Property Record
5779 53Rd Ave E, Bradenton, FL 34203
Property Detail
5779 53Rd Ave E
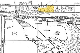
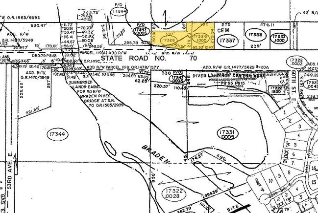
17326-1000-9
COM AT NE COR OF SEC 15; TH ALG NLY LN OF SD SEC 15, N 88 DEG 44 MIN 52 SEC W, 2040.58 FT TO THE POB; TH FROM SD POB, PARALLEL TO THE E LN OF LANDS OF BRADEN RIVER CEMETERY INC
Restaurantbuilding
Manatee
GC GENERA
Florida
AE The base floodplain where base flood elevations are provided. AE Zones are now used on new format FIRMs instead of A1-A30 Zones.
1.25 AC
2024
Manatee
2025
Tampa/St Petersburg
002011
North Port-Bradenton-Sarasota, FL
4,543 SF
NEARBY LISTINGS FOR SALE OR LEASE
-
-
View all Bradenton listings for sale on LoopNet.com
DEMOGRAPHICS near 5779 53Rd Ave E
1 mile
3 mile
5 mile
2025 Total Population
5,138
47,161
162,858
2030 Population
5,800
52,740
181,401
Pop Growth 2025-2030
+ 12.88%
+ 11.83%
+ 11.39%
Average Age
56
51
46
2025 Total Households
2,608
20,842
69,341
HH Growth 2025-2030
+ 13.04%
+ 12.05%
+ 11.64%
Median Household Inc
$74,878
$94,633
$82,692
Avg Household Size
1.90
2.20
2.30
2025 Avg HH Vehicles
2.00
2.00
2.00
Median Home Value
$353,564
$448,813
$436,425
Median Year Built
1995
1999
1998
Nearby Places
Map Layers
Listings with unknown addresses are not visible on the map
- Restaurants
- Banks
- Shops
- Fitness
- Groceries
PUBLIC TRANSPORTATION
AIRPORT
Sarasota/Bradenton International
Drive
Walk
Distance
Sarasota/Bradenton International
16 min
9.2 mi
Freight Ports
Port Manatee
Drive
Walk
Distance
Port Manatee
28 min
19.1 mi
Nearby Properties
Address
Land Use
TOTAL SIZE
Lot Size
Zoning
Address
Land Use
TOTAL SIZE
Lot Size
Zoning
385,610 SF
32.65 AC
RMF-6 MULT
Address
Land Use
TOTAL SIZE
Lot Size
Zoning
483,594 SF
23.32 AC
PD-MU
Address
Land Use
TOTAL SIZE
Lot Size
Zoning
303,515 SF
36.98 AC
PD-MU
Address
Land Use
TOTAL SIZE
Lot Size
Zoning
241,504 SF
27.72 AC
A GENERAL
Address
Land Use
TOTAL SIZE
Lot Size
Zoning
375,171 SF
20 AC
PD-MU
Address
Land Use
TOTAL SIZE
Lot Size
Zoning
343,415 SF
31.02 AC
PD-C
Address
Land Use
TOTAL SIZE
Lot Size
Zoning
348,901 SF
27 AC
BR_R-2
Address
Land Use
TOTAL SIZE
Lot Size
Zoning
227,842 SF
12.97 AC
PD-C
Address
Land Use
TOTAL SIZE
Lot Size
Zoning
187,000 SF
8.93 AC
Address
Land Use
TOTAL SIZE
Lot Size
Zoning
214,350 SF
16.07 AC
LM LIGHT M
Address
Land Use
TOTAL SIZE
Lot Size
Zoning
296,983 SF
34.84 AC
PD-MU
Address
Land Use
TOTAL SIZE
Lot Size
Zoning
29,566 SF
1.17 AC
PD-PI
Address
Land Use
TOTAL SIZE
Lot Size
Zoning
10,389 SF
57.58 AC
PD-RV
Address
Land Use
TOTAL SIZE
Lot Size
Zoning
124,129 SF
23.29 AC
PDC
Address
Land Use
TOTAL SIZE
Lot Size
Zoning
143,582 SF
14.42 AC
LM LIGHT M
Address
Land Use
TOTAL SIZE
Lot Size
Zoning
94,206 SF
10.62 AC
PD-C
Address
Land Use
TOTAL SIZE
Lot Size
Zoning
121,771 SF
28.17 AC
A-1 SUBURB
Address
Land Use
TOTAL SIZE
Lot Size
Zoning
310,215 SF
134.06 AC
A GENERAL
Address
Land Use
TOTAL SIZE
Lot Size
Zoning
220,685 SF
27.21 AC
PD-C
Address
Land Use
TOTAL SIZE
Lot Size
Zoning
180,648 SF
21.97 AC
PD-MU
Address
Land Use
TOTAL SIZE
Lot Size
Zoning
141,244 SF
18.08 AC
LM,HM
Address
Land Use
TOTAL SIZE
Lot Size
Zoning
10,094 SF
51.90 AC
PD-RV
Address
Land Use
TOTAL SIZE
Lot Size
Zoning
92,466 SF
18.80 AC
A-1 SUBURB
Address
Land Use
TOTAL SIZE
Lot Size
Zoning
88,713 SF
8.70 AC
PD-C
Address
Land Use
TOTAL SIZE
Lot Size
Zoning
160,767 SF
15.63 AC
PD-C
Address
Land Use
TOTAL SIZE
Lot Size
Zoning
53,884 SF
2.33 AC
PD-C
Address
Land Use
TOTAL SIZE
Lot Size
Zoning
104,470 SF
13.22 AC
PD-I
Address
Land Use
TOTAL SIZE
Lot Size
Zoning
66,718 SF
6.56 AC
PD-R
Address
Land Use
TOTAL SIZE
Lot Size
Zoning
114,511 SF
3.53 AC
PD-C
Address
Land Use
TOTAL SIZE
Lot Size
Zoning
78,512 SF
10.59 AC
PD-C,PD-R






