Property Record
500 N Highway 52, Moncks Corner, SC 29461
Property Detail
500 N Highway 52
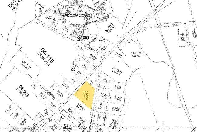
123-00-01-034
SOUTHWESTERN PT OF TRACT E
Vehiclerentalsvehiclesales
Berkeley
MONCKS COR
South Carolina
B and X Area of moderate flood hazard, usually the area between the limits of the 100-year and 500-year floods.
3.07 AC
2025
Outlying Berkeley County
2025
Charleston/N Charleston
020506
Charleston-North Charleston, SC
10,109 SF
NEARBY LISTINGS FOR SALE OR LEASE
-
-
-
-
No Photo
-
-
View all Moncks Corner listings for sale on LoopNet.com
DEMOGRAPHICS near 500 N Highway 52
1 mile
3 mile
5 mile
2025 Total Population
1,507
13,242
24,154
2030 Population
1,715
15,024
27,378
Pop Growth 2025-2030
+ 13.80%
+ 13.46%
+ 13.35%
Average Age
40
40
40
2025 Total Households
588
5,005
8,927
HH Growth 2025-2030
+ 14.29%
+ 14.01%
+ 13.85%
Median Household Inc
$70,021
$68,333
$71,611
Avg Household Size
2.50
2.50
2.60
2025 Avg HH Vehicles
2.00
2.00
2.00
Median Home Value
$264,178
$280,853
$299,889
Median Year Built
2000
1993
1996
Nearby Places
Map Layers
Listings with unknown addresses are not visible on the map
- Restaurants
- Banks
- Shops
- Fitness
- Groceries
PUBLIC TRANSPORTATION
AIRPORT
Charleston AFB/International
Drive
Walk
Distance
Charleston AFB/International
38 min
25.8 mi
Freight Ports
Georgia Ports - Savannah
Drive
Walk
Distance
Georgia Ports - Savannah
156 min
118.7 mi
Nearby Properties
Address
Land Use
TOTAL SIZE
Lot Size
Zoning
Address
Land Use
TOTAL SIZE
Lot Size
Zoning
203,149 SF
24.44 AC
MONCKS COR
Address
Land Use
TOTAL SIZE
Lot Size
Zoning
31,584 SF
4.03 AC
MONCKS COR
Address
Land Use
TOTAL SIZE
Lot Size
Zoning
20,431 SF
12 AC
MONCKS COR
Address
Land Use
TOTAL SIZE
Lot Size
Zoning
29,018 SF
4.18 AC
MONCKS COR
Address
Land Use
TOTAL SIZE
Lot Size
Zoning
19,026 SF
4.58 AC
MONCKS COR
Address
Land Use
TOTAL SIZE
Lot Size
Zoning
23,030 SF
5.10 AC
MONCKS COR
Address
Land Use
TOTAL SIZE
Lot Size
Zoning
9,044 SF
1.85 AC
MONCKS COR
Address
Land Use
TOTAL SIZE
Lot Size
Zoning
9,120 SF
11.99 AC
MONCKS COR
Address
Land Use
TOTAL SIZE
Lot Size
Zoning
28,790 SF
3 AC
MONCKS COR
Address
Land Use
TOTAL SIZE
Lot Size
Zoning
67,440 SF
6.25 AC
MONCKS COR
Address
Land Use
TOTAL SIZE
Lot Size
Zoning
46,980 SF
10.35 AC
MONCKS COR
Address
Land Use
TOTAL SIZE
Lot Size
Zoning
20,230 SF
27.51 AC
MONCKS COR
Address
Land Use
TOTAL SIZE
Lot Size
Zoning
116,572 SF
12.37 AC
MONCKS COR
Address
Land Use
TOTAL SIZE
Lot Size
Zoning
49,283 SF
3.45 AC
MONCKS COR
Address
Land Use
TOTAL SIZE
Lot Size
Zoning
46,574 SF
5.39 AC
MONCKS COR
Address
Land Use
TOTAL SIZE
Lot Size
Zoning
14,807 SF
2.01 AC
MONCKS COR
Address
Land Use
TOTAL SIZE
Lot Size
Zoning
12,609 SF
7.52 AC
MONCKS COR
Address
Land Use
TOTAL SIZE
Lot Size
Zoning
7,354 SF
0.65 AC
MONCKS COR
Address
Land Use
TOTAL SIZE
Lot Size
Zoning
52,032 SF
7.15 AC
MONCKS COR
Address
Land Use
TOTAL SIZE
Lot Size
Zoning
37,921 SF
6.05 AC
MONCKS COR
Address
Land Use
TOTAL SIZE
Lot Size
Zoning
2,976 SF
9.27 AC
MONCKS COR
Address
Land Use
TOTAL SIZE
Lot Size
Zoning
26,000 SF
3.36 AC
MONCKS COR
Address
Land Use
TOTAL SIZE
Lot Size
Zoning
32.38 AC
MONCKS COR
Address
Land Use
TOTAL SIZE
Lot Size
Zoning
110 AC
MONCKS COR
Address
Land Use
TOTAL SIZE
Lot Size
Zoning
15,263 SF
2.01 AC
MONCKS COR
Address
Land Use
TOTAL SIZE
Lot Size
Zoning
21,420 SF
1.99 AC
MONCKS COR
Address
Land Use
TOTAL SIZE
Lot Size
Zoning
22,900 SF
4.71 AC
MONCKS COR
Address
Land Use
TOTAL SIZE
Lot Size
Zoning
4,603 SF
1.56 AC
MONCKS COR
Address
Land Use
TOTAL SIZE
Lot Size
Zoning
3,151 SF
1 AC
MONCKS COR
Address
Land Use
TOTAL SIZE
Lot Size
Zoning
5,178 SF
4.11 AC
BERKELEY C






