Property Record
5208 State Route 260, Pinedale, AZ 85934
Property Detail
5208 State Route 260
Lumberyard
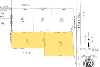
SECTION 9, T9N, R22E:A PORTION OF SE4 SW4... LESS WAGON WHEEL PARK; BEG S4 COR; TH N00*18'55 W 1524.38'; TH S89*46'49 W 433.03' TPOB; TH S89*45'02 W 438.7 7';TH S00*53'26 W 214.96'; TH N89*58'25E 187.87'; TH S09*59'42 E 543.49'; TH S89*41'25 E 163.79
X
Navajo
04017C4717F
Arizona
2024
2.94 AC
2026
Other Market Areas
961300
Show Low, AZ
18,270 SF
212-07-027
DEMOGRAPHICS near 5208 State Route 260
1 Mile
3 Mile
5 Mile
2024 Total Population
2,220
8,883
19,777
2029 Population
2,448
9,655
21,377
Pop Growth 2024-2029
+ 10.27%
+ 8.69%
+ 8.09%
Average Age
45
45
44
2024 Total Households
883
3,529
8,069
HH Growth 2024-2029
+ 10.31%
+ 8.56%
+ 7.94%
Median Household Inc
$44,010
$51,909
$53,925
Avg Household Size
2.40
2.40
2.40
2024 Avg HH Vehicles
2.00
2.00
2.00
Median Home Value
$230,099
$229,632
$217,802
Median Year Built
1997
1995
1993
Nearby Places
Map Layers
- Restaurants
- Banks
- Shops
- Fitness
- Groceries
Nearby Properties
Address
Land Use
TOTAL SIZE
Lot Size
Zoning
Address
Land Use
TOTAL SIZE
Lot Size
Zoning
203,623 SF
14 AC
MUNICIPAL
Address
Land Use
TOTAL SIZE
Lot Size
Zoning
138,315 SF
13.91 AC
MUNICIPAL
Address
Land Use
TOTAL SIZE
Lot Size
Zoning
55,688 SF
1.50 AC
C-R
Address
Land Use
TOTAL SIZE
Lot Size
Zoning
83,087 SF
5.08 AC
MUNICIPAL
Address
Land Use
TOTAL SIZE
Lot Size
Zoning
56,096 SF
1.48 AC
C-R
Address
Land Use
TOTAL SIZE
Lot Size
Zoning
56,331 SF
16.30 AC
MUNICIPAL
Address
Land Use
TOTAL SIZE
Lot Size
Zoning
44,764 SF
1.51 AC
MUNICIPAL
Address
Land Use
TOTAL SIZE
Lot Size
Zoning
97,790 SF
4.80 AC
MUNICIPAL
Address
Land Use
TOTAL SIZE
Lot Size
Zoning
86,443 SF
6.85 AC
MUNICIPAL
Address
Land Use
TOTAL SIZE
Lot Size
Zoning
26,530 SF
3.88 AC
C-R
Address
Land Use
TOTAL SIZE
Lot Size
Zoning
22,680 SF
1.65 AC
C-R
Address
Land Use
TOTAL SIZE
Lot Size
Zoning
42,868 SF
2.45 AC
MUNICIPAL
Address
Land Use
TOTAL SIZE
Lot Size
Zoning
48,320 SF
5 AC
C-R
Address
Land Use
TOTAL SIZE
Lot Size
Zoning
47,586 SF
3.50 AC
MUNICIPAL
Address
Land Use
TOTAL SIZE
Lot Size
Zoning
22,400 SF
2.55 AC
MUNICIPAL
Address
Land Use
TOTAL SIZE
Lot Size
Zoning
35,090 SF
3.40 AC
MUNICIPAL
Address
Land Use
TOTAL SIZE
Lot Size
Zoning
20,088 SF
2 AC
R-2
Address
Land Use
TOTAL SIZE
Lot Size
Zoning
16,157 SF
4.56 AC
R1-10
Address
Land Use
TOTAL SIZE
Lot Size
Zoning
46,318 SF
20 AC
MUNICIPAL
Address
Land Use
TOTAL SIZE
Lot Size
Zoning
18,000 SF
2.09 AC
MUNICIPAL
Address
Land Use
TOTAL SIZE
Lot Size
Zoning
25,882 SF
21.67 AC
MUNICIPAL
Address
Land Use
TOTAL SIZE
Lot Size
Zoning
28,700 SF
2.76 AC
MUNICIPAL
Address
Land Use
TOTAL SIZE
Lot Size
Zoning
22,705 SF
3.74 AC
MUNICIPAL
Address
Land Use
TOTAL SIZE
Lot Size
Zoning
15,073 SF
3.36 AC
MUNICIPAL
Address
Land Use
TOTAL SIZE
Lot Size
Zoning
21,333 SF
2.14 AC
C-R
Address
Land Use
TOTAL SIZE
Lot Size
Zoning
22,400 SF
2.01 AC
MUNICIPAL
Address
Land Use
TOTAL SIZE
Lot Size
Zoning
7,328 SF
1.82 AC
MUNICIPAL
Address
Land Use
TOTAL SIZE
Lot Size
Zoning
16,689 SF
1 AC
MUNICIPAL
Address
Land Use
TOTAL SIZE
Lot Size
Zoning
17,925 SF
1.99 AC
MUNICIPAL



