Property Record
5452 W 11000 N, Highland, UT 84003
Property Detail
5452 W 11000 N
Salt Lake City
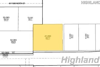
Highland Marketplace Sub
Provo-Orem, UT
LOT 11, HIGHLAND MARKETPLACE SUBDV. AREA 0.999 AC.
41-690-0011
Utah
Carwash
Utah
2024
11
2025
1 AC
010208
Utah County
3,885 SF
DEMOGRAPHICS near 5452 W 11000 N
1 Mile
3 Mile
5 Mile
2024 Total Population
7,077
58,015
144,263
2029 Population
8,215
67,588
168,368
Pop Growth 2024-2029
+ 16.08%
+ 16.50%
+ 16.71%
Average Age
35
34
33
2024 Total Households
1,811
14,496
39,644
HH Growth 2024-2029
+ 16.45%
+ 16.92%
+ 17.06%
Median Household Inc
$162,220
$143,230
$114,310
Avg Household Size
3.90
4.00
3.60
2024 Avg HH Vehicles
3.00
3.00
3.00
Median Home Value
$725,697
$688,251
$581,527
Median Year Built
2003
2002
2003
Nearby Places
Map Layers
- Restaurants
- Banks
- Shops
- Fitness
- Groceries
PUBLIC TRANSPORTATION
COMMUTER RAIL
American Fork Station (FrontRunner - Utah Transit Authority (UTA))
DRIVE
WALK
Distance
American Fork Station (FrontRunner - Utah Transit Authority (UTA))
12 min
5.8 mi
Lehi Station (FrontRunner - Utah Transit Authority (UTA))
DRIVE
WALK
Distance
Lehi Station (FrontRunner - Utah Transit Authority (UTA))
11 min
6.5 mi
AIRPORT
Provo Municipal
DRIVE
WALK
Distance
Provo Municipal
29 min
19.5 mi
Salt Lake City International
DRIVE
WALK
Distance
Salt Lake City International
42 min
34.5 mi
Freight Ports
Port of Stockton
DRIVE
WALK
Distance
Port of Stockton
742 min
724.9 mi
Nearby Properties
Address
Land Use
TOTAL SIZE
Lot Size
Zoning
Address
Land Use
TOTAL SIZE
Lot Size
Zoning
2,586,860 SF
99.85 AC
Address
Land Use
TOTAL SIZE
Lot Size
Zoning
545,572 SF
182.84 AC
Address
Land Use
TOTAL SIZE
Lot Size
Zoning
165,821 SF
12.29 AC
Address
Land Use
TOTAL SIZE
Lot Size
Zoning
242,954 SF
13.54 AC
Address
Land Use
TOTAL SIZE
Lot Size
Zoning
134,728 SF
13.07 AC
Address
Land Use
TOTAL SIZE
Lot Size
Zoning
70,678 SF
4.03 AC
Address
Land Use
TOTAL SIZE
Lot Size
Zoning
43,345 SF
4.06 AC
Address
Land Use
TOTAL SIZE
Lot Size
Zoning
81,136 SF
1.85 AC
Address
Land Use
TOTAL SIZE
Lot Size
Zoning
32,740 SF
153.49 AC
Address
Land Use
TOTAL SIZE
Lot Size
Zoning
90,581 SF
3.87 AC
Address
Land Use
TOTAL SIZE
Lot Size
Zoning
33,163 SF
1.64 AC
Address
Land Use
TOTAL SIZE
Lot Size
Zoning
52,429 SF
2.05 AC
Address
Land Use
TOTAL SIZE
Lot Size
Zoning
47,873 SF
2.24 AC
Address
Land Use
TOTAL SIZE
Lot Size
Zoning
15,094 SF
1.73 AC
Address
Land Use
TOTAL SIZE
Lot Size
Zoning
18,918 SF
1.75 AC
Address
Land Use
TOTAL SIZE
Lot Size
Zoning
28,331 SF
5 AC
Address
Land Use
TOTAL SIZE
Lot Size
Zoning
5,954 SF
1.29 AC
Address
Land Use
TOTAL SIZE
Lot Size
Zoning
10,251 SF
1.06 AC
Address
Land Use
TOTAL SIZE
Lot Size
Zoning
4,048 SF
1.75 AC
Address
Land Use
TOTAL SIZE
Lot Size
Zoning
14,453 SF
1.13 AC
Address
Land Use
TOTAL SIZE
Lot Size
Zoning
15,924 SF
0.98 AC
Address
Land Use
TOTAL SIZE
Lot Size
Zoning
15,206 SF
1.14 AC
Address
Land Use
TOTAL SIZE
Lot Size
Zoning
1,953 SF
13.40 AC
Address
Land Use
TOTAL SIZE
Lot Size
Zoning
23,143 SF
11.67 AC
Address
Land Use
TOTAL SIZE
Lot Size
Zoning
4,341 SF
1.57 AC
Address
Land Use
TOTAL SIZE
Lot Size
Zoning
19,208 SF
0.14 AC
Address
Land Use
TOTAL SIZE
Lot Size
Zoning
15,552 SF
0.72 AC
Address
Land Use
TOTAL SIZE
Lot Size
Zoning
5,269 SF
2.05 AC
Address
Land Use
TOTAL SIZE
Lot Size
Zoning
18,011 SF
0.66 AC
Address
Land Use
TOTAL SIZE
Lot Size
Zoning
11,931 SF
1.24 AC



