Property Record
72135 Woburn Ct, Thousand Palms, CA 92276
NEARBY LISTINGS FOR SALE OR LEASE
Property Detail
72135 Woburn Ct
Riverside-San Bernardino-Ontario, CA
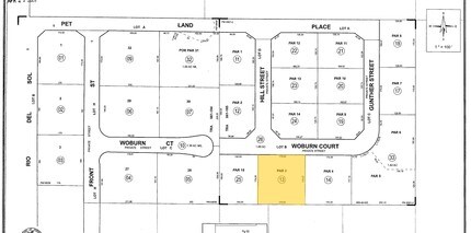
Parcel Map 30439
650-350-013
.70 ACRES NET IN PAR 3 PM 209/001 PM 30439
Lightindustrial
Riverside
AO
California
06065C1585G
3
2024
0.70 AC
2025
Coachella Valley
044505
Inland Empire (California)
11,150 SF
DEMOGRAPHICS near 72135 Woburn Ct
1 Mile
3 Mile
5 Mile
2024 Total Population
4,150
22,959
94,554
2029 Population
4,355
25,178
102,665
Pop Growth 2024-2029
+ 4.94%
+ 9.67%
+ 8.58%
Average Age
34
49
48
2024 Total Households
1,064
9,160
38,635
HH Growth 2024-2029
+ 4.32%
+ 10.29%
+ 9.02%
Median Household Inc
$73,640
$82,560
$69,402
Avg Household Size
3.70
2.40
2.40
2024 Avg HH Vehicles
2.00
2.00
2.00
Median Home Value
$317,916
$577,488
$499,478
Median Year Built
1986
1997
1988
Nearby Places
Map Layers
- Restaurants
- Banks
- Shops
- Fitness
- Groceries
PUBLIC TRANSPORTATION
AIRPORT
Palm Springs International
DRIVE
WALK
Distance
Palm Springs International
15 min
7.3 mi
SALE & LEASE HISTORY
LISTING DATE
SALE/LEASE
Nearby Properties
Address
Land Use
TOTAL SIZE
Lot Size
Zoning
Address
Land Use
TOTAL SIZE
Lot Size
Zoning
322,000 SF
19.09 AC
Address
Land Use
TOTAL SIZE
Lot Size
Zoning
135,152 SF
19.13 AC
Address
Land Use
TOTAL SIZE
Lot Size
Zoning
141,574 SF
44.60 AC
Address
Land Use
TOTAL SIZE
Lot Size
Zoning
154,374 SF
14.12 AC
Address
Land Use
TOTAL SIZE
Lot Size
Zoning
148,197 SF
13.62 AC
Address
Land Use
TOTAL SIZE
Lot Size
Zoning
221,095 SF
11.90 AC
Address
Land Use
TOTAL SIZE
Lot Size
Zoning
221,095 SF
8.56 AC
Address
Land Use
TOTAL SIZE
Lot Size
Zoning
63,816 SF
2.33 AC
IP
Address
Land Use
TOTAL SIZE
Lot Size
Zoning
3,520 SF
2.63 AC
Address
Land Use
TOTAL SIZE
Lot Size
Zoning
Address
Land Use
TOTAL SIZE
Lot Size
Zoning
112,703 SF
3.18 AC
PCD
Address
Land Use
TOTAL SIZE
Lot Size
Zoning
72,670 SF
8.43 AC
Address
Land Use
TOTAL SIZE
Lot Size
Zoning
125,048 SF
6.30 AC
C1/CP
Address
Land Use
TOTAL SIZE
Lot Size
Zoning
102,340 SF
10 AC
Address
Land Use
TOTAL SIZE
Lot Size
Zoning
43,336 SF
6.79 AC
PUDA
Address
Land Use
TOTAL SIZE
Lot Size
Zoning
90,561 SF
2.88 AC
CO
Address
Land Use
TOTAL SIZE
Lot Size
Zoning
63,909 SF
10.18 AC
Address
Land Use
TOTAL SIZE
Lot Size
Zoning
4.39 AC
PC3
Address
Land Use
TOTAL SIZE
Lot Size
Zoning
24,564 SF
0.60 AC
O
Address
Land Use
TOTAL SIZE
Lot Size
Zoning
53,128 SF
1.85 AC
Address
Land Use
TOTAL SIZE
Lot Size
Zoning
45,586 SF
3.50 AC
W220
Address
Land Use
TOTAL SIZE
Lot Size
Zoning
40,580 SF
9.68 AC
Address
Land Use
TOTAL SIZE
Lot Size
Zoning
55,000 SF
8.67 AC
Address
Land Use
TOTAL SIZE
Lot Size
Zoning
55,000 SF
8.67 AC
Address
Land Use
TOTAL SIZE
Lot Size
Zoning
18,181 SF
1.11 AC
CO
Address
Land Use
TOTAL SIZE
Lot Size
Zoning
103,689 SF
10.37 AC
Address
Land Use
TOTAL SIZE
Lot Size
Zoning
18,949 SF
2.45 AC
Address
Land Use
TOTAL SIZE
Lot Size
Zoning
35,527 SF
4.09 AC
Address
Land Use
TOTAL SIZE
Lot Size
Zoning
24,725 SF
2.74 AC





