Property Record
471 S Indian Canyon Dr, Palm Springs, CA 92262
This Property Is For Sale
NEARBY LISTINGS FOR SALE OR LEASE
Property Detail
471 S Indian Canyon Dr
513-214-016
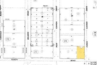
Parcel Map 37376
Restaurantbuilding
ACRES 0.52000000 ACREAGEQUALCODE ML LOTTYPE P BLOCK 29 PARCEL 4 MAPPLATB 245 MAPPLATP 011 SUBDIVISIONNAME PM 37376
X
Riverside
06065C1558G
California
2024
0.52 AC
2025
Coachella Valley
044606
Inland Empire (California)
4,600 SF
Riverside-San Bernardino-Ontario, CA
DEMOGRAPHICS near 471 S Indian Canyon Dr
1 Mile
3 Mile
5 Mile
2024 Total Population
8,838
47,693
103,917
2029 Population
9,714
52,786
114,194
Pop Growth 2024-2029
+ 9.91%
+ 10.68%
+ 9.89%
Average Age
53
54
48
2024 Total Households
5,093
26,380
48,075
HH Growth 2024-2029
+ 9.66%
+ 10.49%
+ 10.31%
Median Household Inc
$62,115
$70,951
$66,021
Avg Household Size
1.60
1.70
2.10
2024 Avg HH Vehicles
1.00
1.00
2.00
Median Home Value
$734,719
$712,606
$612,004
Median Year Built
1976
1976
1982
Nearby Places
Map Layers
- Restaurants
- Banks
- Shops
- Fitness
- Groceries
PUBLIC TRANSPORTATION
COMMUTER RAIL
DRIVE
WALK
Distance
13 min
5.7 mi
AIRPORT
Palm Springs International
DRIVE
WALK
Distance
Palm Springs International
10 min
4.8 mi
Nearby Properties
Address
Land Use
TOTAL SIZE
Lot Size
Zoning
Address
Land Use
TOTAL SIZE
Lot Size
Zoning
485,000 SF
14.71 AC
Address
Land Use
TOTAL SIZE
Lot Size
Zoning
97,065 SF
4.64 AC
R3
Address
Land Use
TOTAL SIZE
Lot Size
Zoning
197,439 SF
8.76 AC
Address
Land Use
TOTAL SIZE
Lot Size
Zoning
258,547 SF
3.84 AC
Address
Land Use
TOTAL SIZE
Lot Size
Zoning
445,755 SF
16.21 AC
R3
Address
Land Use
TOTAL SIZE
Lot Size
Zoning
332,356 SF
9.05 AC
Address
Land Use
TOTAL SIZE
Lot Size
Zoning
35,188 SF
5.98 AC
R3
Address
Land Use
TOTAL SIZE
Lot Size
Zoning
148,746 SF
6.21 AC
R3
Address
Land Use
TOTAL SIZE
Lot Size
Zoning
225,833 SF
22 AC
Address
Land Use
TOTAL SIZE
Lot Size
Zoning
207,931 SF
6.34 AC
C1AA
Address
Land Use
TOTAL SIZE
Lot Size
Zoning
172,091 SF
6 AC
Address
Land Use
TOTAL SIZE
Lot Size
Zoning
129,852 SF
11.17 AC
Address
Land Use
TOTAL SIZE
Lot Size
Zoning
120,754 SF
14.30 AC
Address
Land Use
TOTAL SIZE
Lot Size
Zoning
147,744 SF
3.62 AC
Address
Land Use
TOTAL SIZE
Lot Size
Zoning
120,548 SF
4.63 AC
Address
Land Use
TOTAL SIZE
Lot Size
Zoning
3.20 AC
GR5
Address
Land Use
TOTAL SIZE
Lot Size
Zoning
48,958 SF
0.96 AC
Address
Land Use
TOTAL SIZE
Lot Size
Zoning
70,670 SF
3.90 AC
R4
Address
Land Use
TOTAL SIZE
Lot Size
Zoning
31,488 SF
3.40 AC
A
Address
Land Use
TOTAL SIZE
Lot Size
Zoning
56,129 SF
2.76 AC
R3
Address
Land Use
TOTAL SIZE
Lot Size
Zoning
28,506 SF
2.30 AC
R3
Address
Land Use
TOTAL SIZE
Lot Size
Zoning
233,083 SF
2.20 AC
Address
Land Use
TOTAL SIZE
Lot Size
Zoning
114,044 SF
5.40 AC
R3
Address
Land Use
TOTAL SIZE
Lot Size
Zoning
109,231 SF
5.57 AC
R4
Address
Land Use
TOTAL SIZE
Lot Size
Zoning
53,229 SF
8.80 AC
Address
Land Use
TOTAL SIZE
Lot Size
Zoning
86,810 SF
3.60 AC
R4VP
Address
Land Use
TOTAL SIZE
Lot Size
Zoning
51,852 SF
4.04 AC
Address
Land Use
TOTAL SIZE
Lot Size
Zoning
0.51 AC
C-B-D
Address
Land Use
TOTAL SIZE
Lot Size
Zoning
81,687 SF
4.97 AC
R3
Address
Land Use
TOTAL SIZE
Lot Size
Zoning
81,981 SF
4.07 AC





