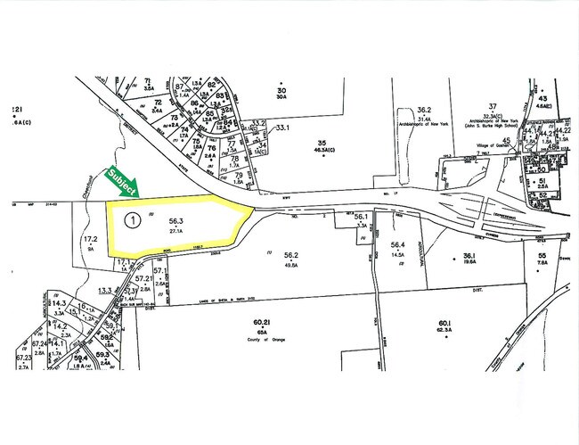
Property Record
48 Cheechunk Rd, Goshen, NY 10924
Property Detail
48 Cheechunk Rd
333089-010-000-0001-056.300-0000
ORANGE
Agriculturalland
New York
02069
56.30
B and X Area of moderate flood hazard, usually the area between the limits of the 100-year and 500-year floods.
27.10 AC
0
Middletown
2025
Northern New Jersey
011900
Kiryas Joel-Poughkeepsie-Newburgh, NY
NEARBY LISTINGS FOR SALE OR LEASE
DEMOGRAPHICS near 48 Cheechunk Rd
1 mile
3 mile
5 mile
2025 Total Population
973
16,305
71,185
2030 Population
981
16,655
72,474
Pop Growth 2025-2030
+ 0.82%
+ 2.15%
+ 1.81%
Average Age
45
42
40
2025 Total Households
218
5,818
26,052
HH Growth 2025-2030
+ 1.38%
+ 2.44%
+ 1.98%
Median Household Inc
$148,213
$104,106
$88,719
Avg Household Size
2.60
2.60
2.60
2025 Avg HH Vehicles
2.00
2.00
2.00
Median Home Value
$626,543
$435,321
$363,243
Median Year Built
1971
1979
1976
Nearby Places
Map Layers
Listings with unknown addresses are not visible on the map
- Restaurants
- Banks
- Shops
- Fitness
- Groceries
PUBLIC TRANSPORTATION
COMMUTER RAIL
Middletown New York (Bergen County/Port Jervis Line - NJ Transit Commuter Rail (NJ Transit), Main/Port Jervis Line - NJ Transit Commuter Rail (NJ Transit))
Drive
Walk
Distance
Middletown New York (Bergen County/Port Jervis Line - NJ Transit Commuter Rail (NJ Transit), Main/Port Jervis Line - NJ Transit Commuter Rail (NJ Transit))
11 min
5.8 mi
Campbell Hall (Bergen County/Port Jervis Line - NJ Transit Commuter Rail (NJ Transit), Main/Port Jervis Line - NJ Transit Commuter Rail (NJ Transit))
Drive
Walk
Distance
Campbell Hall (Bergen County/Port Jervis Line - NJ Transit Commuter Rail (NJ Transit), Main/Port Jervis Line - NJ Transit Commuter Rail (NJ Transit))
15 min
7.4 mi
AIRPORT
New York Stewart International
Drive
Walk
Distance
New York Stewart International
30 min
21.1 mi
Nearby Properties
Address
Land Use
TOTAL SIZE
Lot Size
Zoning
Address
Land Use
TOTAL SIZE
Lot Size
Zoning
101 AC
02069
Address
Land Use
TOTAL SIZE
Lot Size
Zoning
3,304 SF
80.10 AC
02069
Address
Land Use
TOTAL SIZE
Lot Size
Zoning
82 AC
04300
Address
Land Use
TOTAL SIZE
Lot Size
Zoning
371,790 SF
169.40 AC
01092
Address
Land Use
TOTAL SIZE
Lot Size
Zoning
433,953 SF
90.64 AC
04200
Address
Land Use
TOTAL SIZE
Lot Size
Zoning
221,073 SF
35.40 AC
04023
Address
Land Use
TOTAL SIZE
Lot Size
Zoning
275,216 SF
58.40 AC
O/R
Address
Land Use
TOTAL SIZE
Lot Size
Zoning
145,831 SF
15.30 AC
04023
Address
Land Use
TOTAL SIZE
Lot Size
Zoning
159,120 SF
90.20 AC
SR-RH
Address
Land Use
TOTAL SIZE
Lot Size
Zoning
47.80 AC
01092
Address
Land Use
TOTAL SIZE
Lot Size
Zoning
698,289 SF
52.20 AC
Address
Land Use
TOTAL SIZE
Lot Size
Zoning
157,558 SF
37.40 AC
2034
Address
Land Use
TOTAL SIZE
Lot Size
Zoning
188,237 SF
9.60 AC
01092
Address
Land Use
TOTAL SIZE
Lot Size
Zoning
159,871 SF
23.20 AC
01092
Address
Land Use
TOTAL SIZE
Lot Size
Zoning
147,312 SF
10.60 AC
04023
Address
Land Use
TOTAL SIZE
Lot Size
Zoning
149,436 SF
60 AC
02092
Address
Land Use
TOTAL SIZE
Lot Size
Zoning
180,840 SF
37.50 AC
TC
Address
Land Use
TOTAL SIZE
Lot Size
Zoning
116,353 SF
22.50 AC
2034
Address
Land Use
TOTAL SIZE
Lot Size
Zoning
376,002 SF
34.40 AC
TC
Address
Land Use
TOTAL SIZE
Lot Size
Zoning
95,273 SF
31.60 AC
02069
Address
Land Use
TOTAL SIZE
Lot Size
Zoning
52,730 SF
13.70 AC
04092
Address
Land Use
TOTAL SIZE
Lot Size
Zoning
24.10 AC
04023
Address
Land Use
TOTAL SIZE
Lot Size
Zoning
64 AC
01092
Address
Land Use
TOTAL SIZE
Lot Size
Zoning
Address
Land Use
TOTAL SIZE
Lot Size
Zoning
14.70 AC
MC 1
Address
Land Use
TOTAL SIZE
Lot Size
Zoning
142,425 SF
12.40 AC
04300
Address
Land Use
TOTAL SIZE
Lot Size
Zoning
40,918 SF
3.60 AC
04011
Address
Land Use
TOTAL SIZE
Lot Size
Zoning
142,416 SF
13.90 AC
R1
Address
Land Use
TOTAL SIZE
Lot Size
Zoning
1,044 SF
43.10 AC
Address
Land Use
TOTAL SIZE
Lot Size
Zoning
60,918 SF
5.80 AC
4300







