Property Record
525 E Yermo Rd, Yermo, CA 92398
Property Detail
525 E Yermo Rd
0538-063-07
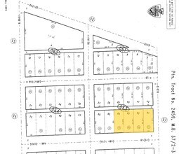
TRACT 2459 LOT 61 TRACT NO 2459 LOT 61 EX 1/16 INT MNL RTS AS RESERVED BY THE STATE OF CALIF
Autorepair
SAN BERNARDINO
CR
California
C and X Area of minimal flood hazard, usually depicted on FIRMs as above the 500-year flood level.
61
2025
0.19 AC
2025
Mojave River Valley
011602
Inland Empire (California)
2,650 SF
Riverside-San Bernardino-Ontario, CA
NEARBY LISTINGS FOR SALE OR LEASE
-
-
View all Yermo listings for lease on LoopNet.com
DEMOGRAPHICS near 525 E Yermo Rd
1 mile
3 mile
5 mile
2025 Total Population
258
479
881
2030 Population
246
458
866
Pop Growth 2025-2030
(4.65%)
(4.38%)
(1.70%)
Average Age
41
41
42
2025 Total Households
101
187
349
HH Growth 2025-2030
(4.95%)
(4.28%)
(1.72%)
Median Household Inc
$59,499
$59,545
$58,683
Avg Household Size
2.50
2.50
2.40
2025 Avg HH Vehicles
2.00
2.00
2.00
Median Home Value
$172,727
$169,999
$164,150
Median Year Built
1956
1957
1966
Nearby Places
Map Layers
Listings with unknown addresses are not visible on the map
- Restaurants
- Banks
- Shops
- Fitness
- Groceries
SALE & LEASE HISTORY
LISTING DATE
SALE/LEASE
Nearby Properties
Address
Land Use
TOTAL SIZE
Lot Size
Zoning
Address
Land Use
TOTAL SIZE
Lot Size
Zoning
29,453 SF
5 AC
Address
Land Use
TOTAL SIZE
Lot Size
Zoning
538.07 AC
Address
Land Use
TOTAL SIZE
Lot Size
Zoning
1,200 SF
129.26 AC
Address
Land Use
TOTAL SIZE
Lot Size
Zoning
151.35 AC
RC
Address
Land Use
TOTAL SIZE
Lot Size
Zoning
74.80 AC
RC
Address
Land Use
TOTAL SIZE
Lot Size
Zoning
5.72 AC
CH
Address
Land Use
TOTAL SIZE
Lot Size
Zoning
49.80 AC
RC
Address
Land Use
TOTAL SIZE
Lot Size
Zoning
1,620 SF
3.30 AC
CR
Address
Land Use
TOTAL SIZE
Lot Size
Zoning
7,200 SF
3.17 AC
IN
Address
Land Use
TOTAL SIZE
Lot Size
Zoning
3,821 SF
0.58 AC
CR
Address
Land Use
TOTAL SIZE
Lot Size
Zoning
4,028 SF
0.58 AC
COMMERCIAL
Address
Land Use
TOTAL SIZE
Lot Size
Zoning
2,640 SF
0.19 AC
RM
Address
Land Use
TOTAL SIZE
Lot Size
Zoning
33.14 AC
CR
Address
Land Use
TOTAL SIZE
Lot Size
Zoning
3,565 SF
1.09 AC
CR
Address
Land Use
TOTAL SIZE
Lot Size
Zoning
38.36 AC
RL
Address
Land Use
TOTAL SIZE
Lot Size
Zoning
11,700 SF
0.06 AC
CR
Address
Land Use
TOTAL SIZE
Lot Size
Zoning
3,625 SF
0.49 AC
Address
Land Use
TOTAL SIZE
Lot Size
Zoning
1,535 SF
0.47 AC
CR
Address
Land Use
TOTAL SIZE
Lot Size
Zoning
2,816 SF
1.55 AC
C1
Address
Land Use
TOTAL SIZE
Lot Size
Zoning
119.24 AC
RC
Address
Land Use
TOTAL SIZE
Lot Size
Zoning
2,261 SF
0.39 AC
CR
Address
Land Use
TOTAL SIZE
Lot Size
Zoning
20.50 AC
RL
Address
Land Use
TOTAL SIZE
Lot Size
Zoning
2,700 SF
0.19 AC
CR
Address
Land Use
TOTAL SIZE
Lot Size
Zoning
0.50 AC
RL
Address
Land Use
TOTAL SIZE
Lot Size
Zoning
24.72 AC
RC







