Property Record
608 Mill Rd, Absecon, NJ 08201
Property Detail
608 Mill Rd
Atlantic City-Hammonton, NJ
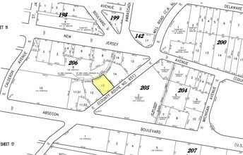
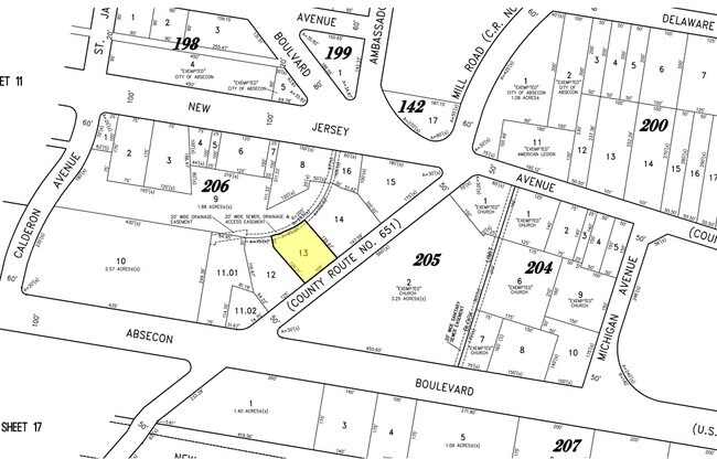
INCL BLK 206 P/O LOT 13
01-00206-0000-00013
Atlantic
Restaurantdrivein
New Jersey
HC
13
B and X Area of moderate flood hazard, usually the area between the limits of the 100-year and 500-year floods.
0.39 AC
2024
Atlantic City/Hammonton
2025
Philadelphia
010200
NEARBY LISTINGS FOR SALE OR LEASE
DEMOGRAPHICS near 608 Mill Rd
1 mile
3 mile
5 mile
2025 Total Population
5,926
29,924
71,338
2030 Population
5,844
29,416
70,506
Pop Growth 2025-2030
(1.38%)
(1.70%)
(1.17%)
Average Age
43
40
40
2025 Total Households
2,255
10,654
24,893
HH Growth 2025-2030
(2.08%)
(2.45%)
(1.93%)
Median Household Inc
$82,522
$76,927
$74,508
Avg Household Size
2.50
2.70
2.60
2025 Avg HH Vehicles
2.00
2.00
2.00
Median Home Value
$261,920
$257,268
$250,446
Median Year Built
1976
1977
1980
Nearby Places
Map Layers
Listings with unknown addresses are not visible on the map
- Restaurants
- Banks
- Shops
- Fitness
- Groceries
PUBLIC TRANSPORTATION
COMMUTER RAIL
Absecon (Atlantic City Line - NJ Transit Commuter Rail (NJ Transit))
Drive
Walk
Distance
Absecon (Atlantic City Line - NJ Transit Commuter Rail (NJ Transit))
2 min
17 min
0.9 mi
Atlantic City (Atlantic City Line - NJ Transit Commuter Rail (NJ Transit))
Drive
Walk
Distance
Atlantic City (Atlantic City Line - NJ Transit Commuter Rail (NJ Transit))
16 min
7.7 mi
AIRPORT
Atlantic City International
Drive
Walk
Distance
Atlantic City International
32 min
10.5 mi
Freight Ports
Broadway Terminal - Pier 5
Drive
Walk
Distance
Broadway Terminal - Pier 5
65 min
49.7 mi
SALE & LEASE HISTORY
LISTING DATE
SALE/LEASE
Nearby Properties
Address
Land Use
TOTAL SIZE
Lot Size
Zoning
Address
Land Use
TOTAL SIZE
Lot Size
Zoning
40.29 AC
IND
Address
Land Use
TOTAL SIZE
Lot Size
Zoning
16.75 AC
Address
Land Use
TOTAL SIZE
Lot Size
Zoning
4,320 SF
0.84 AC
UEZC
Address
Land Use
TOTAL SIZE
Lot Size
Zoning
9,318 SF
1.38 AC
UEZC
Address
Land Use
TOTAL SIZE
Lot Size
Zoning
17,312 SF
14.95 AC
MF
Address
Land Use
TOTAL SIZE
Lot Size
Zoning
5.56 AC
R-50
Address
Land Use
TOTAL SIZE
Lot Size
Zoning
16.27 AC
Address
Land Use
TOTAL SIZE
Lot Size
Zoning
Address
Land Use
TOTAL SIZE
Lot Size
Zoning
10,000 SF
1.57 AC
UEZC
Address
Land Use
TOTAL SIZE
Lot Size
Zoning
1.44 AC
UEZR
Address
Land Use
TOTAL SIZE
Lot Size
Zoning
14.09 AC
DC
Address
Land Use
TOTAL SIZE
Lot Size
Zoning
2,541 SF
19.88 AC
UEZC
Address
Land Use
TOTAL SIZE
Lot Size
Zoning
2,740 SF
0.89 AC
UEZC
Address
Land Use
TOTAL SIZE
Lot Size
Zoning
2.85 AC
R-50
Address
Land Use
TOTAL SIZE
Lot Size
Zoning
1,796 SF
11.10 AC
MF
Address
Land Use
TOTAL SIZE
Lot Size
Zoning
14.57 AC
RC
Address
Land Use
TOTAL SIZE
Lot Size
Zoning
Address
Land Use
TOTAL SIZE
Lot Size
Zoning
1.64 AC
UEZC
Address
Land Use
TOTAL SIZE
Lot Size
Zoning
29.20 AC
Address
Land Use
TOTAL SIZE
Lot Size
Zoning
7.16 AC
Address
Land Use
TOTAL SIZE
Lot Size
Zoning
65,250 SF
8 AC
CVC
Address
Land Use
TOTAL SIZE
Lot Size
Zoning
16,960 SF
9.15 AC
MF
Address
Land Use
TOTAL SIZE
Lot Size
Zoning
Address
Land Use
TOTAL SIZE
Lot Size
Zoning
Address
Land Use
TOTAL SIZE
Lot Size
Zoning
7.18 AC
258
Address
Land Use
TOTAL SIZE
Lot Size
Zoning
Address
Land Use
TOTAL SIZE
Lot Size
Zoning
1.06 AC
UEZR
Address
Land Use
TOTAL SIZE
Lot Size
Zoning
Address
Land Use
TOTAL SIZE
Lot Size
Zoning
Address
Land Use
TOTAL SIZE
Lot Size
Zoning
3.42 AC
CVC







