Property Record
6925 Independence Pkwy, Plano, TX 75023
Property Detail
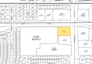
6925 Independence Pkwy
R-2407-001-0030-1
SKAGGS LEGACY ADDITION, BLK 1, LOT 3
Commercialnec
COLLIN
RT/0-M
Texas
B and X Area of moderate flood hazard, usually the area between the limits of the 100-year and 500-year floods.
3
2025
0.82 AC
2025
West Plano
031636
Dallas/Ft Worth
2,766 SF
Dallas-Fort Worth-Arlington, TX
NEARBY LISTINGS FOR SALE OR LEASE
DEMOGRAPHICS near 6925 Independence Pkwy
1 mile
3 mile
5 mile
2025 Total Population
18,654
158,589
367,758
2030 Population
20,991
178,867
417,640
Pop Growth 2025-2030
+ 12.53%
+ 12.79%
+ 13.56%
Average Age
43
41
40
2025 Total Households
6,965
57,457
142,415
HH Growth 2025-2030
+ 12.72%
+ 13.00%
+ 13.91%
Median Household Inc
$135,774
$134,062
$117,952
Avg Household Size
2.60
2.70
2.50
2025 Avg HH Vehicles
2.00
2.00
2.00
Median Home Value
$524,821
$497,495
$527,512
Median Year Built
1991
1992
1996
Nearby Places
Map Layers
Listings with unknown addresses are not visible on the map
- Restaurants
- Banks
- Shops
- Fitness
- Groceries
PUBLIC TRANSPORTATION
AIRPORT
Dallas Love Field
Drive
Walk
Distance
Dallas Love Field
35 min
23.7 mi
Dallas-Fort Worth International
Drive
Walk
Distance
Dallas-Fort Worth International
36 min
26.2 mi
Nearby Properties
Address
Land Use
TOTAL SIZE
Lot Size
Zoning
Address
Land Use
TOTAL SIZE
Lot Size
Zoning
779,629 SF
56 AC
Address
Land Use
TOTAL SIZE
Lot Size
Zoning
606,071 SF
64.75 AC
SFR
Address
Land Use
TOTAL SIZE
Lot Size
Zoning
649,703 SF
31.92 AC
MF
Address
Land Use
TOTAL SIZE
Lot Size
Zoning
207,793 SF
12.48 AC
CE
Address
Land Use
TOTAL SIZE
Lot Size
Zoning
442,484 SF
APTS
Address
Land Use
TOTAL SIZE
Lot Size
Zoning
393,074 SF
24.03 AC
MFM
Address
Land Use
TOTAL SIZE
Lot Size
Zoning
467,134 SF
24.13 AC
MF-M
Address
Land Use
TOTAL SIZE
Lot Size
Zoning
400,049 SF
34.67 AC
MF-L
Address
Land Use
TOTAL SIZE
Lot Size
Zoning
346,959 SF
12.68 AC
RT
Address
Land Use
TOTAL SIZE
Lot Size
Zoning
378,330 SF
16.32 AC
MF-H
Address
Land Use
TOTAL SIZE
Lot Size
Zoning
457,656 SF
23.19 AC
MF-H
Address
Land Use
TOTAL SIZE
Lot Size
Zoning
443,704 SF
18.87 AC
MFM
Address
Land Use
TOTAL SIZE
Lot Size
Zoning
300,347 SF
49.36 AC
SFR
Address
Land Use
TOTAL SIZE
Lot Size
Zoning
408,042 SF
18.47 AC
MF-M
Address
Land Use
TOTAL SIZE
Lot Size
Zoning
398,662 SF
21.42 AC
MF-M
Address
Land Use
TOTAL SIZE
Lot Size
Zoning
365,341 SF
15.26 AC
MF-M
Address
Land Use
TOTAL SIZE
Lot Size
Zoning
256,042 SF
28 AC
Address
Land Use
TOTAL SIZE
Lot Size
Zoning
291,184 SF
21.03 AC
MF-M
Address
Land Use
TOTAL SIZE
Lot Size
Zoning
334,313 SF
22.10 AC
Address
Land Use
TOTAL SIZE
Lot Size
Zoning
299,442 SF
25.48 AC
PD-329 COM
Address
Land Use
TOTAL SIZE
Lot Size
Zoning
164,492 SF
20.47 AC
R/MF
Address
Land Use
TOTAL SIZE
Lot Size
Zoning
307,502 SF
39.62 AC
CE
Address
Land Use
TOTAL SIZE
Lot Size
Zoning
258,988 SF
19.38 AC
MF-H
Address
Land Use
TOTAL SIZE
Lot Size
Zoning
326,534 SF
21.62 AC
MF-M
Address
Land Use
TOTAL SIZE
Lot Size
Zoning
303,820 SF
15.34 AC
MF-M
Address
Land Use
TOTAL SIZE
Lot Size
Zoning
283,040 SF
16 AC
MF-M
Address
Land Use
TOTAL SIZE
Lot Size
Zoning
290,129 SF
6.89 AC
OM
Address
Land Use
TOTAL SIZE
Lot Size
Zoning
332,500 SF
22.99 AC
MF-M
Address
Land Use
TOTAL SIZE
Lot Size
Zoning
260,679 SF
18.05 AC
MF-L
Address
Land Use
TOTAL SIZE
Lot Size
Zoning
246,610 SF
19.53 AC
MF-M








