use
TOTAL SIZE
Lot Size
Zoning
17,388 SF
26.51 AC
07 - MIXED
Address
Land Use
TOTAL SIZE
Lot Size
Zoning
876,645 SF
51.07 AC
05 - COMME
Address
Land Use
TOTAL SIZE
Lot Size
Zoning
217,709 SF
34.53 AC
01 - NOT Z
Address
Land Use
TOTAL SIZE
Lot Size
Zoning
240,800 SF
23.01 AC
05 - COMME
Address
Land Use
TOTAL SIZE
Lot Size
Zoning
102,905 SF
32 AC
01 - NOT Z
Address
Land Use
TOTAL SIZE
Lot Size
Zoning
163,518 SF
19.24 AC
07 - MIXED
Address
Land Use
TOTAL SIZE
Lot Size
Zoning
7,392 SF
35.06 AC
06 - INDUS
Address
Land Use
TOTAL SIZE
Lot Size
Zoning
160,767 SF
20.52 AC
05 - COMME
Address
Land Use
TOTAL SIZE
Lot Size
Zoning
102,883 SF
23.29 AC
02 - SINGL
Address
Land Use
TOTAL SIZE
Lot Size
Zoning
95.24 AC
05 - COMME
Address
Land Use
TOTAL SIZE
Lot Size
Zoning
115,150 SF
13.32 AC
RS
Address
Land Use
TOTAL SIZE
Lot Size
Zoning
21,882 SF
13.56 AC
05 - COMME
Address
Land Use
TOTAL SIZE
Lot Size
Zoning
122,122 SF
10.03 AC
05 - COMME
Address
Land Use
TOTAL SIZE
Lot Size
Zoning
56,416 SF
18.27 AC
05 - COMME
Address
Land Use
TOTAL SIZE
Lot Size
Zoning
47,122 SF
42.77 AC
06 - INDUS
Address
Land Use
TOTAL SIZE
Lot Size
Zoning
116,224 SF
13.08 AC
05 - COMME
Address
Land Use
TOTAL SIZE
Lot Size
Zoning
78,950 SF
14.52 AC
NS
Address
Land Use
TOTAL SIZE
Lot Size
Zoning
17,424 SF
16.18 AC
05 - COMME
Address
Land Use
TOTAL SIZE
Lot Size
Zoning
93,020 SF
5.97 AC
06 - INDUS
Address
Land Use
TOTAL SIZE
Lot Size
Zoning
207,675 SF
8.23 AC
02 - SINGL
Address
Land Use
TOTAL SIZE
Lot Size
Zoning
38,595 SF
0.67 AC
06 - INDUS
Address
Land Use
TOTAL SIZE
Lot Size
Zoning
132,450 SF
13.53 AC
05 - COMME
Address
Land Use
TOTAL SIZE
Lot Size
Zoning
75.35 AC
Address
Land Use
TOTAL SIZE
Lot Size
Zoning
25,050 SF
19.04 AC
07 - MIXED
Address
Land Use
TOTAL SIZE
Lot Size
Zoning
115,893 SF
10.45 AC
05 - COMME






