Property Record
564 Mountain Ranch Rd, San Andreas, CA 95249
Property Detail
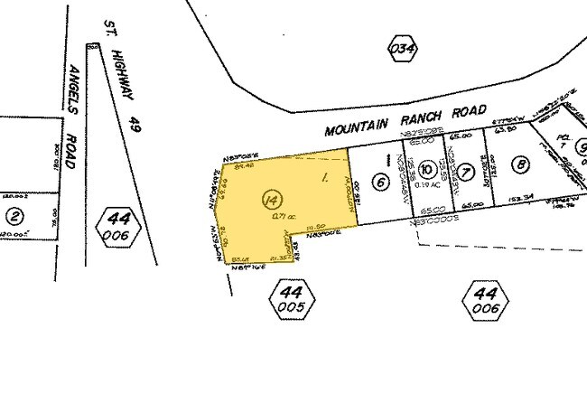
564 Mountain Ranch Rd
042-033-014-000
SAN ANDREAS TWST POR PCL 1 OF PM 7138 (LS POR RO
Officebuilding
CALAVERAS
CP
California
B and X Area of moderate flood hazard, usually the area between the limits of the 100-year and 500-year floods.
2
2025
0.71 AC
2025
Merced/Central
000301
Other Market Areas
NEARBY LISTINGS FOR SALE OR LEASE
-
-
View all San Andreas listings for sale on LoopNet.com
DEMOGRAPHICS near 564 Mountain Ranch Rd
1 mile
3 mile
5 mile
2025 Total Population
2,266
3,028
3,518
2030 Population
2,258
3,022
3,500
Pop Growth 2025-2030
(0.35%)
(0.20%)
(0.51%)
Average Age
46
45
46
2025 Total Households
950
1,268
1,467
HH Growth 2025-2030
(0.32%)
(0.16%)
(0.41%)
Median Household Inc
$52,500
$59,838
$58,946
Avg Household Size
2.20
2.20
2.20
2025 Avg HH Vehicles
2.00
2.00
2.00
Median Home Value
$373,662
$378,978
$389,130
Median Year Built
1977
1977
1978
Nearby Places
Map Layers
Listings with unknown addresses are not visible on the map
- Restaurants
- Banks
- Shops
- Fitness
- Groceries
Nearby Properties
Address
Land Use
TOTAL SIZE
Lot Size
Zoning
Address
Land Use
TOTAL SIZE
Lot Size
Zoning
31,271 SF
3.33 AC
C1
Address
Land Use
TOTAL SIZE
Lot Size
Zoning
7,632 SF
2.54 AC
CP
Address
Land Use
TOTAL SIZE
Lot Size
Zoning
4.43 AC
M2MEHL
Address
Land Use
TOTAL SIZE
Lot Size
Zoning
184.21 AC
M2
Address
Land Use
TOTAL SIZE
Lot Size
Zoning
288.23 AC
M2
Address
Land Use
TOTAL SIZE
Lot Size
Zoning
18,864 SF
1.75 AC
R3
Address
Land Use
TOTAL SIZE
Lot Size
Zoning
Address
Land Use
TOTAL SIZE
Lot Size
Zoning
0.45 AC
C2
Address
Land Use
TOTAL SIZE
Lot Size
Zoning
1.16 AC
CP
Address
Land Use
TOTAL SIZE
Lot Size
Zoning
24,709 SF
15.64 AC
M1PD
Address
Land Use
TOTAL SIZE
Lot Size
Zoning
6.07 AC
M2
Address
Land Use
TOTAL SIZE
Lot Size
Zoning
4,705 SF
5.31 AC
M4PD
Address
Land Use
TOTAL SIZE
Lot Size
Zoning
14,336 SF
1.48 AC
R3
Address
Land Use
TOTAL SIZE
Lot Size
Zoning
10,104 SF
0.89 AC
C2PD
Address
Land Use
TOTAL SIZE
Lot Size
Zoning
1.15 AC
C2PX
Address
Land Use
TOTAL SIZE
Lot Size
Zoning
1,500 SF
0.31 AC
C2
Address
Land Use
TOTAL SIZE
Lot Size
Zoning
33,160 SF
2.60 AC
C2PD
Address
Land Use
TOTAL SIZE
Lot Size
Zoning
11,592 SF
1.06 AC
R3
Address
Land Use
TOTAL SIZE
Lot Size
Zoning
1.62 AC
C2
Address
Land Use
TOTAL SIZE
Lot Size
Zoning
1.66 AC
R1
Address
Land Use
TOTAL SIZE
Lot Size
Zoning
7,518 SF
0.79 AC
CP
Address
Land Use
TOTAL SIZE
Lot Size
Zoning
5,136 SF
4.62 AC
C2
Address
Land Use
TOTAL SIZE
Lot Size
Zoning
5,495 SF
1.08 AC
C2
Address
Land Use
TOTAL SIZE
Lot Size
Zoning
0.60 AC
C2
Address
Land Use
TOTAL SIZE
Lot Size
Zoning
Address
Land Use
TOTAL SIZE
Lot Size
Zoning
10,380 SF
1.34 AC
R3PD
Address
Land Use
TOTAL SIZE
Lot Size
Zoning
2.53 AC
Address
Land Use
TOTAL SIZE
Lot Size
Zoning
1,576 SF
42.78 AC
RA10AO
Address
Land Use
TOTAL SIZE
Lot Size
Zoning
17,600 SF
0.51 AC
C2







