Property Record
735 W Fallbrook St, Fallbrook, CA 92028
Property Detail
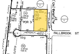
735 W Fallbrook St
104-100-63
PAR 1 (EX STS) TR PM14200
Multifamilydwelling
San Diego
RU
California
B and X Area of moderate flood hazard, usually the area between the limits of the 100-year and 500-year floods.
1.04 AC
2024
Fallbrook
2025
San Diego
018904
San Diego-Chula Vista-Carlsbad, CA
21,957 SF
NEARBY LISTINGS FOR SALE OR LEASE
DEMOGRAPHICS near 735 W Fallbrook St
1 mile
3 mile
5 mile
2025 Total Population
15,413
30,549
46,298
2030 Population
15,633
30,804
46,699
Pop Growth 2025-2030
+ 1.43%
+ 0.83%
+ 0.87%
Average Age
35
39
40
2025 Total Households
4,600
9,727
14,623
HH Growth 2025-2030
+ 1.35%
+ 0.66%
+ 0.73%
Median Household Inc
$70,202
$86,870
$94,551
Avg Household Size
3.20
3.00
2.90
2025 Avg HH Vehicles
2.00
2.00
2.00
Median Home Value
$676,107
$771,340
$833,739
Median Year Built
1978
1979
1982
Nearby Places
Map Layers
Listings with unknown addresses are not visible on the map
- Restaurants
- Banks
- Shops
- Fitness
- Groceries
Nearby Properties
Address
Land Use
TOTAL SIZE
Lot Size
Zoning
Address
Land Use
TOTAL SIZE
Lot Size
Zoning
88,892 SF
2.71 AC
C34
Address
Land Use
TOTAL SIZE
Lot Size
Zoning
72,080 SF
6.13 AC
C36
Address
Land Use
TOTAL SIZE
Lot Size
Zoning
82,240 SF
5.65 AC
RU
Address
Land Use
TOTAL SIZE
Lot Size
Zoning
1,200 SF
13.11 AC
RMH8
Address
Land Use
TOTAL SIZE
Lot Size
Zoning
7.81 AC
RR
Address
Land Use
TOTAL SIZE
Lot Size
Zoning
86,932 SF
2.67 AC
RU
Address
Land Use
TOTAL SIZE
Lot Size
Zoning
67,624 SF
2.52 AC
RU
Address
Land Use
TOTAL SIZE
Lot Size
Zoning
35,679 SF
2.76 AC
C37
Address
Land Use
TOTAL SIZE
Lot Size
Zoning
96,998 SF
5.74 AC
RU
Address
Land Use
TOTAL SIZE
Lot Size
Zoning
53,958 SF
2.92 AC
C46
Address
Land Use
TOTAL SIZE
Lot Size
Zoning
40,115 SF
6.15 AC
C36
Address
Land Use
TOTAL SIZE
Lot Size
Zoning
29,736 SF
1.68 AC
M52
Address
Land Use
TOTAL SIZE
Lot Size
Zoning
32,760 SF
1.55 AC
C46
Address
Land Use
TOTAL SIZE
Lot Size
Zoning
50,801 SF
2.34 AC
C46
Address
Land Use
TOTAL SIZE
Lot Size
Zoning
59,421 SF
1.56 AC
FBV3
Address
Land Use
TOTAL SIZE
Lot Size
Zoning
79,488 SF
3.27 AC
RU
Address
Land Use
TOTAL SIZE
Lot Size
Zoning
56,364 SF
3.28 AC
RU
Address
Land Use
TOTAL SIZE
Lot Size
Zoning
66,188 SF
3.95 AC
RU
Address
Land Use
TOTAL SIZE
Lot Size
Zoning
70,216 SF
4.11 AC
RU
Address
Land Use
TOTAL SIZE
Lot Size
Zoning
59,850 SF
2.30 AC
RU
Address
Land Use
TOTAL SIZE
Lot Size
Zoning
30,048 SF
1.33 AC
C36
Address
Land Use
TOTAL SIZE
Lot Size
Zoning
50,408 SF
3.11 AC
C37
Address
Land Use
TOTAL SIZE
Lot Size
Zoning
16,764 SF
0.72 AC
RU
Address
Land Use
TOTAL SIZE
Lot Size
Zoning
47,948 SF
2.72 AC
RU
Address
Land Use
TOTAL SIZE
Lot Size
Zoning
71,349 SF
2.99 AC
RU
Address
Land Use
TOTAL SIZE
Lot Size
Zoning
10,000 SF
1.12 AC
C37
Address
Land Use
TOTAL SIZE
Lot Size
Zoning
16,708 SF
1.77 AC
C36
Address
Land Use
TOTAL SIZE
Lot Size
Zoning
18,982 SF
1.46 AC
C37
Address
Land Use
TOTAL SIZE
Lot Size
Zoning
13,202 SF
0.53 AC
RU
Address
Land Use
TOTAL SIZE
Lot Size
Zoning
18,840 SF
0.72 AC
RU








