Property Record
5406 Elm Ln, Oakley, CA 94561
Property Detail
5406 Elm Ln
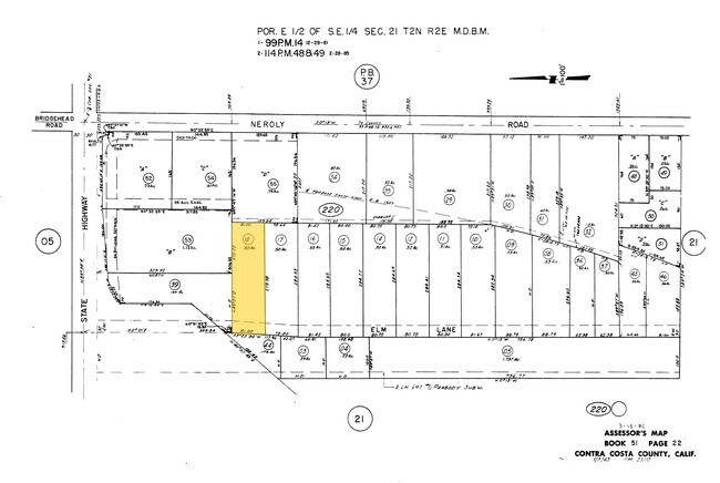
051-220-018-9
POR SEC 21 T2N R2E
Lightindustrial
Contra Costa
B and X Area of moderate flood hazard, usually the area between the limits of the 100-year and 500-year floods.
California
2025
0.55 AC
2025
Antioch/Pittsburg
306002
East Bay/Oakland
2,280 SF
Oakland-Fremont-Berkeley, CA
NEARBY LISTINGS FOR SALE OR LEASE
DEMOGRAPHICS near 5406 Elm Ln
1 mile
3 mile
5 mile
2025 Total Population
5,768
77,908
181,032
2030 Population
6,018
78,986
183,726
Pop Growth 2025-2030
+ 4.33%
+ 1.38%
+ 1.49%
Average Age
40
39
39
2025 Total Households
1,969
23,983
55,271
HH Growth 2025-2030
+ 4.37%
+ 1.41%
+ 1.49%
Median Household Inc
$81,617
$110,298
$111,406
Avg Household Size
2.90
3.20
3.20
2025 Avg HH Vehicles
2.00
2.00
2.00
Median Home Value
$692,441
$706,519
$716,936
Median Year Built
1994
1989
1991
Nearby Places
Map Layers
Listings with unknown addresses are not visible on the map
- Restaurants
- Banks
- Shops
- Fitness
- Groceries
PUBLIC TRANSPORTATION
AIRPORT
Stockton Metro
Drive
Walk
Distance
Stockton Metro
57 min
39.4 mi
Freight Ports
Port of Stockton
Drive
Walk
Distance
Port of Stockton
54 min
36.8 mi
Nearby Properties
Address
Land Use
TOTAL SIZE
Lot Size
Zoning
Address
Land Use
TOTAL SIZE
Lot Size
Zoning
24,286 SF
13.89 AC
Address
Land Use
TOTAL SIZE
Lot Size
Zoning
9,999 SF
32.23 AC
Address
Land Use
TOTAL SIZE
Lot Size
Zoning
55.08 AC
Address
Land Use
TOTAL SIZE
Lot Size
Zoning
479,414 SF
30.53 AC
Address
Land Use
TOTAL SIZE
Lot Size
Zoning
28,078 SF
6.46 AC
Address
Land Use
TOTAL SIZE
Lot Size
Zoning
35,995 SF
91.24 AC
Address
Land Use
TOTAL SIZE
Lot Size
Zoning
449,174 SF
38.31 AC
Address
Land Use
TOTAL SIZE
Lot Size
Zoning
228,334 SF
30.34 AC
HI
Address
Land Use
TOTAL SIZE
Lot Size
Zoning
145,503 SF
25.05 AC
Address
Land Use
TOTAL SIZE
Lot Size
Zoning
497,235 SF
26.26 AC
Address
Land Use
TOTAL SIZE
Lot Size
Zoning
220,840 SF
13.67 AC
Address
Land Use
TOTAL SIZE
Lot Size
Zoning
443,591 SF
23.43 AC
Address
Land Use
TOTAL SIZE
Lot Size
Zoning
97,310 SF
5.85 AC
Address
Land Use
TOTAL SIZE
Lot Size
Zoning
168,442 SF
17.46 AC
Address
Land Use
TOTAL SIZE
Lot Size
Zoning
184,623 SF
6.59 AC
Address
Land Use
TOTAL SIZE
Lot Size
Zoning
40,054 SF
3.39 AC
Address
Land Use
TOTAL SIZE
Lot Size
Zoning
24,156 SF
14.47 AC
Address
Land Use
TOTAL SIZE
Lot Size
Zoning
13,468 SF
8.77 AC
Address
Land Use
TOTAL SIZE
Lot Size
Zoning
5,584 SF
10.47 AC
Address
Land Use
TOTAL SIZE
Lot Size
Zoning
126,509 SF
11.47 AC
Address
Land Use
TOTAL SIZE
Lot Size
Zoning
147,868 SF
7.83 AC
Address
Land Use
TOTAL SIZE
Lot Size
Zoning
96,956 SF
10.49 AC
Address
Land Use
TOTAL SIZE
Lot Size
Zoning
141,267 SF
12.75 AC
Address
Land Use
TOTAL SIZE
Lot Size
Zoning
206,866 SF
12.21 AC
Address
Land Use
TOTAL SIZE
Lot Size
Zoning
150,783 SF
5.79 AC
Address
Land Use
TOTAL SIZE
Lot Size
Zoning
105,308 SF
5.12 AC
Address
Land Use
TOTAL SIZE
Lot Size
Zoning
62,861 SF
27.55 AC
Address
Land Use
TOTAL SIZE
Lot Size
Zoning
37,339 SF
6.68 AC
Address
Land Use
TOTAL SIZE
Lot Size
Zoning
58,039 SF
9.92 AC
Address
Land Use
TOTAL SIZE
Lot Size
Zoning
169,322 SF
10.80 AC







