Property Record
5914 53Rd Ave E, Bradenton, FL 34203
Property Detail
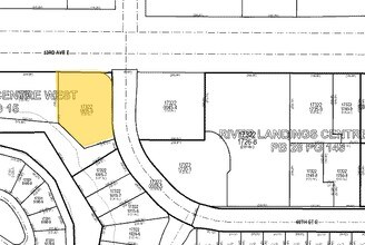
5914 53Rd Ave E
17322-1805-9
LOT 1 RIVER LANDINGS CENTRE WEST (2708/7936) PI#17322.1805/9
Servicestationmarket
MANATEE
PD-C
Florida
AE The base floodplain where base flood elevations are provided. AE Zones are now used on new format FIRMs instead of A1-A30 Zones.
1
2024
1.10 AC
2025
Manatee
002005
Tampa/St Petersburg
2,940 SF
North Port-Bradenton-Sarasota, FL
NEARBY LISTINGS FOR SALE OR LEASE
-
-
View all Bradenton listings for sale on LoopNet.com
DEMOGRAPHICS near 5914 53Rd Ave E
1 mile
3 mile
5 mile
2025 Total Population
5,100
45,353
160,392
2030 Population
5,779
50,677
178,660
Pop Growth 2025-2030
+ 13.31%
+ 11.74%
+ 11.39%
Average Age
57
51
46
2025 Total Households
2,629
20,205
68,227
HH Growth 2025-2030
+ 13.39%
+ 11.97%
+ 11.63%
Median Household Inc
$73,942
$96,458
$84,781
Avg Household Size
1.90
2.20
2.30
2025 Avg HH Vehicles
1.00
2.00
2.00
Median Home Value
$352,641
$455,796
$443,782
Median Year Built
1994
2000
1999
Nearby Places
Map Layers
Listings with unknown addresses are not visible on the map
- Restaurants
- Banks
- Shops
- Fitness
- Groceries
PUBLIC TRANSPORTATION
AIRPORT
Sarasota/Bradenton International
Drive
Walk
Distance
Sarasota/Bradenton International
17 min
9.5 mi
Freight Ports
Port Manatee
Drive
Walk
Distance
Port Manatee
27 min
18.8 mi
SALE & LEASE HISTORY
LISTING DATE
SALE/LEASE
Nearby Properties
Address
Land Use
TOTAL SIZE
Lot Size
Zoning
Address
Land Use
TOTAL SIZE
Lot Size
Zoning
385,610 SF
32.65 AC
RMF-6 MULT
Address
Land Use
TOTAL SIZE
Lot Size
Zoning
483,594 SF
23.32 AC
PD-MU
Address
Land Use
TOTAL SIZE
Lot Size
Zoning
384,346 SF
56.41 AC
PD-PI
Address
Land Use
TOTAL SIZE
Lot Size
Zoning
303,515 SF
36.98 AC
PD-MU
Address
Land Use
TOTAL SIZE
Lot Size
Zoning
241,504 SF
27.72 AC
A GENERAL
Address
Land Use
TOTAL SIZE
Lot Size
Zoning
375,171 SF
20 AC
PD-MU
Address
Land Use
TOTAL SIZE
Lot Size
Zoning
343,415 SF
31.02 AC
PD-C
Address
Land Use
TOTAL SIZE
Lot Size
Zoning
227,842 SF
12.97 AC
PD-C
Address
Land Use
TOTAL SIZE
Lot Size
Zoning
214,350 SF
16.07 AC
LM LIGHT M
Address
Land Use
TOTAL SIZE
Lot Size
Zoning
296,983 SF
34.84 AC
PD-MU
Address
Land Use
TOTAL SIZE
Lot Size
Zoning
29,566 SF
1.17 AC
PD-PI
Address
Land Use
TOTAL SIZE
Lot Size
Zoning
10,389 SF
57.58 AC
PD-RV
Address
Land Use
TOTAL SIZE
Lot Size
Zoning
124,129 SF
23.29 AC
PDC
Address
Land Use
TOTAL SIZE
Lot Size
Zoning
143,582 SF
14.42 AC
LM LIGHT M
Address
Land Use
TOTAL SIZE
Lot Size
Zoning
94,206 SF
10.62 AC
PD-C
Address
Land Use
TOTAL SIZE
Lot Size
Zoning
121,771 SF
28.17 AC
A-1 SUBURB
Address
Land Use
TOTAL SIZE
Lot Size
Zoning
310,215 SF
134.06 AC
A GENERAL
Address
Land Use
TOTAL SIZE
Lot Size
Zoning
220,685 SF
27.21 AC
PD-C
Address
Land Use
TOTAL SIZE
Lot Size
Zoning
180,648 SF
21.97 AC
PD-MU
Address
Land Use
TOTAL SIZE
Lot Size
Zoning
141,244 SF
18.08 AC
LM,HM
Address
Land Use
TOTAL SIZE
Lot Size
Zoning
10,094 SF
51.90 AC
PD-RV
Address
Land Use
TOTAL SIZE
Lot Size
Zoning
92,466 SF
18.80 AC
A-1 SUBURB
Address
Land Use
TOTAL SIZE
Lot Size
Zoning
88,713 SF
8.70 AC
PD-C
Address
Land Use
TOTAL SIZE
Lot Size
Zoning
160,767 SF
15.63 AC
PD-C
Address
Land Use
TOTAL SIZE
Lot Size
Zoning
53,884 SF
2.33 AC
PD-C
Address
Land Use
TOTAL SIZE
Lot Size
Zoning
104,470 SF
13.22 AC
PD-I
Address
Land Use
TOTAL SIZE
Lot Size
Zoning
66,718 SF
6.56 AC
PD-R
Address
Land Use
TOTAL SIZE
Lot Size
Zoning
114,511 SF
3.53 AC
PD-C
Address
Land Use
TOTAL SIZE
Lot Size
Zoning
78,512 SF
10.59 AC
PD-C,PD-R
Address
Land Use
TOTAL SIZE
Lot Size
Zoning
115,076 SF
8.10 AC
PD-C








