Property Record
650 Work St, Salinas, CA 93901
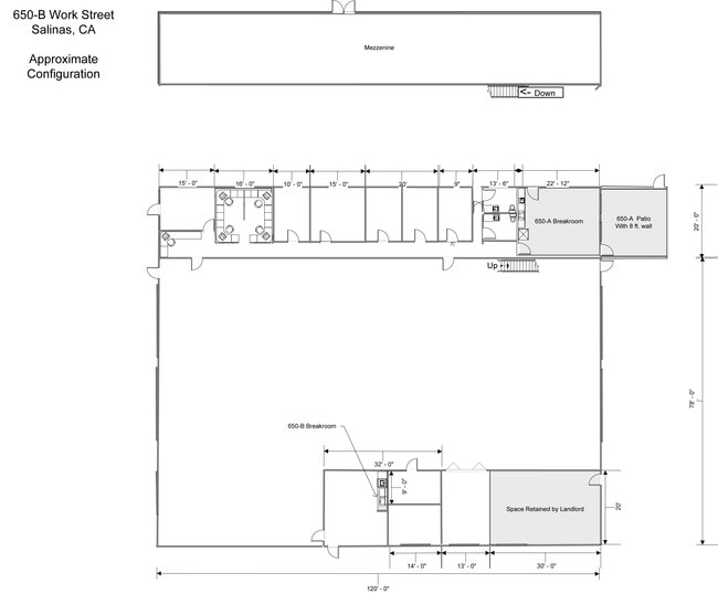
Current Lease Availabilities
Property Detail
650 Work St
Salinas, CA
OTTONE BUSINESS PARK NUMBER 2 TRACT 1328 LOT 6
003-012-006-000
Monterey
Lightindustrial
California
C and X Area of minimal flood hazard, usually depicted on FIRMs as above the 500-year flood level.
6
2024
2 AC
2025
Salinas
014500
Salinas
23,760 SF
NEARBY LISTINGS FOR SALE OR LEASE
DEMOGRAPHICS near 650 Work St
1 mile
3 mile
5 mile
2025 Total Population
18,517
127,952
168,496
2030 Population
18,189
126,824
166,847
Pop Growth 2025-2030
(1.77%)
(0.88%)
(0.98%)
Average Age
36
35
35
2025 Total Households
5,167
33,342
44,467
HH Growth 2025-2030
(1.92%)
(1.12%)
(1.22%)
Median Household Inc
$69,912
$82,855
$87,765
Avg Household Size
3.30
3.60
3.60
2025 Avg HH Vehicles
2.00
2.00
2.00
Median Home Value
$685,992
$683,159
$690,524
Median Year Built
1957
1972
1976
Nearby Places
Map Layers
Listings with unknown addresses are not visible on the map
- Restaurants
- Banks
- Shops
- Fitness
- Groceries
PUBLIC TRANSPORTATION
COMMUTER RAIL
Drive
Walk
Distance
5 min
1.9 mi
AIRPORT
Monterey Regional
Drive
Walk
Distance
Monterey Regional
24 min
17.0 mi
Nearby Properties
Address
Land Use
TOTAL SIZE
Lot Size
Zoning
Address
Land Use
TOTAL SIZE
Lot Size
Zoning
1.28 AC
Address
Land Use
TOTAL SIZE
Lot Size
Zoning
230,236 SF
15.57 AC
Address
Land Use
TOTAL SIZE
Lot Size
Zoning
1.21 AC
Address
Land Use
TOTAL SIZE
Lot Size
Zoning
4.37 AC
Address
Land Use
TOTAL SIZE
Lot Size
Zoning
156,370 SF
58.55 AC
Address
Land Use
TOTAL SIZE
Lot Size
Zoning
326,236 SF
28.41 AC
Address
Land Use
TOTAL SIZE
Lot Size
Zoning
154,360 SF
19.96 AC
Address
Land Use
TOTAL SIZE
Lot Size
Zoning
303,260 SF
30.31 AC
Address
Land Use
TOTAL SIZE
Lot Size
Zoning
75,772 SF
2.04 AC
Address
Land Use
TOTAL SIZE
Lot Size
Zoning
13.86 AC
Address
Land Use
TOTAL SIZE
Lot Size
Zoning
5.54 AC
Address
Land Use
TOTAL SIZE
Lot Size
Zoning
14,960 SF
16.02 AC
Address
Land Use
TOTAL SIZE
Lot Size
Zoning
192,296 SF
15.59 AC
Address
Land Use
TOTAL SIZE
Lot Size
Zoning
66,004 SF
12.03 AC
Address
Land Use
TOTAL SIZE
Lot Size
Zoning
1.37 AC
Address
Land Use
TOTAL SIZE
Lot Size
Zoning
76,737 SF
3.36 AC
Address
Land Use
TOTAL SIZE
Lot Size
Zoning
1.97 AC
Address
Land Use
TOTAL SIZE
Lot Size
Zoning
89,770 SF
10 AC
Address
Land Use
TOTAL SIZE
Lot Size
Zoning
162,297 SF
12 AC
Address
Land Use
TOTAL SIZE
Lot Size
Zoning
112,816 SF
9.91 AC
Address
Land Use
TOTAL SIZE
Lot Size
Zoning
8.10 AC
Address
Land Use
TOTAL SIZE
Lot Size
Zoning
9.22 AC
Address
Land Use
TOTAL SIZE
Lot Size
Zoning
3.96 AC
Address
Land Use
TOTAL SIZE
Lot Size
Zoning
70,391 SF
2.46 AC
Address
Land Use
TOTAL SIZE
Lot Size
Zoning
369,505 SF
20.19 AC
Address
Land Use
TOTAL SIZE
Lot Size
Zoning
10.65 AC
Address
Land Use
TOTAL SIZE
Lot Size
Zoning
187,259 SF
16.82 AC
Address
Land Use
TOTAL SIZE
Lot Size
Zoning
42,488 SF
6.04 AC
Address
Land Use
TOTAL SIZE
Lot Size
Zoning
49,493 SF
3.25 AC
Address
Land Use
TOTAL SIZE
Lot Size
Zoning
1.30 AC








