Property Record
619 S Allen St, San Bernardino, CA 92408
Current Lease Availabilities
NEARBY LISTINGS FOR SALE OR LEASE
Property Detail
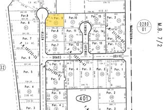
619 S Allen St
0136-401-57
Parcel Map 9051
Warehouse
PARCEL MAP 9051 PTN PARCEL 9 DESC AS BEG AT NW COR PARCEL 9 TH ALG N LI N 89 DEG 59 MIN 36 SECONDS E 161.01 FT TO NE COR PARCEL 9 TH ALG E LI S 00 DEG 07 MIN 09 SECONDS E 132.88 FT TO A PT 15.55 FT N OF S LI PARCEL 9 TH PARALLEL WITH S LI PARCEL 9 N
X
San Bernardino
06071C8683J
California
2024
0.54 AC
2025
San Bernardino
012400
Inland Empire (California)
11,264 SF
Riverside-San Bernardino-Ontario, CA
DEMOGRAPHICS near 619 S Allen St
1 Mile
3 Mile
5 Mile
2024 Total Population
4,097
119,185
339,649
2029 Population
4,133
120,902
345,602
Pop Growth 2024-2029
+ 0.88%
+ 1.44%
+ 1.75%
Average Age
36
34
35
2024 Total Households
1,269
34,623
99,147
HH Growth 2024-2029
+ 1.34%
+ 1.63%
+ 1.88%
Median Household Inc
$26,861
$48,783
$59,069
Avg Household Size
2.80
3.30
3.30
2024 Avg HH Vehicles
1.00
2.00
2.00
Median Home Value
$312,609
$310,312
$344,132
Median Year Built
1971
1968
1970
Nearby Places
Map Layers
- Restaurants
- Banks
- Shops
- Fitness
- Groceries
PUBLIC TRANSPORTATION
COMMUTER RAIL
DRIVE
WALK
Distance
6 min
2.3 mi
DRIVE
WALK
Distance
5 min
2.3 mi
AIRPORT
Ontario International
DRIVE
WALK
Distance
Ontario International
29 min
20.9 mi
Nearby Properties
Address
Land Use
TOTAL SIZE
Lot Size
Zoning
Address
Land Use
TOTAL SIZE
Lot Size
Zoning
1,831,174 SF
20.38 AC
Address
Land Use
TOTAL SIZE
Lot Size
Zoning
2,134,798 SF
153.92 AC
Address
Land Use
TOTAL SIZE
Lot Size
Zoning
708,500 SF
97.74 AC
Address
Land Use
TOTAL SIZE
Lot Size
Zoning
457,253 SF
20.14 AC
Address
Land Use
TOTAL SIZE
Lot Size
Zoning
308,030 SF
16.20 AC
Address
Land Use
TOTAL SIZE
Lot Size
Zoning
589,602 SF
36.89 AC
Address
Land Use
TOTAL SIZE
Lot Size
Zoning
1,012,980 SF
50.48 AC
Address
Land Use
TOTAL SIZE
Lot Size
Zoning
497,664 SF
56.39 AC
Address
Land Use
TOTAL SIZE
Lot Size
Zoning
1,032,072 SF
61.74 AC
Address
Land Use
TOTAL SIZE
Lot Size
Zoning
330,420 SF
15.31 AC
Address
Land Use
TOTAL SIZE
Lot Size
Zoning
417,188 SF
21.54 AC
Address
Land Use
TOTAL SIZE
Lot Size
Zoning
1,081,199 SF
49.77 AC
Address
Land Use
TOTAL SIZE
Lot Size
Zoning
300,188 SF
11.98 AC
Address
Land Use
TOTAL SIZE
Lot Size
Zoning
1,139,976 SF
49.56 AC
Address
Land Use
TOTAL SIZE
Lot Size
Zoning
406,710 SF
20.10 AC
Address
Land Use
TOTAL SIZE
Lot Size
Zoning
758,180 SF
31.86 AC
Address
Land Use
TOTAL SIZE
Lot Size
Zoning
983,986 SF
47.60 AC
Address
Land Use
TOTAL SIZE
Lot Size
Zoning
391,468 SF
16.73 AC
Address
Land Use
TOTAL SIZE
Lot Size
Zoning
1,205,400 SF
58.05 AC
Address
Land Use
TOTAL SIZE
Lot Size
Zoning
210,418 SF
12.09 AC
Address
Land Use
TOTAL SIZE
Lot Size
Zoning
951,686 SF
47.90 AC
Address
Land Use
TOTAL SIZE
Lot Size
Zoning
913,716 SF
20 AC
Address
Land Use
TOTAL SIZE
Lot Size
Zoning
225,324 SF
11.03 AC
Address
Land Use
TOTAL SIZE
Lot Size
Zoning
474,680 SF
17.95 AC
Address
Land Use
TOTAL SIZE
Lot Size
Zoning
683,406 SF
31.38 AC
Address
Land Use
TOTAL SIZE
Lot Size
Zoning
851,880 SF
42.20 AC
Address
Land Use
TOTAL SIZE
Lot Size
Zoning
404,725 SF
19.29 AC
Address
Land Use
TOTAL SIZE
Lot Size
Zoning
472,962 SF
23.28 AC
Address
Land Use
TOTAL SIZE
Lot Size
Zoning
178,926 SF
9.12 AC
IC
Address
Land Use
TOTAL SIZE
Lot Size
Zoning
549,796 SF
13.61 AC





