Property Record
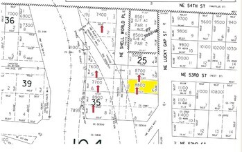
5220 Ne Shell World Pl, Newport, OR 97365
Property Detail
5220 Ne Shell World Pl
R458489
AGATE BEACH, BLOCK 35, LOT 7-8 & BLK 25 LOTS 7-8 & VAC ST, DOC202211325
Commercialnec
Lincoln
C-1
Oregon
B and X Area of moderate flood hazard, usually the area between the limits of the 100-year and 500-year floods.
7-8
2025
0.59 AC
2025
Oregon West Area
950800
Other Market Areas
4,015 SF
Newport, OR
NEARBY LISTINGS FOR SALE OR LEASE
DEMOGRAPHICS near 5220 Ne Shell World Pl
1 mile
3 mile
5 mile
2024 Total Population
2,516
8,638
11,388
2029 Population
2,632
8,934
11,763
Pop Growth 2024-2029
+ 4.61%
+ 3.43%
+ 3.29%
Average Age
49
45
46
2024 Total Households
1,191
3,813
5,079
HH Growth 2024-2029
+ 4.37%
+ 3.36%
+ 3.19%
Median Household Inc
$44,950
$51,570
$54,698
Avg Household Size
2.10
2.20
2.20
2024 Avg HH Vehicles
2.00
2.00
2.00
Median Home Value
$334,694
$357,587
$370,351
Median Year Built
1990
1978
1978
Nearby Places
Map Layers
Listings with unknown addresses are not visible on the map
- Restaurants
- Banks
- Shops
- Fitness
- Groceries
SALE & LEASE HISTORY
LISTING DATE
SALE/LEASE
Nearby Properties
Address
Land Use
TOTAL SIZE
Lot Size
Zoning
Address
Land Use
TOTAL SIZE
Lot Size
Zoning
143,594 SF
2.55 AC
P-1
Address
Land Use
TOTAL SIZE
Lot Size
Zoning
89,850 SF
4.32 AC
R-3,P-1
Address
Land Use
TOTAL SIZE
Lot Size
Zoning
62.90 AC
P-2
Address
Land Use
TOTAL SIZE
Lot Size
Zoning
76,352 SF
5.60 AC
P-1
Address
Land Use
TOTAL SIZE
Lot Size
Zoning
99,374 SF
5.39 AC
C-1
Address
Land Use
TOTAL SIZE
Lot Size
Zoning
51,539 SF
6.25 AC
P-1
Address
Land Use
TOTAL SIZE
Lot Size
Zoning
107,559 SF
7.37 AC
C-1
Address
Land Use
TOTAL SIZE
Lot Size
Zoning
67,028 SF
4.13 AC
P-1
Address
Land Use
TOTAL SIZE
Lot Size
Zoning
8.15 AC
R-4
Address
Land Use
TOTAL SIZE
Lot Size
Zoning
121,069 SF
5.17 AC
C-1
Address
Land Use
TOTAL SIZE
Lot Size
Zoning
107,978 SF
9.29 AC
C-1
Address
Land Use
TOTAL SIZE
Lot Size
Zoning
900 SF
10.94 AC
R-4
Address
Land Use
TOTAL SIZE
Lot Size
Zoning
58,563 SF
3.03 AC
C-2
Address
Land Use
TOTAL SIZE
Lot Size
Zoning
24,302 SF
1.38 AC
P-1
Address
Land Use
TOTAL SIZE
Lot Size
Zoning
18,756 SF
1.75 AC
C-1
Address
Land Use
TOTAL SIZE
Lot Size
Zoning
57,104 SF
4.78 AC
R-4
Address
Land Use
TOTAL SIZE
Lot Size
Zoning
40,333 SF
0.46 AC
C-2
Address
Land Use
TOTAL SIZE
Lot Size
Zoning
27,768 SF
1.64 AC
P-1
Address
Land Use
TOTAL SIZE
Lot Size
Zoning
38,720 SF
2.46 AC
R-4
Address
Land Use
TOTAL SIZE
Lot Size
Zoning
30,750 SF
1.67 AC
R-2
Address
Land Use
TOTAL SIZE
Lot Size
Zoning
12,510 SF
4.48 AC
P-1
Address
Land Use
TOTAL SIZE
Lot Size
Zoning
904 SF
4.88 AC
R-4
Address
Land Use
TOTAL SIZE
Lot Size
Zoning
33,760 SF
2.91 AC
P-1
Address
Land Use
TOTAL SIZE
Lot Size
Zoning
53.29 AC
P-F
Address
Land Use
TOTAL SIZE
Lot Size
Zoning
25,354 SF
2.81 AC
W1 & W2
Address
Land Use
TOTAL SIZE
Lot Size
Zoning
49,875 SF
2.52 AC
R-4 (IMIA)
Address
Land Use
TOTAL SIZE
Lot Size
Zoning
27,058 SF
1.24 AC
C-2
Address
Land Use
TOTAL SIZE
Lot Size
Zoning
2.39 AC
C-1
Address
Land Use
TOTAL SIZE
Lot Size
Zoning
1,440 SF
0.60 AC
C-2
Address
Land Use
TOTAL SIZE
Lot Size
Zoning
25,247 SF
1.43 AC
C-2








