Property Record
5385 Clark Rd, Paradise, CA 95969
Property Detail
5385 Clark Rd
054-110-061-000
5385 CLARK RD
Autorepair
BUTTE
IS
California
2024
2.65 AC
2025
California North Rural Area
002000
Other Market Areas
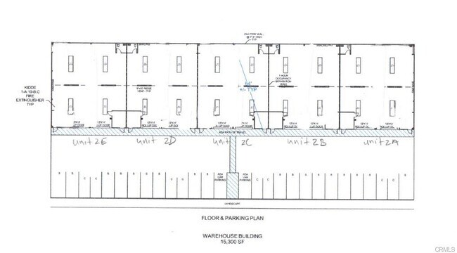
15,300 SF
Chico, CA
DEMOGRAPHICS near 5385 Clark Rd
1 mile
3 mile
5 mile
2025 Total Population
2,465
14,941
19,359
2030 Population
2,893
17,270
22,272
Pop Growth 2025-2030
+ 17.36%
+ 15.59%
+ 15.05%
Average Age
45
47
47
2025 Total Households
1,012
6,467
8,417
HH Growth 2025-2030
+ 16.90%
+ 15.46%
+ 14.96%
Median Household Inc
$41,923
$63,357
$61,062
Avg Household Size
2.20
2.20
2.20
2025 Avg HH Vehicles
2.00
2.00
2.00
Median Home Value
$502,119
$484,090
$466,863
Median Year Built
2011
2011
2011
Nearby Places
Map Layers
Listings with unknown addresses are not visible on the map
- Restaurants
- Banks
- Shops
- Fitness
- Groceries
SALE & LEASE HISTORY
LISTING DATE
SALE/LEASE
Nearby Properties
Address
Land Use
TOTAL SIZE
Lot Size
Zoning
Address
Land Use
TOTAL SIZE
Lot Size
Zoning
3,771 SF
53.55 AC
AR
Address
Land Use
TOTAL SIZE
Lot Size
Zoning
41,500 SF
5.18 AC
C2
Address
Land Use
TOTAL SIZE
Lot Size
Zoning
14.21 AC
00
Address
Land Use
TOTAL SIZE
Lot Size
Zoning
3,662 SF
2.11 AC
CS
Address
Land Use
TOTAL SIZE
Lot Size
Zoning
19,362 SF
1.80 AC
Address
Land Use
TOTAL SIZE
Lot Size
Zoning
2,437 SF
3.97 AC
A2LTD
Address
Land Use
TOTAL SIZE
Lot Size
Zoning
13,637 SF
1.28 AC
R1AC
Address
Land Use
TOTAL SIZE
Lot Size
Zoning
19,051 SF
5.30 AC
Address
Land Use
TOTAL SIZE
Lot Size
Zoning
59,995 SF
7.11 AC
00
Address
Land Use
TOTAL SIZE
Lot Size
Zoning
6.52 AC
Address
Land Use
TOTAL SIZE
Lot Size
Zoning
113,225 SF
13.30 AC
Address
Land Use
TOTAL SIZE
Lot Size
Zoning
28,046 SF
1 AC
Address
Land Use
TOTAL SIZE
Lot Size
Zoning
1,946 SF
4.72 AC
MF
Address
Land Use
TOTAL SIZE
Lot Size
Zoning
14,350 SF
3.39 AC
Address
Land Use
TOTAL SIZE
Lot Size
Zoning
58.90 AC
AG-160
Address
Land Use
TOTAL SIZE
Lot Size
Zoning
4,287 SF
3.30 AC
MF
Address
Land Use
TOTAL SIZE
Lot Size
Zoning
952 SF
0.97 AC
Address
Land Use
TOTAL SIZE
Lot Size
Zoning
7,600 SF
2.41 AC
C2
Address
Land Use
TOTAL SIZE
Lot Size
Zoning
25,247 SF
6.41 AC
00
Address
Land Use
TOTAL SIZE
Lot Size
Zoning
42,065 SF
10.92 AC
00
Address
Land Use
TOTAL SIZE
Lot Size
Zoning
16,864 SF
6.25 AC
Address
Land Use
TOTAL SIZE
Lot Size
Zoning
13,788 SF
1.70 AC
Address
Land Use
TOTAL SIZE
Lot Size
Zoning
1.62 AC
CC
Address
Land Use
TOTAL SIZE
Lot Size
Zoning
15,000 SF
3.22 AC
Address
Land Use
TOTAL SIZE
Lot Size
Zoning
8,997 SF
3.45 AC
Address
Land Use
TOTAL SIZE
Lot Size
Zoning
50,123 SF
3.09 AC
Address
Land Use
TOTAL SIZE
Lot Size
Zoning
4,900 SF
3.76 AC
CC
Address
Land Use
TOTAL SIZE
Lot Size
Zoning
14,210 SF
8.83 AC
00
Address
Land Use
TOTAL SIZE
Lot Size
Zoning
6,657 SF
1.47 AC
Address
Land Use
TOTAL SIZE
Lot Size
Zoning
7,650 SF
5.17 AC
IS







