Property Record
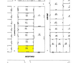
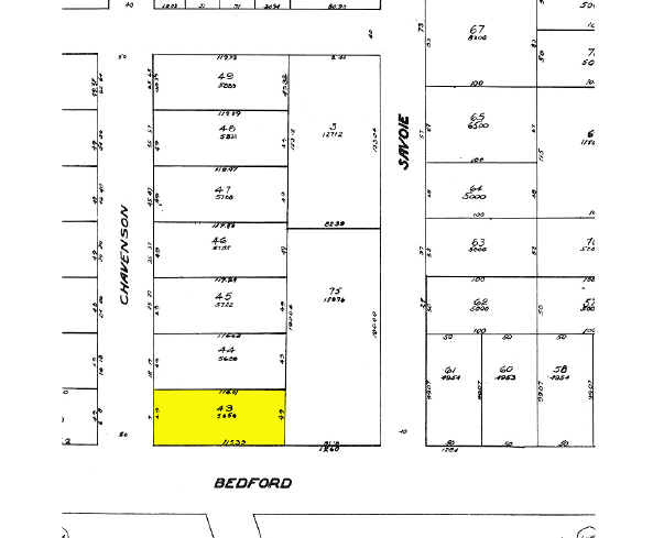
7 Chavenson St, Fall River, MA 02723
Property Detail
7 Chavenson St
FALL-000009L-000000-000043
Bristol
Apartment
Massachusetts
G
43
B and X Area of moderate flood hazard, usually the area between the limits of the 100-year and 500-year floods.
0.13 AC
2025
Downtown Fall River
2025
Boston
641700
Providence-Warwick, RI-MA
4,900 SF
NEARBY LISTINGS FOR SALE OR LEASE
DEMOGRAPHICS near 7 Chavenson St
1 mile
3 mile
5 mile
2025 Total Population
24,158
96,507
134,238
2030 Population
24,524
98,075
136,087
Pop Growth 2025-2030
+ 1.52%
+ 1.62%
+ 1.38%
Average Age
39
41
42
2025 Total Households
10,644
41,922
57,628
HH Growth 2025-2030
+ 1.57%
+ 1.71%
+ 1.48%
Median Household Inc
$49,395
$55,499
$64,576
Avg Household Size
2.20
2.20
2.30
2025 Avg HH Vehicles
1.00
1.00
2.00
Median Home Value
$353,312
$399,795
$407,469
Median Year Built
1947
1948
1951
Nearby Places
Map Layers
Listings with unknown addresses are not visible on the map
- Restaurants
- Banks
- Shops
- Fitness
- Groceries
PUBLIC TRANSPORTATION
AIRPORT
Rhode Island Tf Green International
Drive
Walk
Distance
Rhode Island Tf Green International
39 min
25.0 mi
Freight Ports
Port of New Bedford Harbor
Drive
Walk
Distance
Port of New Bedford Harbor
21 min
14.9 mi
Nearby Properties
Address
Land Use
TOTAL SIZE
Lot Size
Zoning
Address
Land Use
TOTAL SIZE
Lot Size
Zoning
634,182 SF
63.86 AC
N/A
Address
Land Use
TOTAL SIZE
Lot Size
Zoning
203,989 SF
2.01 AC
A-2
Address
Land Use
TOTAL SIZE
Lot Size
Zoning
73,957 SF
46.62 AC
CO
Address
Land Use
TOTAL SIZE
Lot Size
Zoning
183,732 SF
5.50 AC
IND
Address
Land Use
TOTAL SIZE
Lot Size
Zoning
14.30 AC
G
Address
Land Use
TOTAL SIZE
Lot Size
Zoning
212,639 SF
22.75 AC
S
Address
Land Use
TOTAL SIZE
Lot Size
Zoning
6.16 AC
B-L
Address
Land Use
TOTAL SIZE
Lot Size
Zoning
118,979 SF
6.65 AC
M
Address
Land Use
TOTAL SIZE
Lot Size
Zoning
90.84 AC
N/A
Address
Land Use
TOTAL SIZE
Lot Size
Zoning
115,119 SF
151.54 AC
WR
Address
Land Use
TOTAL SIZE
Lot Size
Zoning
140,946 SF
8.24 AC
S
Address
Land Use
TOTAL SIZE
Lot Size
Zoning
132,666 SF
18.97 AC
IND
Address
Land Use
TOTAL SIZE
Lot Size
Zoning
16.08 AC
N/A
Address
Land Use
TOTAL SIZE
Lot Size
Zoning
107,441 SF
2.10 AC
N/A
Address
Land Use
TOTAL SIZE
Lot Size
Zoning
113,643 SF
4.95 AC
R-4
Address
Land Use
TOTAL SIZE
Lot Size
Zoning
559.70 AC
S
Address
Land Use
TOTAL SIZE
Lot Size
Zoning
116,036 SF
2.43 AC
R-4
Address
Land Use
TOTAL SIZE
Lot Size
Zoning
78,883 SF
40.99 AC
N/A
Address
Land Use
TOTAL SIZE
Lot Size
Zoning
136,622 SF
55.54 AC
S
Address
Land Use
TOTAL SIZE
Lot Size
Zoning
10 AC
B
Address
Land Use
TOTAL SIZE
Lot Size
Zoning
126,146 SF
1.18 AC
A-2
Address
Land Use
TOTAL SIZE
Lot Size
Zoning
3,016 SF
16.79 AC
M
Address
Land Use
TOTAL SIZE
Lot Size
Zoning
85,692 SF
4.05 AC
S
Address
Land Use
TOTAL SIZE
Lot Size
Zoning
177,051 SF
3.13 AC
CBD
Address
Land Use
TOTAL SIZE
Lot Size
Zoning
808 AC
WR
Address
Land Use
TOTAL SIZE
Lot Size
Zoning
194,181 SF
3.40 AC
Address
Land Use
TOTAL SIZE
Lot Size
Zoning
160,234 SF
2.98 AC
CBD
Address
Land Use
TOTAL SIZE
Lot Size
Zoning
11.17 AC
MBD
Address
Land Use
TOTAL SIZE
Lot Size
Zoning
153,134 SF
14.57 AC
IND
Address
Land Use
TOTAL SIZE
Lot Size
Zoning
75,736 SF
1.39 AC
B-L







