Property Record
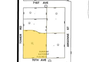
7010 Tower Rd, Denver, CO 80249
Property Detail
7010 Tower Rd
0031-01-005
SUNRISE GATEWAY FLG NO 2 B1 L5
Motel
DENVER
GTWY
Colorado
B and X Area of moderate flood hazard, usually the area between the limits of the 100-year and 500-year floods.
5
2024
2.55 AC
2025
Denver Airport/East
015800
Denver
47,551 SF
Denver-Aurora-Centennial, CO
NEARBY LISTINGS FOR SALE OR LEASE
-
-
View all Denver listings for sale on LoopNet.com
DEMOGRAPHICS near 7010 Tower Rd
1 mile
3 mile
5 mile
2025 Total Population
1,534
36,174
115,786
2030 Population
1,727
38,629
121,098
Pop Growth 2025-2030
+ 12.58%
+ 6.79%
+ 4.59%
Average Age
31
34
35
2025 Total Households
587
11,675
34,867
HH Growth 2025-2030
+ 12.61%
+ 7.47%
+ 4.94%
Median Household Inc
$84,434
$102,547
$105,680
Avg Household Size
2.60
3.00
3.20
2025 Avg HH Vehicles
2.00
2.00
2.00
Median Home Value
$393,650
$495,434
$478,307
Median Year Built
2010
2010
2005
Nearby Places
Map Layers
Listings with unknown addresses are not visible on the map
- Restaurants
- Banks
- Shops
- Fitness
- Groceries
PUBLIC TRANSPORTATION
COMMUTER RAIL
61St & Pena Station Track 2 (Union Station to Denver Airport Station - Regional Transportation District)
Drive
Walk
Distance
61St & Pena Station Track 2 (Union Station to Denver Airport Station - Regional Transportation District)
4 min
2.1 mi
40Th Ave & Airport Blvd - Gateway Park Station Track 2 (Union Station to Denver Airport Station - Regional Transportation District)
Drive
Walk
Distance
40Th Ave & Airport Blvd - Gateway Park Station Track 2 (Union Station to Denver Airport Station - Regional Transportation District)
10 min
5.2 mi
AIRPORT
Denver International
Drive
Walk
Distance
Denver International
10 min
7.3 mi
Freight Ports
Tulsa Port Of Catoosa
Drive
Walk
Distance
Tulsa Port Of Catoosa
719 min
700.7 mi
Nearby Properties
Address
Land Use
TOTAL SIZE
Lot Size
Zoning
Address
Land Use
TOTAL SIZE
Lot Size
Zoning
1,996,111 SF
73.07 AC
Address
Land Use
TOTAL SIZE
Lot Size
Zoning
1,214,982 SF
149.04 AC
I-MX-8
Address
Land Use
TOTAL SIZE
Lot Size
Zoning
258,315 SF
16.83 AC
Address
Land Use
TOTAL SIZE
Lot Size
Zoning
999,780 SF
72.36 AC
Address
Land Use
TOTAL SIZE
Lot Size
Zoning
110,192 SF
2.95 AC
C-MU-30
Address
Land Use
TOTAL SIZE
Lot Size
Zoning
200,105 SF
34.54 AC
C-MU-20
Address
Land Use
TOTAL SIZE
Lot Size
Zoning
185,812 SF
20.93 AC
C-MU-20
Address
Land Use
TOTAL SIZE
Lot Size
Zoning
594,400 SF
33.13 AC
Address
Land Use
TOTAL SIZE
Lot Size
Zoning
108,548 SF
2.98 AC
C-MU-20
Address
Land Use
TOTAL SIZE
Lot Size
Zoning
134,052 SF
6.77 AC
C-MX
Address
Land Use
TOTAL SIZE
Lot Size
Zoning
540,800 SF
38.81 AC
Address
Land Use
TOTAL SIZE
Lot Size
Zoning
55,590 SF
2.48 AC
GTWY
Address
Land Use
TOTAL SIZE
Lot Size
Zoning
99,800 SF
4.03 AC
GTWY
Address
Land Use
TOTAL SIZE
Lot Size
Zoning
172,878 SF
2.46 AC
C-MU-20
Address
Land Use
TOTAL SIZE
Lot Size
Zoning
71,229 SF
2.58 AC
C-MX
Address
Land Use
TOTAL SIZE
Lot Size
Zoning
226,972 SF
20.36 AC
Address
Land Use
TOTAL SIZE
Lot Size
Zoning
90,368 SF
2.86 AC
C-MX
Address
Land Use
TOTAL SIZE
Lot Size
Zoning
60,021 SF
1.86 AC
C-MU-10
Address
Land Use
TOTAL SIZE
Lot Size
Zoning
64,635 SF
2.06 AC
C-MX
Address
Land Use
TOTAL SIZE
Lot Size
Zoning
437,144 SF
11.58 AC
Address
Land Use
TOTAL SIZE
Lot Size
Zoning
121,970 SF
12.12 AC
C-MU-20
Address
Land Use
TOTAL SIZE
Lot Size
Zoning
57,899 SF
2.52 AC
C-MU-20
Address
Land Use
TOTAL SIZE
Lot Size
Zoning
82,039 SF
2.60 AC
C-MX
Address
Land Use
TOTAL SIZE
Lot Size
Zoning
424,700 SF
31.64 AC
PUD
Address
Land Use
TOTAL SIZE
Lot Size
Zoning
142,849 SF
15 AC
PUD
Address
Land Use
TOTAL SIZE
Lot Size
Zoning
142,413 SF
4.29 AC
C-MU-20
Address
Land Use
TOTAL SIZE
Lot Size
Zoning
366,808 SF
11.38 AC
C-MU-20
Address
Land Use
TOTAL SIZE
Lot Size
Zoning
107,276 SF
3.43 AC
C-MU-20
Address
Land Use
TOTAL SIZE
Lot Size
Zoning
111,156 SF
3.94 AC
C-MU-20
Address
Land Use
TOTAL SIZE
Lot Size
Zoning
254,565 SF
27.25 AC








