Property Record
619 Eichenfeld Dr, Brandon, FL 33511
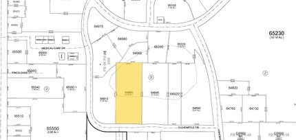
Property Detail
619 Eichenfeld Dr
U-27-29-20-ZZZ-000002-64860.0
COMM AT NW COR OF SE 1/4 OF SW 1/4 OF NE 1/4 RUN S 89 DEG 38 MIN 15 SEC E 327.49 FT FOR A POB CONT S 89 DEG 38 MIN 15 SEC E 100 FT S 00 DEG 15 MIN 23 SEC W 465.78 FT TO N R/W OF DOCTORS LAKE DRIVE THN ALG R/W 37 FT ALG ARC CONCAVE NLY W/RAD OF 375 FT
Medicalbuilding
Hillsborough
PD
Florida
AE The base floodplain where base flood elevations are provided. AE Zones are now used on new format FIRMs instead of A1-A30 Zones.
64860
2024
2.14 AC
2025
East Tampa
013311
Tampa/St Petersburg
6,823 SF
Tampa-St. Petersburg-Clearwater, FL
NEARBY LISTINGS FOR SALE OR LEASE
DEMOGRAPHICS near 619 Eichenfeld Dr
1 mile
3 mile
5 mile
2024 Total Population
9,293
104,585
243,178
2029 Population
9,998
111,981
260,762
Pop Growth 2024-2029
+ 7.59%
+ 7.07%
+ 7.23%
Average Age
40
40
39
2024 Total Households
3,800
40,425
92,264
HH Growth 2024-2029
+ 7.74%
+ 7.28%
+ 7.49%
Median Household Inc
$64,961
$79,399
$81,088
Avg Household Size
2.30
2.50
2.60
2024 Avg HH Vehicles
1.00
2.00
2.00
Median Home Value
$355,366
$363,627
$367,123
Median Year Built
1985
1991
1994
Nearby Places
Map Layers
Listings with unknown addresses are not visible on the map
- Restaurants
- Banks
- Shops
- Fitness
- Groceries
PUBLIC TRANSPORTATION
AIRPORT
Tampa International
Drive
Walk
Distance
Tampa International
32 min
20.1 mi
St Pete-Clearwater International
Drive
Walk
Distance
St Pete-Clearwater International
43 min
28.6 mi
Freight Ports
Port of Tampa Bay
Drive
Walk
Distance
Port of Tampa Bay
22 min
11.5 mi
SALE & LEASE HISTORY
LISTING DATE
SALE/LEASE
Nearby Properties
Address
Land Use
TOTAL SIZE
Lot Size
Zoning
Address
Land Use
TOTAL SIZE
Lot Size
Zoning
733,263 SF
72.88 AC
PD
Address
Land Use
TOTAL SIZE
Lot Size
Zoning
868,482 SF
60.83 AC
PD
Address
Land Use
TOTAL SIZE
Lot Size
Zoning
589,526 SF
18.06 AC
PD
Address
Land Use
TOTAL SIZE
Lot Size
Zoning
536,433 SF
18.23 AC
PD
Address
Land Use
TOTAL SIZE
Lot Size
Zoning
501,085 SF
41.18 AC
PD
Address
Land Use
TOTAL SIZE
Lot Size
Zoning
349,931 SF
19.43 AC
PD
Address
Land Use
TOTAL SIZE
Lot Size
Zoning
379,023 SF
22.16 AC
PD
Address
Land Use
TOTAL SIZE
Lot Size
Zoning
378,206 SF
20.48 AC
PD
Address
Land Use
TOTAL SIZE
Lot Size
Zoning
427,830 SF
23.95 AC
PD
Address
Land Use
TOTAL SIZE
Lot Size
Zoning
317,413 SF
14.60 AC
PD
Address
Land Use
TOTAL SIZE
Lot Size
Zoning
358,987 SF
49.16 AC
PD
Address
Land Use
TOTAL SIZE
Lot Size
Zoning
402,388 SF
34.49 AC
PD
Address
Land Use
TOTAL SIZE
Lot Size
Zoning
378,173 SF
20.06 AC
PD
Address
Land Use
TOTAL SIZE
Lot Size
Zoning
328,279 SF
15.31 AC
PD
Address
Land Use
TOTAL SIZE
Lot Size
Zoning
391,668 SF
27.43 AC
PD
Address
Land Use
TOTAL SIZE
Lot Size
Zoning
273,935 SF
15.42 AC
PD
Address
Land Use
TOTAL SIZE
Lot Size
Zoning
340,192 SF
18.70 AC
PD
Address
Land Use
TOTAL SIZE
Lot Size
Zoning
286,084 SF
15.67 AC
PD
Address
Land Use
TOTAL SIZE
Lot Size
Zoning
283,777 SF
36.66 AC
PD
Address
Land Use
TOTAL SIZE
Lot Size
Zoning
135,692 SF
11.13 AC
PD
Address
Land Use
TOTAL SIZE
Lot Size
Zoning
182,314 SF
7.59 AC
PD
Address
Land Use
TOTAL SIZE
Lot Size
Zoning
181,587 SF
17.57 AC
PD
Address
Land Use
TOTAL SIZE
Lot Size
Zoning
237,943 SF
8.25 AC
PD
Address
Land Use
TOTAL SIZE
Lot Size
Zoning
197,357 SF
14.90 AC
PD
Address
Land Use
TOTAL SIZE
Lot Size
Zoning
219,902 SF
16.65 AC
PD
Address
Land Use
TOTAL SIZE
Lot Size
Zoning
172,136 SF
21.94 AC
PD
Address
Land Use
TOTAL SIZE
Lot Size
Zoning
244,203 SF
23.61 AC
PD
Address
Land Use
TOTAL SIZE
Lot Size
Zoning
135,650 SF
14.61 AC
PD
Address
Land Use
TOTAL SIZE
Lot Size
Zoning
125,254 SF
15.73 AC
PD
Address
Land Use
TOTAL SIZE
Lot Size
Zoning
143,487 SF
8.85 AC
RMC-9








