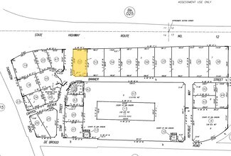
Property Record
6301 W Banner Rd, Lodi, CA 95242
Property Detail
6301 W Banner Rd
055-320-52
09-ROAD ABANDONMENT RECISSION PER 04015555
Restaurantdrivein
San Joaquin
CFS
California
C and X Area of minimal flood hazard, usually depicted on FIRMs as above the 500-year flood level.
1.05 AC
2025
Lodi
2025
Stockton/Modesto
004106
Stockton-Lodi, CA
3,053 SF
DEMOGRAPHICS near 6301 W Banner Rd
1 mile
3 mile
5 mile
2025 Total Population
22
433
24,841
2030 Population
24
438
26,548
Pop Growth 2025-2030
+ 9.09%
+ 1.15%
+ 6.87%
Average Age
43
44
40
2025 Total Households
7
162
8,122
HH Growth 2025-2030
+ 14.29%
+ 0.62%
+ 6.69%
Median Household Inc
$112,500
$106,250
$120,417
Avg Household Size
2.60
2.70
3.10
2025 Avg HH Vehicles
3.00
3.00
2.00
Median Home Value
$812,499
$801,724
$670,051
Median Year Built
1974
1971
2003
Nearby Places
Map Layers
Listings with unknown addresses are not visible on the map
- Restaurants
- Banks
- Shops
- Fitness
- Groceries
PUBLIC TRANSPORTATION
COMMUTER RAIL
Drive
Walk
Distance
13 min
7.9 mi
AIRPORT
Stockton Metro
Drive
Walk
Distance
Stockton Metro
27 min
20.7 mi
Freight Ports
Port of Stockton
Drive
Walk
Distance
Port of Stockton
17 min
13.1 mi
Nearby Properties
Address
Land Use
TOTAL SIZE
Lot Size
Zoning
Address
Land Use
TOTAL SIZE
Lot Size
Zoning
17,550 SF
151.12 AC
Address
Land Use
TOTAL SIZE
Lot Size
Zoning
3,058 SF
23.77 AC
AG40
Address
Land Use
TOTAL SIZE
Lot Size
Zoning
17,638 SF
19.62 AC
CFS
Address
Land Use
TOTAL SIZE
Lot Size
Zoning
29,913 SF
0.83 AC
CFS
Address
Land Use
TOTAL SIZE
Lot Size
Zoning
10,740 SF
3.14 AC
CFS
Address
Land Use
TOTAL SIZE
Lot Size
Zoning
260 AC
AG40
Address
Land Use
TOTAL SIZE
Lot Size
Zoning
207.04 AC
AG40
Address
Land Use
TOTAL SIZE
Lot Size
Zoning
388 AC
AG40
Address
Land Use
TOTAL SIZE
Lot Size
Zoning
76.49 AC
AG40
Address
Land Use
TOTAL SIZE
Lot Size
Zoning
800 SF
322.05 AC
AG40
Address
Land Use
TOTAL SIZE
Lot Size
Zoning
388.89 AC
AG40
Address
Land Use
TOTAL SIZE
Lot Size
Zoning
3,040 SF
4.45 AC
CFS
Address
Land Use
TOTAL SIZE
Lot Size
Zoning
3,321 SF
13.19 AC
CFS
Address
Land Use
TOTAL SIZE
Lot Size
Zoning
2,740 SF
38.04 AC
AG40
Address
Land Use
TOTAL SIZE
Lot Size
Zoning
23,273 SF
0.97 AC
CFS
Address
Land Use
TOTAL SIZE
Lot Size
Zoning
7,000 SF
61.87 AC
AG40
Address
Land Use
TOTAL SIZE
Lot Size
Zoning
30.60 AC
IT
Address
Land Use
TOTAL SIZE
Lot Size
Zoning
132.07 AC
Address
Land Use
TOTAL SIZE
Lot Size
Zoning
101.45 AC
AG40
Address
Land Use
TOTAL SIZE
Lot Size
Zoning
4.96 AC
AG40
Address
Land Use
TOTAL SIZE
Lot Size
Zoning
6,022 SF
1.46 AC
CFS
Address
Land Use
TOTAL SIZE
Lot Size
Zoning
3,253 SF
1.05 AC
CFS
Address
Land Use
TOTAL SIZE
Lot Size
Zoning
10,330 SF
10.31 AC
Address
Land Use
TOTAL SIZE
Lot Size
Zoning
34.31 AC
Address
Land Use
TOTAL SIZE
Lot Size
Zoning
3,255 SF
7 AC
IT
Address
Land Use
TOTAL SIZE
Lot Size
Zoning
369.74 AC
AG40
Address
Land Use
TOTAL SIZE
Lot Size
Zoning
155.34 AC
AG40
Address
Land Use
TOTAL SIZE
Lot Size
Zoning
869 SF
221.16 AC
AG40








