Property Record
652 Stevens Ave, Solana Beach, CA 92075
Property Detail
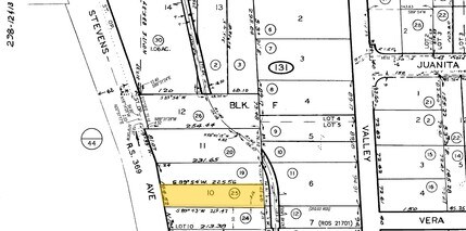
652 Stevens Ave
298-131-25
BLK F LOT 10 (EXC ST & NLY 1/3) & (EXC SLY 50 FT) TR 002148
Retailwithmorethanonenonretailuse
San Diego
C
California
B and X Area of moderate flood hazard, usually the area between the limits of the 100-year and 500-year floods.
10
2024
0.23 AC
2025
Del Mar/S Bch/Rho SF
017308
San Diego
4,564 SF
San Diego-Chula Vista-Carlsbad, CA
NEARBY LISTINGS FOR SALE OR LEASE
DEMOGRAPHICS near 652 Stevens Ave
1 mile
3 mile
5 mile
2025 Total Population
11,550
44,032
123,776
2030 Population
11,940
44,596
124,798
Pop Growth 2025-2030
+ 3.38%
+ 1.28%
+ 0.83%
Average Age
45
45
43
2025 Total Households
5,227
18,647
48,301
HH Growth 2025-2030
+ 3.62%
+ 1.43%
+ 0.88%
Median Household Inc
$154,894
$176,186
$179,273
Avg Household Size
2.20
2.30
2.50
2025 Avg HH Vehicles
2.00
2.00
2.00
Median Home Value
$1,129,701
$1,129,330
$1,120,502
Median Year Built
1976
1978
1984
Nearby Places
Map Layers
Listings with unknown addresses are not visible on the map
- Restaurants
- Banks
- Shops
- Fitness
- Groceries
PUBLIC TRANSPORTATION
COMMUTER RAIL
Solana Beach (Coaster - San Diego North County Transit District (Coaster/Sprinter/Breeze))
Drive
Walk
Distance
Solana Beach (Coaster - San Diego North County Transit District (Coaster/Sprinter/Breeze))
3 min
1.3 mi
Encinitas (Coaster - San Diego North County Transit District (Coaster/Sprinter/Breeze))
Drive
Walk
Distance
Encinitas (Coaster - San Diego North County Transit District (Coaster/Sprinter/Breeze))
10 min
5.9 mi
AIRPORT
San Diego International
Drive
Walk
Distance
San Diego International
25 min
19.4 mi
Freight Ports
Port of San Diego
Drive
Walk
Distance
Port of San Diego
31 min
23.9 mi
Nearby Properties
Address
Land Use
TOTAL SIZE
Lot Size
Zoning
Address
Land Use
TOTAL SIZE
Lot Size
Zoning
7.97 AC
CVPD-MC
Address
Land Use
TOTAL SIZE
Lot Size
Zoning
9.60 AC
CVPD-EC
Address
Land Use
TOTAL SIZE
Lot Size
Zoning
70,334 SF
9.92 AC
CC-1-3
Address
Land Use
TOTAL SIZE
Lot Size
Zoning
4.02 AC
CVPD-MC
Address
Land Use
TOTAL SIZE
Lot Size
Zoning
98,148 SF
8.85 AC
CVPD-MC
Address
Land Use
TOTAL SIZE
Lot Size
Zoning
84,312 SF
2.92 AC
C
Address
Land Use
TOTAL SIZE
Lot Size
Zoning
71,369 SF
4.99 AC
CC-1-3
Address
Land Use
TOTAL SIZE
Lot Size
Zoning
5.76 AC
CVPD-EC
Address
Land Use
TOTAL SIZE
Lot Size
Zoning
16.54 AC
CVPD-MF3
Address
Land Use
TOTAL SIZE
Lot Size
Zoning
4.46 AC
RR1
Address
Land Use
TOTAL SIZE
Lot Size
Zoning
91,869 SF
1.72 AC
C
Address
Land Use
TOTAL SIZE
Lot Size
Zoning
71,644 SF
2.18 AC
C
Address
Land Use
TOTAL SIZE
Lot Size
Zoning
92,042 SF
1.73 AC
CVPD-MC
Address
Land Use
TOTAL SIZE
Lot Size
Zoning
5.63 AC
CV-1-1
Address
Land Use
TOTAL SIZE
Lot Size
Zoning
74,895 SF
3.96 AC
CVPD-EC
Address
Land Use
TOTAL SIZE
Lot Size
Zoning
90,554 SF
3.53 AC
CVPD-EC
Address
Land Use
TOTAL SIZE
Lot Size
Zoning
8.23 AC
C
Address
Land Use
TOTAL SIZE
Lot Size
Zoning
98,636 SF
10.35 AC
CC-1-3
Address
Land Use
TOTAL SIZE
Lot Size
Zoning
16.89 AC
MHRd
Address
Land Use
TOTAL SIZE
Lot Size
Zoning
4.31 AC
OP
Address
Land Use
TOTAL SIZE
Lot Size
Zoning
5.10 AC
CVPD-EC
Address
Land Use
TOTAL SIZE
Lot Size
Zoning
2.26 AC
LI
Address
Land Use
TOTAL SIZE
Lot Size
Zoning
34,294 SF
4.13 AC
CC-1-3
Address
Land Use
TOTAL SIZE
Lot Size
Zoning
59,065 SF
3.06 AC
C
Address
Land Use
TOTAL SIZE
Lot Size
Zoning
6.96 AC
R15
Address
Land Use
TOTAL SIZE
Lot Size
Zoning
5.49 AC
R15
Address
Land Use
TOTAL SIZE
Lot Size
Zoning
87,235 SF
4.91 AC
CVPD-MF2
Address
Land Use
TOTAL SIZE
Lot Size
Zoning
9.41 AC
R15
Address
Land Use
TOTAL SIZE
Lot Size
Zoning
5.80 AC
C
Address
Land Use
TOTAL SIZE
Lot Size
Zoning
71,403 SF
4.22 AC
C








