Property Record
610 E Irving Park Rd, Roselle, IL 60172
NEARBY LISTINGS FOR SALE OR LEASE
Property Detail
610 E Irving Park Rd
Chicago-Naperville-Elgin, IL-IN-WI
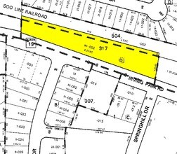
Parkview Subdivision
02-02-317-002
PARKVIEW SUBDIVISION ALL & 20 FT STRIP RR ROW LYG N & ADJ DESC IN DOC 91-3945
Commercialnec
DuPage
X
Illinois
17043C0052J
80
2024
2.27 AC
2024
North DuPage
841003
Chicago
37,040 SF
DEMOGRAPHICS near 610 E Irving Park Rd
1 Mile
3 Mile
5 Mile
2024 Total Population
9,592
88,257
250,649
2029 Population
9,338
85,672
243,797
Pop Growth 2024-2029
(2.65%)
(2.93%)
(2.73%)
Average Age
42
42
41
2024 Total Households
3,764
33,738
91,990
HH Growth 2024-2029
(2.82%)
(3.16%)
(2.99%)
Median Household Inc
$92,402
$93,831
$89,028
Avg Household Size
2.50
2.50
2.60
2024 Avg HH Vehicles
2.00
2.00
2.00
Median Home Value
$318,958
$332,814
$290,842
Median Year Built
1972
1977
1975
Nearby Places
Map Layers
- Restaurants
- Banks
- Shops
- Fitness
- Groceries
PUBLIC TRANSPORTATION
COMMUTER RAIL
Roselle Station (Milwaukee District West Line - Northeast Illinois Regional Commuter Railroad (Metra))
DRIVE
WALK
Distance
Roselle Station (Milwaukee District West Line - Northeast Illinois Regional Commuter Railroad (Metra))
2 min
2 min
0.1 mi
Medinah Station (Milwaukee District West Line - Northeast Illinois Regional Commuter Railroad (Metra))
DRIVE
WALK
Distance
Medinah Station (Milwaukee District West Line - Northeast Illinois Regional Commuter Railroad (Metra))
2 min
16 min
0.9 mi
AIRPORT
Chicago O'Hare International
DRIVE
WALK
Distance
Chicago O'Hare International
23 min
13.9 mi
Chicago Midway International
DRIVE
WALK
Distance
Chicago Midway International
39 min
25.8 mi
Freight Ports
Port Milwaukee
DRIVE
WALK
Distance
Port Milwaukee
107 min
86.2 mi
SALE & LEASE HISTORY
LISTING DATE
SALE/LEASE
Nearby Properties
Address
Land Use
TOTAL SIZE
Lot Size
Zoning
Address
Land Use
TOTAL SIZE
Lot Size
Zoning
457,762 SF
23 AC
M
Address
Land Use
TOTAL SIZE
Lot Size
Zoning
Address
Land Use
TOTAL SIZE
Lot Size
Zoning
525,422 SF
8.45 AC
C
Address
Land Use
TOTAL SIZE
Lot Size
Zoning
487,027 SF
8.36 AC
C
Address
Land Use
TOTAL SIZE
Lot Size
Zoning
450,614 SF
17.97 AC
C
Address
Land Use
TOTAL SIZE
Lot Size
Zoning
24.82 AC
Address
Land Use
TOTAL SIZE
Lot Size
Zoning
24.82 AC
Address
Land Use
TOTAL SIZE
Lot Size
Zoning
24.82 AC
Address
Land Use
TOTAL SIZE
Lot Size
Zoning
489,153 SF
18.90 AC
I
Address
Land Use
TOTAL SIZE
Lot Size
Zoning
226,069 SF
14.85 AC
Address
Land Use
TOTAL SIZE
Lot Size
Zoning
288,000 SF
11.05 AC
C
Address
Land Use
TOTAL SIZE
Lot Size
Zoning
136,975 SF
1.90 AC
Address
Land Use
TOTAL SIZE
Lot Size
Zoning
361,130 SF
19.91 AC
I
Address
Land Use
TOTAL SIZE
Lot Size
Zoning
320,430 SF
16.56 AC
I
Address
Land Use
TOTAL SIZE
Lot Size
Zoning
345,881 SF
12.66 AC
I
Address
Land Use
TOTAL SIZE
Lot Size
Zoning
11.13 AC
Address
Land Use
TOTAL SIZE
Lot Size
Zoning
286,305 SF
12.29 AC
I
Address
Land Use
TOTAL SIZE
Lot Size
Zoning
211,392 SF
11.94 AC
R
Address
Land Use
TOTAL SIZE
Lot Size
Zoning
101,282 SF
2.34 AC
Address
Land Use
TOTAL SIZE
Lot Size
Zoning
216,238 SF
13.52 AC
Address
Land Use
TOTAL SIZE
Lot Size
Zoning
249,266 SF
15.05 AC
I
Address
Land Use
TOTAL SIZE
Lot Size
Zoning
346,165 SF
3.15 AC
Address
Land Use
TOTAL SIZE
Lot Size
Zoning
60,372 SF
8.99 AC
I
Address
Land Use
TOTAL SIZE
Lot Size
Zoning
196,090 SF
5.47 AC
C
Address
Land Use
TOTAL SIZE
Lot Size
Zoning
229,759 SF
12.90 AC
I
Address
Land Use
TOTAL SIZE
Lot Size
Zoning
222,320 SF
7.77 AC
C
Address
Land Use
TOTAL SIZE
Lot Size
Zoning
217,550 SF
5.18 AC
I
Address
Land Use
TOTAL SIZE
Lot Size
Zoning
257,335 SF
16.97 AC
I
Address
Land Use
TOTAL SIZE
Lot Size
Zoning
254,758 SF
9.90 AC
I
Address
Land Use
TOTAL SIZE
Lot Size
Zoning
207,296 SF
10.42 AC
I





