Property Record
5765 N Carl G Rose Hwy, Hernando, FL 34442
Property Detail
5765 N Carl G Rose Hwy
Homosassa Springs, FL
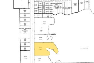
Unrec Tracts In 02-18S-19E
19E-18S-02-0000-23320
BEG AT PT E AL S BDRY 179.2 FT & N 0 DEG 54M W AL E R/W LN OF SR 200 194 FT FROM 1/4 SEC COR ON S BDRY SEC 2-18-19 TH N 0 DEG 54M W AL R/W LN 325 FT TH E TO LK TSALA APOPKA TH S AL & WITH WTR TO PT E POB TH W TO POB TITLE IN OR BK 2102 PG 132 & QCD I
Commercialacreage
Citrus
AE
Florida
12017C0209D
3.37 AC
2024
Florida Central North Area
2025
Other Market Areas
450105
DEMOGRAPHICS near 5765 N Carl G Rose Hwy
1 Mile
3 Mile
5 Mile
2024 Total Population
1,081
7,195
22,619
2029 Population
1,252
8,287
25,865
Pop Growth 2024-2029
+ 15.82%
+ 15.18%
+ 14.35%
Average Age
51
52
51
2024 Total Households
537
3,423
10,371
HH Growth 2024-2029
+ 15.64%
+ 14.96%
+ 14.09%
Median Household Inc
$33,152
$43,165
$46,418
Avg Household Size
2.00
2.00
2.10
2024 Avg HH Vehicles
2.00
2.00
2.00
Median Home Value
$152,229
$206,459
$192,710
Median Year Built
1985
1989
1989
Nearby Places
- Restaurants
- Banks
- Shops
- Fitness
- Groceries
SALE & LEASE HISTORY
LISTING DATE
SALE/LEASE
Nearby Properties
Address
Land Use
TOTAL SIZE
Lot Size
Zoning
Address
Land Use
TOTAL SIZE
Lot Size
Zoning
6,246 SF
2,813.34 AC
CON
Address
Land Use
TOTAL SIZE
Lot Size
Zoning
119,399 SF
4.77 AC
GNC
Address
Land Use
TOTAL SIZE
Lot Size
Zoning
74,320 SF
4.51 AC
GNC
Address
Land Use
TOTAL SIZE
Lot Size
Zoning
133,760 SF
4.21 AC
IND
Address
Land Use
TOTAL SIZE
Lot Size
Zoning
32,000 SF
4.83 AC
IND
Address
Land Use
TOTAL SIZE
Lot Size
Zoning
5,122 SF
132.87 AC
GNC
Address
Land Use
TOTAL SIZE
Lot Size
Zoning
104,800 SF
3.32 AC
GNC
Address
Land Use
TOTAL SIZE
Lot Size
Zoning
36,800 SF
1.99 AC
IND
Address
Land Use
TOTAL SIZE
Lot Size
Zoning
29,130 SF
3.27 AC
GNC
Address
Land Use
TOTAL SIZE
Lot Size
Zoning
18,900 SF
7.13 AC
IND
Address
Land Use
TOTAL SIZE
Lot Size
Zoning
9,230 SF
1.52 AC
PDR
Address
Land Use
TOTAL SIZE
Lot Size
Zoning
33,890 SF
4.32 AC
IND
Address
Land Use
TOTAL SIZE
Lot Size
Zoning
14,672 SF
1.59 AC
IND
Address
Land Use
TOTAL SIZE
Lot Size
Zoning
17,664 SF
2.02 AC
GNC
Address
Land Use
TOTAL SIZE
Lot Size
Zoning
9,100 SF
1.68 AC
GNC
Address
Land Use
TOTAL SIZE
Lot Size
Zoning
49,393 SF
7.54 AC
IND
Address
Land Use
TOTAL SIZE
Lot Size
Zoning
48,545 SF
7.22 AC
HDR
Address
Land Use
TOTAL SIZE
Lot Size
Zoning
18,000 SF
1.78 AC
IND
Address
Land Use
TOTAL SIZE
Lot Size
Zoning
6,863 SF
1.80 AC
LDR
Address
Land Use
TOTAL SIZE
Lot Size
Zoning
250.24 AC
LDRMH
Address
Land Use
TOTAL SIZE
Lot Size
Zoning
8,267 SF
14.99 AC
CL
Address
Land Use
TOTAL SIZE
Lot Size
Zoning
2,960 SF
14.59 AC
IND
Address
Land Use
TOTAL SIZE
Lot Size
Zoning
28,936 SF
3.38 AC
GNC
Address
Land Use
TOTAL SIZE
Lot Size
Zoning
22,396 SF
4.29 AC
GNC
Address
Land Use
TOTAL SIZE
Lot Size
Zoning
21,300 SF
1.97 AC
IND
Address
Land Use
TOTAL SIZE
Lot Size
Zoning
31,116 SF
2.50 AC
GNC
Address
Land Use
TOTAL SIZE
Lot Size
Zoning
6,272 SF
12.57 AC
CLMH
Address
Land Use
TOTAL SIZE
Lot Size
Zoning
4,290 SF
3.63 AC
PDR
Address
Land Use
TOTAL SIZE
Lot Size
Zoning
5,364 SF
1.29 AC
CL
Address
Land Use
TOTAL SIZE
Lot Size
Zoning
10,214 SF
39.87 AC
CL


