Property Record
55 Steam Whistle Dr, Warminster, PA 18974
NEARBY LISTINGS FOR SALE OR LEASE
Property Detail
55 Steam Whistle Dr
Philadelphia-Camden-Wilmington, PA-NJ-DE-MD
Northampton Industrial Park Ii
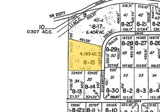
31-001-008-015
4.193AC NORTHAMPTON IND P ARK II LOTS #36-37 SEC 5
Warehouse
Bucks
X
Pennsylvania
42017C0402J
36-37
2024
4.19 AC
2025
Bucks
105008
Philadelphia
41,263 SF
DEMOGRAPHICS near 55 Steam Whistle Dr
1 Mile
3 Mile
5 Mile
2024 Total Population
3,603
52,661
144,234
2029 Population
3,579
52,838
145,252
Pop Growth 2024-2029
(0.67%)
+ 0.34%
+ 0.71%
Average Age
47
45
44
2024 Total Households
1,403
20,253
54,569
HH Growth 2024-2029
(0.71%)
+ 0.51%
+ 0.82%
Median Household Inc
$113,362
$98,990
$101,029
Avg Household Size
2.50
2.50
2.60
2024 Avg HH Vehicles
2.00
2.00
2.00
Median Home Value
$471,485
$392,989
$397,676
Median Year Built
1994
1979
1974
Nearby Places
Map Layers
- Restaurants
- Banks
- Shops
- Fitness
- Groceries
PUBLIC TRANSPORTATION
COMMUTER RAIL
Warminster (R2 - Southeastern Pennsylvania Transportation Authority Regional Rail (SEPTA Regional Rail))
DRIVE
WALK
Distance
Warminster (R2 - Southeastern Pennsylvania Transportation Authority Regional Rail (SEPTA Regional Rail))
8 min
3.7 mi
Hatboro (R2 - Southeastern Pennsylvania Transportation Authority Regional Rail (SEPTA Regional Rail))
DRIVE
WALK
Distance
Hatboro (R2 - Southeastern Pennsylvania Transportation Authority Regional Rail (SEPTA Regional Rail))
12 min
4.8 mi
AIRPORT
Trenton Mercer
DRIVE
WALK
Distance
Trenton Mercer
32 min
17.8 mi
Philadelphia International
DRIVE
WALK
Distance
Philadelphia International
61 min
34.8 mi
Freight Ports
Port of Philadelphia
DRIVE
WALK
Distance
Port of Philadelphia
39 min
20.6 mi
Nearby Properties
Address
Land Use
TOTAL SIZE
Lot Size
Zoning
Address
Land Use
TOTAL SIZE
Lot Size
Zoning
257,048 SF
36.13 AC
C
Address
Land Use
TOTAL SIZE
Lot Size
Zoning
29,308 SF
15.96 AC
I
Address
Land Use
TOTAL SIZE
Lot Size
Zoning
25,021 SF
10.82 AC
I
Address
Land Use
TOTAL SIZE
Lot Size
Zoning
249,396 SF
18.70 AC
I
Address
Land Use
TOTAL SIZE
Lot Size
Zoning
10,000 SF
10.54 AC
MF1
Address
Land Use
TOTAL SIZE
Lot Size
Zoning
140,444 SF
15.31 AC
I
Address
Land Use
TOTAL SIZE
Lot Size
Zoning
73,663 SF
14.84 AC
MF-1
Address
Land Use
TOTAL SIZE
Lot Size
Zoning
12,000 SF
12.57 AC
MF1
Address
Land Use
TOTAL SIZE
Lot Size
Zoning
89,417 SF
13.30 AC
CR
Address
Land Use
TOTAL SIZE
Lot Size
Zoning
10,000 SF
9.10 AC
MF1
Address
Land Use
TOTAL SIZE
Lot Size
Zoning
94,916 SF
13.98 AC
SC
Address
Land Use
TOTAL SIZE
Lot Size
Zoning
155,000 SF
16.18 AC
I1
Address
Land Use
TOTAL SIZE
Lot Size
Zoning
19.90 AC
Address
Land Use
TOTAL SIZE
Lot Size
Zoning
117,282 SF
12.20 AC
SC
Address
Land Use
TOTAL SIZE
Lot Size
Zoning
61,012 SF
10.78 AC
R2
Address
Land Use
TOTAL SIZE
Lot Size
Zoning
61,048 SF
14.62 AC
PK
Address
Land Use
TOTAL SIZE
Lot Size
Zoning
212,642 SF
18.81 AC
I
Address
Land Use
TOTAL SIZE
Lot Size
Zoning
25,500 SF
9 AC
I
Address
Land Use
TOTAL SIZE
Lot Size
Zoning
607 SF
87.56 AC
MF2
Address
Land Use
TOTAL SIZE
Lot Size
Zoning
113,256 SF
12.59 AC
HC
Address
Land Use
TOTAL SIZE
Lot Size
Zoning
222,666 SF
11.95 AC
I
Address
Land Use
TOTAL SIZE
Lot Size
Zoning
97,361 SF
5.62 AC
R2
Address
Land Use
TOTAL SIZE
Lot Size
Zoning
800 SF
147.62 AC
QA
Address
Land Use
TOTAL SIZE
Lot Size
Zoning
92,454 SF
12.48 AC
R1
Address
Land Use
TOTAL SIZE
Lot Size
Zoning
112,412 SF
11.24 AC
I
Address
Land Use
TOTAL SIZE
Lot Size
Zoning
137,592 SF
18.52 AC
LI
Address
Land Use
TOTAL SIZE
Lot Size
Zoning
67,788 SF
5 AC
R2
Address
Land Use
TOTAL SIZE
Lot Size
Zoning
65,195 SF
1.53 AC
SC
Address
Land Use
TOTAL SIZE
Lot Size
Zoning
218,457 SF
16.02 AC
I
Address
Land Use
TOTAL SIZE
Lot Size
Zoning
63,524 SF
6.06 AC
C1





