Property Record
606 S Juniper St, Toppenish, WA 98948
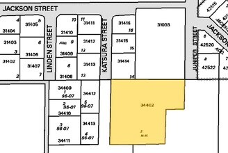
Property Detail
606 S Juniper St
Yakima, WA
Short N-15
201004-34402
PARCEL 2 BOOK N-0015
Multifamilydwelling
Yakima
ARE
Washington
53077C1464D
2
2025
2.06 AC
2025
East Yakima County
940005
Yakima
23,309 SF
DEMOGRAPHICS near 606 S Juniper St
1 Mile
3 Mile
5 Mile
2024 Total Population
6,967
11,200
17,802
2029 Population
6,915
11,097
17,534
Pop Growth 2024-2029
(0.75%)
(0.92%)
(1.51%)
Average Age
32
33
34
2024 Total Households
1,898
3,021
5,100
HH Growth 2024-2029
(0.84%)
(1.09%)
(1.67%)
Median Household Inc
$57,580
$58,834
$61,879
Avg Household Size
3.60
3.60
3.40
2024 Avg HH Vehicles
3.00
3.00
2.00
Median Home Value
$181,428
$176,461
$222,790
Median Year Built
1965
1964
1969
Nearby Places
Map Layers
- Restaurants
- Banks
- Shops
- Fitness
- Groceries
PUBLIC TRANSPORTATION
AIRPORT
Yakima Air Trml/McAllister Field
DRIVE
WALK
Distance
Yakima Air Trml/McAllister Field
32 min
20.2 mi
Freight Ports
Port of Tacoma
DRIVE
WALK
Distance
Port of Tacoma
207 min
174.4 mi
Nearby Properties
Address
Land Use
TOTAL SIZE
Lot Size
Zoning
Address
Land Use
TOTAL SIZE
Lot Size
Zoning
184,462 SF
38.17 AC
PUB
Address
Land Use
TOTAL SIZE
Lot Size
Zoning
54,446 SF
26.09 AC
PUB
Address
Land Use
TOTAL SIZE
Lot Size
Zoning
67,287 SF
5.17 AC
B2
Address
Land Use
TOTAL SIZE
Lot Size
Zoning
278,569 SF
75.58 AC
M1
Address
Land Use
TOTAL SIZE
Lot Size
Zoning
3.66 AC
PUB
Address
Land Use
TOTAL SIZE
Lot Size
Zoning
80,603 SF
28.65 AC
PUB
Address
Land Use
TOTAL SIZE
Lot Size
Zoning
226,202 SF
8.93 AC
M2
Address
Land Use
TOTAL SIZE
Lot Size
Zoning
115,209 SF
2.52 AC
PUB
Address
Land Use
TOTAL SIZE
Lot Size
Zoning
278,532 SF
21.25 AC
M2
Address
Land Use
TOTAL SIZE
Lot Size
Zoning
71,077 SF
3.77 AC
PUB
Address
Land Use
TOTAL SIZE
Lot Size
Zoning
22,980 SF
1.83 AC
B1
Address
Land Use
TOTAL SIZE
Lot Size
Zoning
36,868 SF
1.94 AC
B2
Address
Land Use
TOTAL SIZE
Lot Size
Zoning
2,414 SF
195.87 AC
CT
Address
Land Use
TOTAL SIZE
Lot Size
Zoning
68,523 SF
39.53 AC
AG
Address
Land Use
TOTAL SIZE
Lot Size
Zoning
44,649 SF
4.50 AC
B2
Address
Land Use
TOTAL SIZE
Lot Size
Zoning
43,044 SF
7.67 AC
TRIB
Address
Land Use
TOTAL SIZE
Lot Size
Zoning
51,985 SF
1.61 AC
CT
Address
Land Use
TOTAL SIZE
Lot Size
Zoning
209,841 SF
15.78 AC
M2
Address
Land Use
TOTAL SIZE
Lot Size
Zoning
21,187 SF
0.75 AC
B2
Address
Land Use
TOTAL SIZE
Lot Size
Zoning
8,000 SF
2.71 AC
CT
Address
Land Use
TOTAL SIZE
Lot Size
Zoning
34,523 SF
17.81 AC
R1
Address
Land Use
TOTAL SIZE
Lot Size
Zoning
19,848 SF
1.34 AC
M1
Address
Land Use
TOTAL SIZE
Lot Size
Zoning
10.83 AC
LIM
Address
Land Use
TOTAL SIZE
Lot Size
Zoning
23,689 SF
1.40 AC
B1
Address
Land Use
TOTAL SIZE
Lot Size
Zoning
20,740 SF
1.55 AC
B2
Address
Land Use
TOTAL SIZE
Lot Size
Zoning
13,056 SF
2.91 AC
B2
Address
Land Use
TOTAL SIZE
Lot Size
Zoning
6,176 SF
0.84 AC
CT
Address
Land Use
TOTAL SIZE
Lot Size
Zoning
24,497 SF
81.84 AC
AG
Address
Land Use
TOTAL SIZE
Lot Size
Zoning
22,588 SF
11.30 AC
R1
Address
Land Use
TOTAL SIZE
Lot Size
Zoning
19,382 SF
1.97 AC
B1





