Property Record
7445 W 4Th Ave, Hialeah, FL 33014
This Property Is For Sale
Property Detail
7445 W 4Th Ave
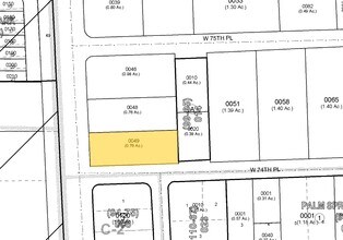
04-2130-000-0049
30 52 41 .771 AC BEG 2131.49FTS OF NW COR E100FT TO POB E300FT N112FT W300FT S112FT TO POB LOT SIZE 33584 SQUARE FEET OR 22659-3385 08 2004 5
Warehouse
Miami-Dade
7100
Florida
B and X Area of moderate flood hazard, usually the area between the limits of the 100-year and 500-year floods.
0.77 AC
2024
North Miami Beach
2025
South Florida
000505
Miami-Miami Beach-Kendall, FL
20,540 SF
NEARBY LISTINGS FOR SALE OR LEASE
-
-
-
-
-
-
-
-
-
-
-
-
-
-
-
-
-
No Photo
-
-
-
-
-
-
View all Hialeah listings for sale on LoopNet.com
DEMOGRAPHICS near 7445 W 4Th Ave
1 mile
3 mile
5 mile
2025 Total Population
23,714
189,316
512,261
2030 Population
25,574
200,834
544,042
Pop Growth 2025-2030
+ 7.84%
+ 6.08%
+ 6.20%
Average Age
44
44
42
2025 Total Households
7,862
63,998
165,932
HH Growth 2025-2030
+ 7.85%
+ 6.08%
+ 6.15%
Median Household Inc
$57,844
$59,147
$63,573
Avg Household Size
2.90
2.90
3.00
2025 Avg HH Vehicles
2.00
2.00
2.00
Median Home Value
$422,069
$406,736
$415,473
Median Year Built
1974
1974
1976
Nearby Places
Map Layers
Listings with unknown addresses are not visible on the map
- Restaurants
- Banks
- Shops
- Fitness
- Groceries
PUBLIC TRANSPORTATION
COMMUTER RAIL
Opa-Locka (Tri-County Commuter - South Florida Regional Transportation Authority (Tri-Rail))
Drive
Walk
Distance
Opa-Locka (Tri-County Commuter - South Florida Regional Transportation Authority (Tri-Rail))
6 min
3.2 mi
Hialeah (Metrorail Green Line - Miami-Dade Transit (Metrorail/Metromover))
Drive
Walk
Distance
Hialeah (Metrorail Green Line - Miami-Dade Transit (Metrorail/Metromover))
8 min
4.0 mi
AIRPORT
Miami International
Drive
Walk
Distance
Miami International
21 min
9.8 mi
Fort Lauderdale/Hollywood International
Drive
Walk
Distance
Fort Lauderdale/Hollywood International
31 min
20.3 mi
Freight Ports
Port of Miami
Drive
Walk
Distance
Port of Miami
27 min
15.6 mi
Nearby Properties
Address
Land Use
TOTAL SIZE
Lot Size
Zoning
Address
Land Use
TOTAL SIZE
Lot Size
Zoning
1,837,228 SF
498.34 AC
8500
Address
Land Use
TOTAL SIZE
Lot Size
Zoning
614,708 SF
22.54 AC
4400
Address
Land Use
TOTAL SIZE
Lot Size
Zoning
510,395 SF
28.32 AC
6500
Address
Land Use
TOTAL SIZE
Lot Size
Zoning
970,804 SF
46.92 AC
7100
Address
Land Use
TOTAL SIZE
Lot Size
Zoning
649,901 SF
124.04 AC
9400
Address
Land Use
TOTAL SIZE
Lot Size
Zoning
696,550 SF
2.97 AC
6109
Address
Land Use
TOTAL SIZE
Lot Size
Zoning
968,497 SF
58.61 AC
7100
Address
Land Use
TOTAL SIZE
Lot Size
Zoning
301,593 SF
16 AC
7100
Address
Land Use
TOTAL SIZE
Lot Size
Zoning
1,165,101 SF
115.84 AC
8000
Address
Land Use
TOTAL SIZE
Lot Size
Zoning
322,084 SF
6.60 AC
7100
Address
Land Use
TOTAL SIZE
Lot Size
Zoning
355,120 SF
18 AC
5000
Address
Land Use
TOTAL SIZE
Lot Size
Zoning
603,504 SF
27.15 AC
7100
Address
Land Use
TOTAL SIZE
Lot Size
Zoning
331,131 SF
12.09 AC
3900
Address
Land Use
TOTAL SIZE
Lot Size
Zoning
382,421 SF
19.66 AC
3700
Address
Land Use
TOTAL SIZE
Lot Size
Zoning
207,475 SF
51.47 AC
7100
Address
Land Use
TOTAL SIZE
Lot Size
Zoning
315,033 SF
11.48 AC
6109
Address
Land Use
TOTAL SIZE
Lot Size
Zoning
866,013 SF
0.11 AC
8000
Address
Land Use
TOTAL SIZE
Lot Size
Zoning
73,727 SF
232.58 AC
8054
Address
Land Use
TOTAL SIZE
Lot Size
Zoning
419,656 SF
8.61 AC
6400
Address
Land Use
TOTAL SIZE
Lot Size
Zoning
445,429 SF
4.45 AC
6400
Address
Land Use
TOTAL SIZE
Lot Size
Zoning
293,962 SF
9.99 AC
4400
Address
Land Use
TOTAL SIZE
Lot Size
Zoning
478,031 SF
1.72 AC
6600
Address
Land Use
TOTAL SIZE
Lot Size
Zoning
389,450 SF
50.72 AC
9400
Address
Land Use
TOTAL SIZE
Lot Size
Zoning
261,263 SF
9.22 AC
6109
Address
Land Use
TOTAL SIZE
Lot Size
Zoning
366,063 SF
57.35 AC
7100
Address
Land Use
TOTAL SIZE
Lot Size
Zoning
286,547 SF
9.47 AC
6109
Address
Land Use
TOTAL SIZE
Lot Size
Zoning
167,427 SF
6.85 AC
3900
Address
Land Use
TOTAL SIZE
Lot Size
Zoning
68,227 SF
388.62 AC
8000
Address
Land Use
TOTAL SIZE
Lot Size
Zoning
335,221 SF
21.51 AC
6400
Address
Land Use
TOTAL SIZE
Lot Size
Zoning
223,723 SF
35.59 AC
0100








