Property Record
5216 Hardware Pl N, Sebring, FL 33870
NEARBY LISTINGS FOR SALE OR LEASE
Property Detail
5216 Hardware Pl N
Sebring, FL
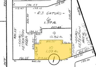
Us 27 Sebring Commercial Center
C-23-34-28-090-0010-0100
US 27 SEBRING COMM CTR PB 16 PG 64 LOT 10 BLK 1 1.09 ACRES
Storemultistory
Highlands
X
Florida
12055C0138C
10
2024
1.09 AC
2025
Florida Central South Area
960601
Other Market Areas
4,717 SF
DEMOGRAPHICS near 5216 Hardware Pl N
1 mile
3 mile
5 mile
2024 Total Population
6,115
26,422
48,178
2029 Population
6,591
28,729
52,547
Pop Growth 2024-2029
+ 7.78%
+ 8.73%
+ 9.07%
Average Age
52
52
51
2024 Total Households
2,836
12,093
21,694
HH Growth 2024-2029
+ 7.90%
+ 8.85%
+ 9.21%
Median Household Inc
$50,698
$55,590
$51,291
Avg Household Size
2.10
2.10
2.10
2024 Avg HH Vehicles
2.00
2.00
2.00
Median Home Value
$142,547
$145,318
$152,329
Median Year Built
1984
1986
1985
Nearby Places
Map Layers
Listings with unknown addresses are not visible on the map
- Restaurants
- Banks
- Shops
- Fitness
- Groceries
PUBLIC TRANSPORTATION
COMMUTER RAIL
Sebring Amtrak Station (Silver Meteor - Amtrak, Silver Star - Amtrak)
Drive
Walk
Distance
Sebring Amtrak Station (Silver Meteor - Amtrak, Silver Star - Amtrak)
11 min
5.3 mi
Freight Ports
Port of Tampa Bay
Drive
Walk
Distance
Port of Tampa Bay
119 min
85.8 mi
SALE & LEASE HISTORY
LISTING DATE
SALE/LEASE
Nearby Properties
Address
Land Use
TOTAL SIZE
Lot Size
Zoning
Address
Land Use
TOTAL SIZE
Lot Size
Zoning
319,284 SF
76.37 AC
P
Address
Land Use
TOTAL SIZE
Lot Size
Zoning
31,824 SF
293.44 AC
M2
Address
Land Use
TOTAL SIZE
Lot Size
Zoning
235,165 SF
33.99 AC
B3
Address
Land Use
TOTAL SIZE
Lot Size
Zoning
7,679 SF
54.68 AC
M2
Address
Land Use
TOTAL SIZE
Lot Size
Zoning
155,486 SF
21.71 AC
C1
Address
Land Use
TOTAL SIZE
Lot Size
Zoning
118,053 SF
21.01 AC
P
Address
Land Use
TOTAL SIZE
Lot Size
Zoning
4,860 SF
19.59 AC
M2
Address
Land Use
TOTAL SIZE
Lot Size
Zoning
91,625 SF
5 AC
R3
Address
Land Use
TOTAL SIZE
Lot Size
Zoning
176,175 SF
22.73 AC
C1
Address
Land Use
TOTAL SIZE
Lot Size
Zoning
104,876 SF
33.52 AC
B3
Address
Land Use
TOTAL SIZE
Lot Size
Zoning
9,464 SF
60.05 AC
M2
Address
Land Use
TOTAL SIZE
Lot Size
Zoning
62,304 SF
6.18 AC
B3
Address
Land Use
TOTAL SIZE
Lot Size
Zoning
7,620 SF
31.56 AC
M2
Address
Land Use
TOTAL SIZE
Lot Size
Zoning
320 SF
10.93 AC
C1
Address
Land Use
TOTAL SIZE
Lot Size
Zoning
12,957 SF
1,906.91 AC
CM
Address
Land Use
TOTAL SIZE
Lot Size
Zoning
23,187 SF
0.68 AC
P
Address
Land Use
TOTAL SIZE
Lot Size
Zoning
137,240 SF
14.46 AC
B3
Address
Land Use
TOTAL SIZE
Lot Size
Zoning
81,888 SF
4.80 AC
C1
Address
Land Use
TOTAL SIZE
Lot Size
Zoning
119,540 SF
15.17 AC
B3
Address
Land Use
TOTAL SIZE
Lot Size
Zoning
18.90 AC
M2
Address
Land Use
TOTAL SIZE
Lot Size
Zoning
71,609 SF
15.32 AC
P
Address
Land Use
TOTAL SIZE
Lot Size
Zoning
46,625 SF
6.45 AC
R3FUD
Address
Land Use
TOTAL SIZE
Lot Size
Zoning
39,144 SF
1.67 AC
C1
Address
Land Use
TOTAL SIZE
Lot Size
Zoning
40,085 SF
9.72 AC
R3FUD
Address
Land Use
TOTAL SIZE
Lot Size
Zoning
102,610 SF
5.06 AC
C1
Address
Land Use
TOTAL SIZE
Lot Size
Zoning
31,806 SF
6 AC
R3
Address
Land Use
TOTAL SIZE
Lot Size
Zoning
13,404 SF
19.69 AC
M2
Address
Land Use
TOTAL SIZE
Lot Size
Zoning
55,344 SF
8.15 AC
C1
Address
Land Use
TOTAL SIZE
Lot Size
Zoning
388,414 SF
49.99 AC
B4FUD
Address
Land Use
TOTAL SIZE
Lot Size
Zoning
26,587 SF
1.80 AC
B3







