Property Record
52315 Wheeler Rd, Anza, CA 92539
Property Detail
52315 Wheeler Rd
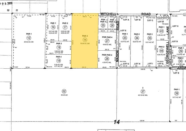
572-110-014
19.95 ACRES IN PAR 3 PM 015/097 PM 6181
Agriculturalland
Riverside
RR
California
B and X Area of moderate flood hazard, usually the area between the limits of the 100-year and 500-year floods.
3
2024
19.95 AC
2025
Riverside Outlying
044407
Inland Empire (California)
1,440 SF
Riverside-San Bernardino-Ontario, CA
DEMOGRAPHICS near 52315 Wheeler Rd
1 mile
3 mile
5 mile
2025 Total Population
313
1,236
2,898
2030 Population
296
1,173
2,866
Pop Growth 2025-2030
(5.43%)
(5.10%)
(1.10%)
Average Age
44
44
44
2025 Total Households
119
473
1,080
HH Growth 2025-2030
(6.72%)
(6.13%)
(2.04%)
Median Household Inc
$64,615
$60,714
$83,908
Avg Household Size
2.40
2.40
2.50
2025 Avg HH Vehicles
2.00
2.00
3.00
Median Home Value
$435,937
$402,500
$424,553
Median Year Built
1984
1984
1988
Nearby Places
Map Layers
Listings with unknown addresses are not visible on the map
- Restaurants
- Banks
- Shops
- Fitness
- Groceries
PUBLIC TRANSPORTATION
AIRPORT
Palm Springs International
Drive
Walk
Distance
Palm Springs International
71 min
47.4 mi
Freight Ports
Port of San Diego
Drive
Walk
Distance
Port of San Diego
118 min
90.7 mi
Nearby Properties
Address
Land Use
TOTAL SIZE
Lot Size
Zoning
Address
Land Use
TOTAL SIZE
Lot Size
Zoning
66,247 SF
40 AC
RR
Address
Land Use
TOTAL SIZE
Lot Size
Zoning
3,840 SF
1.74 AC
C1CP
Address
Land Use
TOTAL SIZE
Lot Size
Zoning
52.03 AC
RR
Address
Land Use
TOTAL SIZE
Lot Size
Zoning
2,514 SF
10.36 AC
RR10
Address
Land Use
TOTAL SIZE
Lot Size
Zoning
2,046 SF
27.22 AC
RR
Address
Land Use
TOTAL SIZE
Lot Size
Zoning
2,964 SF
19.47 AC
RA20
Address
Land Use
TOTAL SIZE
Lot Size
Zoning
1,248 SF
25.62 AC
RR
Address
Land Use
TOTAL SIZE
Lot Size
Zoning
1,656 SF
10.36 AC
RR10
Address
Land Use
TOTAL SIZE
Lot Size
Zoning
3,006 SF
2.50 AC
RR5
Address
Land Use
TOTAL SIZE
Lot Size
Zoning
1,782 SF
20.14 AC
RR
Address
Land Use
TOTAL SIZE
Lot Size
Zoning
22.72 AC
RR
Address
Land Use
TOTAL SIZE
Lot Size
Zoning
1,152 SF
10 AC
RR
Address
Land Use
TOTAL SIZE
Lot Size
Zoning
2,044 SF
2.50 AC
RR
Address
Land Use
TOTAL SIZE
Lot Size
Zoning
2,942 SF
2.11 AC
RR5
Address
Land Use
TOTAL SIZE
Lot Size
Zoning
720 SF
10.58 AC
RR
Address
Land Use
TOTAL SIZE
Lot Size
Zoning
2,543 SF
2.51 AC
RR
Address
Land Use
TOTAL SIZE
Lot Size
Zoning
1,344 SF
5 AC
Address
Land Use
TOTAL SIZE
Lot Size
Zoning
1,000 SF
RR5
Address
Land Use
TOTAL SIZE
Lot Size
Zoning
1,248 SF
18.25 AC
RR
Address
Land Use
TOTAL SIZE
Lot Size
Zoning
540 SF
10 AC
RR212
Address
Land Use
TOTAL SIZE
Lot Size
Zoning
3,296 SF
3.89 AC
RR
Address
Land Use
TOTAL SIZE
Lot Size
Zoning
4,222 SF
8.07 AC
RR
Address
Land Use
TOTAL SIZE
Lot Size
Zoning
499 SF
10.40 AC
RR10






