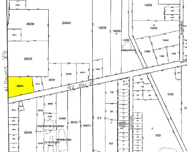
Property Record
5501 Williams Rd, Seffner, FL 33584
Property Detail
5501 Williams Rd
U-33-28-20-ZZZ-000002-26260.0
LOT BEG 901 FT W OF NE COR OF SW 1/4 OF SW 1/4 AND RUN S 7 DEG 18 MIN E 236 FT TO SR 600 (U.S 92) S 77 DEG 58 MIN W ALONG R/W 435.50 FT N 325 FT TO PT 30 FT E OF NW COR OF SW 1/4 OF SW 1/4 AND RUN E 397.23 FT TO POB....S 528 FT OF SW 1/4 OF NW 1/4 OF
Religious
Hillsborough
PD
Florida
AE The base floodplain where base flood elevations are provided. AE Zones are now used on new format FIRMs instead of A1-A30 Zones.
26260
2024
10.27 AC
2025
East Tampa
012109
Tampa/St Petersburg
21,440 SF
Tampa-St. Petersburg-Clearwater, FL
NEARBY LISTINGS FOR SALE OR LEASE
-
-
View all Seffner listings for sale on LoopNet.com
DEMOGRAPHICS near 5501 Williams Rd
1 mile
3 mile
5 mile
2025 Total Population
6,528
51,369
142,593
2030 Population
7,115
55,342
153,387
Pop Growth 2025-2030
+ 8.99%
+ 7.73%
+ 7.57%
Average Age
36
38
38
2025 Total Households
2,355
18,098
52,823
HH Growth 2025-2030
+ 9.26%
+ 8.14%
+ 7.87%
Median Household Inc
$54,676
$68,027
$68,013
Avg Household Size
2.70
2.70
2.60
2025 Avg HH Vehicles
2.00
2.00
2.00
Median Home Value
$232,096
$330,457
$327,921
Median Year Built
1992
1991
1988
Nearby Places
Map Layers
Listings with unknown addresses are not visible on the map
- Restaurants
- Banks
- Shops
- Fitness
- Groceries
PUBLIC TRANSPORTATION
COMMUTER RAIL
Tampa (Silver Star - Amtrak)
Drive
Walk
Distance
Tampa (Silver Star - Amtrak)
15 min
9.8 mi
AIRPORT
Tampa International
Drive
Walk
Distance
Tampa International
26 min
17.6 mi
St Pete-Clearwater International
Drive
Walk
Distance
St Pete-Clearwater International
43 min
26.8 mi
Freight Ports
Port of Tampa Bay
Drive
Walk
Distance
Port of Tampa Bay
19 min
11.0 mi
Nearby Properties
Address
Land Use
TOTAL SIZE
Lot Size
Zoning
Address
Land Use
TOTAL SIZE
Lot Size
Zoning
2,604,100 SF
83.27 AC
PD
Address
Land Use
TOTAL SIZE
Lot Size
Zoning
1,122,007 SF
181.48 AC
PD
Address
Land Use
TOTAL SIZE
Lot Size
Zoning
676,710 SF
64.79 AC
PD
Address
Land Use
TOTAL SIZE
Lot Size
Zoning
472,855 SF
34.23 AC
PD
Address
Land Use
TOTAL SIZE
Lot Size
Zoning
466,038 SF
26.75 AC
PD
Address
Land Use
TOTAL SIZE
Lot Size
Zoning
491,498 SF
35.60 AC
PD
Address
Land Use
TOTAL SIZE
Lot Size
Zoning
398,440 SF
48.63 AC
IPD-1
Address
Land Use
TOTAL SIZE
Lot Size
Zoning
333,142 SF
51.21 AC
AR
Address
Land Use
TOTAL SIZE
Lot Size
Zoning
250,958 SF
28.28 AC
CI
Address
Land Use
TOTAL SIZE
Lot Size
Zoning
425,350 SF
38.72 AC
PD
Address
Land Use
TOTAL SIZE
Lot Size
Zoning
635,413 SF
43.44 AC
PD
Address
Land Use
TOTAL SIZE
Lot Size
Zoning
174,144 SF
79.80 AC
PD
Address
Land Use
TOTAL SIZE
Lot Size
Zoning
388,082 SF
30.28 AC
PD
Address
Land Use
TOTAL SIZE
Lot Size
Zoning
159,876 SF
19.37 AC
PD
Address
Land Use
TOTAL SIZE
Lot Size
Zoning
185,966 SF
14.96 AC
PD
Address
Land Use
TOTAL SIZE
Lot Size
Zoning
253,720 SF
81.03 AC
M
Address
Land Use
TOTAL SIZE
Lot Size
Zoning
165,277 SF
27.50 AC
AR
Address
Land Use
TOTAL SIZE
Lot Size
Zoning
236,297 SF
15.58 AC
PD
Address
Land Use
TOTAL SIZE
Lot Size
Zoning
120,471 SF
63.04 AC
M
Address
Land Use
TOTAL SIZE
Lot Size
Zoning
292,586 SF
478.91 AC
SPI-AP-V
Address
Land Use
TOTAL SIZE
Lot Size
Zoning
131,808 SF
8.77 AC
PD
Address
Land Use
TOTAL SIZE
Lot Size
Zoning
129,696 SF
8.93 AC
PD
Address
Land Use
TOTAL SIZE
Lot Size
Zoning
307,520 SF
23.22 AC
IPD-1
Address
Land Use
TOTAL SIZE
Lot Size
Zoning
152,468 SF
14.18 AC
IPD-2
Address
Land Use
TOTAL SIZE
Lot Size
Zoning
140,025 SF
5.94 AC
PD
Address
Land Use
TOTAL SIZE
Lot Size
Zoning
213,686 SF
12.33 AC
PD
Address
Land Use
TOTAL SIZE
Lot Size
Zoning
69,978 SF
25.61 AC
PD
Address
Land Use
TOTAL SIZE
Lot Size
Zoning
128,267 SF
38.76 AC
PD
Address
Land Use
TOTAL SIZE
Lot Size
Zoning
123,408 SF
11.84 AC
M
Address
Land Use
TOTAL SIZE
Lot Size
Zoning
216,170 SF
12.89 AC
M







