Property Record
7102 E 30Th St, Yuma, AZ 85365
Property Detail
7102 E 30Th St
698-21-012
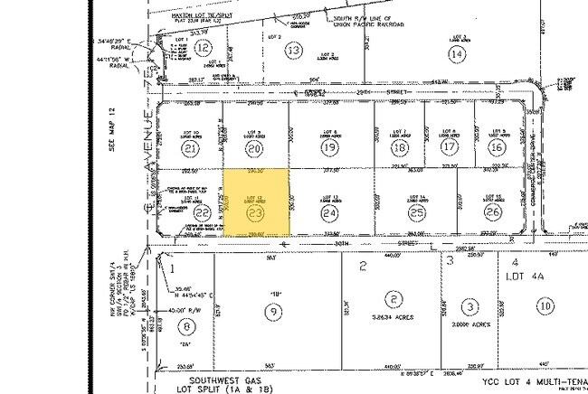
SUBDIVISION: YUMA COMMERCE CENTER LOT 7 SUB LOT: 12 SECTION: 03 TOWNSHIP: 09S RANGE: 22W
Warehouse
YUMA
HI
Arizona
C and X Area of minimal flood hazard, usually depicted on FIRMs as above the 500-year flood level.
12
2025
2 AC
2026
Yuma & El Centro
011121
Other Market Areas
18,851 SF
Yuma, AZ
NEARBY LISTINGS FOR SALE OR LEASE
DEMOGRAPHICS near 7102 E 30Th St
1 mile
3 mile
5 mile
2025 Total Population
4,123
29,303
49,444
2030 Population
4,513
32,179
53,929
Pop Growth 2025-2030
+ 9.46%
+ 9.81%
+ 9.07%
Average Age
36
40
40
2025 Total Households
1,325
10,402
17,871
HH Growth 2025-2030
+ 10.42%
+ 10.78%
+ 9.83%
Median Household Inc
$85,861
$75,437
$71,877
Avg Household Size
3.10
2.70
2.60
2025 Avg HH Vehicles
2.00
2.00
2.00
Median Home Value
$269,070
$237,449
$241,810
Median Year Built
2002
2003
2002
Nearby Places
Map Layers
Listings with unknown addresses are not visible on the map
- Restaurants
- Banks
- Shops
- Fitness
- Groceries
PUBLIC TRANSPORTATION
COMMUTER RAIL
Yuma Amtrak (Sunset Limited - Amtrak, Texas Eagle - Amtrak)
Drive
Walk
Distance
Yuma Amtrak (Sunset Limited - Amtrak, Texas Eagle - Amtrak)
12 min
9.0 mi
AIRPORT
Yuma International
Drive
Walk
Distance
Yuma International
14 min
7.4 mi
Freight Ports
Port of San Diego
Drive
Walk
Distance
Port of San Diego
200 min
179.4 mi
Nearby Properties
Address
Land Use
TOTAL SIZE
Lot Size
Zoning
Address
Land Use
TOTAL SIZE
Lot Size
Zoning
28,804 SF
9.39 AC
LI
Address
Land Use
TOTAL SIZE
Lot Size
Zoning
120,909 SF
39 AC
AG
Address
Land Use
TOTAL SIZE
Lot Size
Zoning
191,772 SF
146.35 AC
R-1-8
Address
Land Use
TOTAL SIZE
Lot Size
Zoning
221,973 SF
21.10 AC
HI
Address
Land Use
TOTAL SIZE
Lot Size
Zoning
115,155 SF
17.69 AC
LI
Address
Land Use
TOTAL SIZE
Lot Size
Zoning
12,160 SF
3 AC
HI
Address
Land Use
TOTAL SIZE
Lot Size
Zoning
221,147 SF
21.87 AC
CVSP-C
Address
Land Use
TOTAL SIZE
Lot Size
Zoning
191,534 SF
8.38 AC
R-2
Address
Land Use
TOTAL SIZE
Lot Size
Zoning
77,386 SF
22.70 AC
RVS
Address
Land Use
TOTAL SIZE
Lot Size
Zoning
180,363 SF
12.73 AC
HI
Address
Land Use
TOTAL SIZE
Lot Size
Zoning
95,058 SF
53.65 AC
R-1-8
Address
Land Use
TOTAL SIZE
Lot Size
Zoning
127,673 SF
8.18 AC
CVSP-C
Address
Land Use
TOTAL SIZE
Lot Size
Zoning
114,333 SF
118.33 AC
R-1-8
Address
Land Use
TOTAL SIZE
Lot Size
Zoning
114,005 SF
8.98 AC
HI
Address
Land Use
TOTAL SIZE
Lot Size
Zoning
70,341 SF
11.07 AC
HI
Address
Land Use
TOTAL SIZE
Lot Size
Zoning
103,442 SF
9.21 AC
LI
Address
Land Use
TOTAL SIZE
Lot Size
Zoning
53,935 SF
10.27 AC
LI
Address
Land Use
TOTAL SIZE
Lot Size
Zoning
220,761 SF
27.80 AC
LI
Address
Land Use
TOTAL SIZE
Lot Size
Zoning
107,872 SF
15 AC
LI
Address
Land Use
TOTAL SIZE
Lot Size
Zoning
59,040 SF
6.09 AC
LI
Address
Land Use
TOTAL SIZE
Lot Size
Zoning
46,690 SF
3.24 AC
HI
Address
Land Use
TOTAL SIZE
Lot Size
Zoning
12,856 SF
3.65 AC
LI
Address
Land Use
TOTAL SIZE
Lot Size
Zoning
39,260 SF
76.25 AC
AG
Address
Land Use
TOTAL SIZE
Lot Size
Zoning
20,745 SF
2.47 AC
B-2
Address
Land Use
TOTAL SIZE
Lot Size
Zoning
64,529 SF
5.50 AC
B-2
Address
Land Use
TOTAL SIZE
Lot Size
Zoning
57,312 SF
5.26 AC
HI
Address
Land Use
TOTAL SIZE
Lot Size
Zoning
30,634 SF
2.12 AC
CVSP-C
Address
Land Use
TOTAL SIZE
Lot Size
Zoning
37,500 SF
7.30 AC
HI
Address
Land Use
TOTAL SIZE
Lot Size
Zoning
36,970 SF
7.94 AC
HI
Address
Land Use
TOTAL SIZE
Lot Size
Zoning
42,180 SF
5.17 AC
LI







