Property Record
7341 E 30Th St, Yuma, AZ 85365
Property Detail
7341 E 30Th St
Yuma, AZ
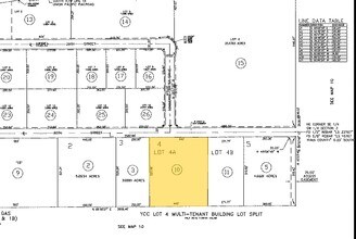
Yuma Commerce Center
698-30-024
SUBDIVISION: YUMA COMMERCE CENTER LOT: 4 W 440 FT THEREOF AKA LOT 4A YCC LOT 4 MULIT-TENANT BLDG LOT SPLIT 20/41 SECTION: 03 TOWNSHIP: 09S RANGE: 22W
Industrialgeneral
Yuma
X
Arizona
06025C2275C
4
2024
5.26 AC
2025
Yuma & El Centro
011121
Other Market Areas
57,262 SF
NEARBY LISTINGS FOR SALE OR LEASE
DEMOGRAPHICS near 7341 E 30Th St
1 mile
3 mile
5 mile
2024 Total Population
4,251
27,511
45,226
2029 Population
4,549
29,912
49,256
Pop Growth 2024-2029
+ 7.01%
+ 8.73%
+ 8.91%
Average Age
35
40
41
2024 Total Households
1,337
9,811
16,599
HH Growth 2024-2029
+ 6.96%
+ 8.84%
+ 9.01%
Median Household Inc
$83,276
$69,879
$70,447
Avg Household Size
3.10
2.70
2.60
2024 Avg HH Vehicles
2.00
2.00
2.00
Median Home Value
$215,944
$171,484
$189,397
Median Year Built
1999
2002
2001
Nearby Places
Map Layers
Listings with unknown addresses are not visible on the map
- Restaurants
- Banks
- Shops
- Fitness
- Groceries
PUBLIC TRANSPORTATION
COMMUTER RAIL
Yuma Amtrak (Sunset Limited - Amtrak, Texas Eagle - Amtrak)
Drive
Walk
Distance
Yuma Amtrak (Sunset Limited - Amtrak, Texas Eagle - Amtrak)
13 min
9.2 mi
AIRPORT
Yuma International
Drive
Walk
Distance
Yuma International
15 min
7.7 mi
Freight Ports
Port of San Diego
Drive
Walk
Distance
Port of San Diego
201 min
179.6 mi
Nearby Properties
Address
Land Use
TOTAL SIZE
Lot Size
Zoning
Address
Land Use
TOTAL SIZE
Lot Size
Zoning
120,909 SF
39 AC
AG
Address
Land Use
TOTAL SIZE
Lot Size
Zoning
221,973 SF
21.10 AC
HI
Address
Land Use
TOTAL SIZE
Lot Size
Zoning
77,386 SF
22.70 AC
RVS
Address
Land Use
TOTAL SIZE
Lot Size
Zoning
115,155 SF
17.69 AC
LI
Address
Land Use
TOTAL SIZE
Lot Size
Zoning
221,147 SF
21.87 AC
CVSP-C
Address
Land Use
TOTAL SIZE
Lot Size
Zoning
12,160 SF
3 AC
HI
Address
Land Use
TOTAL SIZE
Lot Size
Zoning
180,363 SF
12.73 AC
HI
Address
Land Use
TOTAL SIZE
Lot Size
Zoning
114,333 SF
118.33 AC
R-1-8
Address
Land Use
TOTAL SIZE
Lot Size
Zoning
95,058 SF
53.65 AC
R-1-8
Address
Land Use
TOTAL SIZE
Lot Size
Zoning
127,673 SF
8.18 AC
CVSP-C
Address
Land Use
TOTAL SIZE
Lot Size
Zoning
114,005 SF
8.98 AC
HI
Address
Land Use
TOTAL SIZE
Lot Size
Zoning
70,341 SF
11.07 AC
HI
Address
Land Use
TOTAL SIZE
Lot Size
Zoning
79,771 SF
146.35 AC
R-1-8
Address
Land Use
TOTAL SIZE
Lot Size
Zoning
53,935 SF
10.27 AC
LI
Address
Land Use
TOTAL SIZE
Lot Size
Zoning
220,761 SF
27.80 AC
LI
Address
Land Use
TOTAL SIZE
Lot Size
Zoning
107,872 SF
15 AC
LI
Address
Land Use
TOTAL SIZE
Lot Size
Zoning
59,040 SF
6.09 AC
LI
Address
Land Use
TOTAL SIZE
Lot Size
Zoning
46,690 SF
3.24 AC
HI
Address
Land Use
TOTAL SIZE
Lot Size
Zoning
24,984 SF
73.58 AC
MHP
Address
Land Use
TOTAL SIZE
Lot Size
Zoning
39,396 SF
73.55 AC
MHP
Address
Land Use
TOTAL SIZE
Lot Size
Zoning
20,745 SF
2.47 AC
B-2
Address
Land Use
TOTAL SIZE
Lot Size
Zoning
39,260 SF
76.25 AC
AG
Address
Land Use
TOTAL SIZE
Lot Size
Zoning
64,529 SF
5.50 AC
B-2
Address
Land Use
TOTAL SIZE
Lot Size
Zoning
57,312 SF
5.26 AC
HI
Address
Land Use
TOTAL SIZE
Lot Size
Zoning
30,634 SF
2.12 AC
CVSP-C
Address
Land Use
TOTAL SIZE
Lot Size
Zoning
37,500 SF
7.30 AC
HI
Address
Land Use
TOTAL SIZE
Lot Size
Zoning
36,970 SF
7.94 AC
HI
Address
Land Use
TOTAL SIZE
Lot Size
Zoning
18,490 SF
48.22 AC
CVSP-R
Address
Land Use
TOTAL SIZE
Lot Size
Zoning
42,180 SF
5.17 AC
LI
Address
Land Use
TOTAL SIZE
Lot Size
Zoning
67,068 SF
15.56 AC
LI








