Property Record
731 Harrison Ave, Claremont, CA 91711
Property Detail
731 Harrison Ave
Los Angeles-Long Beach-Glendale, CA
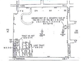
C Seavers Subdivision
8310-019-013
LOT COM N 88 49 W 92 FT FROM NE COR OF LOT 17 TR # 427 TH N 88 49 W 71.94 FT TH S ON E LINE OF LOT 1 BLK C NORTH PALOMARES TR TO N LINE OF HARRISON AVE TH E THEREON 87.31 FT TH N TO BEG PART 17 TR # 427 AND PART OF LOT 4 LOOP TRACT
Residentialacreage
Los Angeles
X
California
06037C1750F
17
2024
0.55 AC
2025
Eastern SGV
401902
Los Angeles
5,140 SF
DEMOGRAPHICS near 731 Harrison Ave
1 Mile
3 Mile
5 Mile
2024 Total Population
21,545
152,469
368,974
2029 Population
20,974
149,724
364,402
Pop Growth 2024-2029
(2.65%)
(1.80%)
(1.24%)
Average Age
41
39
38
2024 Total Households
6,989
47,743
114,170
HH Growth 2024-2029
(3.10%)
(1.98%)
(1.27%)
Median Household Inc
$93,515
$82,716
$80,579
Avg Household Size
2.50
3.00
3.10
2024 Avg HH Vehicles
2.00
2.00
2.00
Median Home Value
$710,621
$645,837
$634,874
Median Year Built
1962
1968
1970
Nearby Places
Map Layers
- Restaurants
- Banks
- Shops
- Fitness
- Groceries
PUBLIC TRANSPORTATION
COMMUTER RAIL
Claremont (San Bernardino Line - Southern California Regional Rail Authority (Metrolink))
DRIVE
WALK
Distance
Claremont (San Bernardino Line - Southern California Regional Rail Authority (Metrolink))
3 min
20 min
0.9 mi
Pomona (North) (San Bernardino Line - Southern California Regional Rail Authority (Metrolink))
DRIVE
WALK
Distance
Pomona (North) (San Bernardino Line - Southern California Regional Rail Authority (Metrolink))
5 min
1.9 mi
AIRPORT
Ontario International
DRIVE
WALK
Distance
Ontario International
20 min
11.5 mi
John Wayne/Orange County
DRIVE
WALK
Distance
John Wayne/Orange County
46 min
36.8 mi
Long Beach (Daugherty Field)
DRIVE
WALK
Distance
Long Beach (Daugherty Field)
54 min
40.8 mi
Freight Ports
Port of Long Beach
DRIVE
WALK
Distance
Port of Long Beach
60 min
46.6 mi
Nearby Properties
Address
Land Use
TOTAL SIZE
Lot Size
Zoning
Address
Land Use
TOTAL SIZE
Lot Size
Zoning
491,876 SF
22.46 AC
Address
Land Use
TOTAL SIZE
Lot Size
Zoning
788,560 SF
36.86 AC
Address
Land Use
TOTAL SIZE
Lot Size
Zoning
672,929 SF
90.10 AC
CLE*
Address
Land Use
TOTAL SIZE
Lot Size
Zoning
167,013 SF
30.60 AC
CLE*
Address
Land Use
TOTAL SIZE
Lot Size
Zoning
126,533 SF
19.51 AC
Address
Land Use
TOTAL SIZE
Lot Size
Zoning
43,129 SF
21.20 AC
CLE*
Address
Land Use
TOTAL SIZE
Lot Size
Zoning
134,182 SF
1.56 AC
CLE*
Address
Land Use
TOTAL SIZE
Lot Size
Zoning
418,820 SF
4.42 AC
Address
Land Use
TOTAL SIZE
Lot Size
Zoning
296,080 SF
14.57 AC
CLRM2000*
Address
Land Use
TOTAL SIZE
Lot Size
Zoning
224,998 SF
2.61 AC
CLI*
Address
Land Use
TOTAL SIZE
Lot Size
Zoning
120,943 SF
CLE*
Address
Land Use
TOTAL SIZE
Lot Size
Zoning
250,772 SF
23.93 AC
CLE*
Address
Land Use
TOTAL SIZE
Lot Size
Zoning
142,438 SF
8.99 AC
CLRM
Address
Land Use
TOTAL SIZE
Lot Size
Zoning
538,944 SF
20.73 AC
Address
Land Use
TOTAL SIZE
Lot Size
Zoning
125,663 SF
7.04 AC
Address
Land Use
TOTAL SIZE
Lot Size
Zoning
125,388 SF
8.88 AC
LVPR15A*
Address
Land Use
TOTAL SIZE
Lot Size
Zoning
218,376 SF
12.50 AC
Address
Land Use
TOTAL SIZE
Lot Size
Zoning
198,575 SF
7.72 AC
LUCPD*
Address
Land Use
TOTAL SIZE
Lot Size
Zoning
176,482 SF
2.31 AC
POMU
Address
Land Use
TOTAL SIZE
Lot Size
Zoning
157,736 SF
8.14 AC
POC1
Address
Land Use
TOTAL SIZE
Lot Size
Zoning
272,258 SF
1.41 AC
POMU
Address
Land Use
TOTAL SIZE
Lot Size
Zoning
411,984 SF
10.47 AC
LVCPD-PR8A
Address
Land Use
TOTAL SIZE
Lot Size
Zoning
1.86 AC
Address
Land Use
TOTAL SIZE
Lot Size
Zoning
99,508 SF
16.74 AC
CLE*
Address
Land Use
TOTAL SIZE
Lot Size
Zoning
107,525 SF
POR4*
Address
Land Use
TOTAL SIZE
Lot Size
Zoning
180,868 SF
8.24 AC
Address
Land Use
TOTAL SIZE
Lot Size
Zoning
119,109 SF
10.39 AC
CLE*
Address
Land Use
TOTAL SIZE
Lot Size
Zoning
108,751 SF
16.41 AC
CLCP*
Address
Land Use
TOTAL SIZE
Lot Size
Zoning
178,472 SF
2.85 AC
CLE*




