Property Record
750 Highway 46, Wasco, CA 93280
Property Detail
750 Highway 46
Bakersfield-Delano, CA
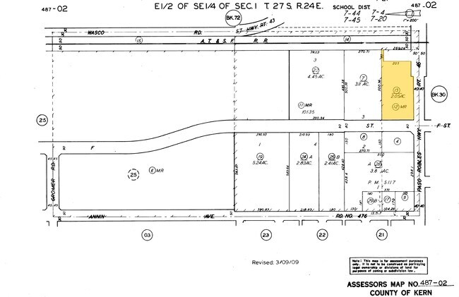
SECTION 1 , TOWNSHIP 27 , RANGE 24 , QUARTER SE
487-020-33-00-1
KERN
Processingplant
California
B and X Area of moderate flood hazard, usually the area between the limits of the 100-year and 500-year floods.
1.74 AC
2024
NW Outlying Kern County
2025
Bakersfield
004304
NEARBY LISTINGS FOR SALE OR LEASE
-
-
View all Wasco listings for sale on LoopNet.com
DEMOGRAPHICS near 750 Highway 46
1 mile
3 mile
5 mile
2025 Total Population
9,013
22,845
23,455
2030 Population
9,191
23,147
23,754
Pop Growth 2025-2030
+ 1.97%
+ 1.32%
+ 1.27%
Average Age
33
33
33
2025 Total Households
2,432
6,158
6,299
HH Growth 2025-2030
+ 1.85%
+ 1.23%
+ 1.22%
Median Household Inc
$65,748
$59,261
$59,430
Avg Household Size
3.70
3.70
3.70
2025 Avg HH Vehicles
2.00
2.00
2.00
Median Home Value
$265,561
$280,968
$282,412
Median Year Built
1966
1984
1984
Nearby Places
Map Layers
Listings with unknown addresses are not visible on the map
- Restaurants
- Banks
- Shops
- Fitness
- Groceries
PUBLIC TRANSPORTATION
AIRPORT
Meadows Field
Drive
Walk
Distance
Meadows Field
32 min
23.3 mi
Freight Ports
The Port of Hueneme
Drive
Walk
Distance
The Port of Hueneme
179 min
147.9 mi
Nearby Properties
Address
Land Use
TOTAL SIZE
Lot Size
Zoning
Address
Land Use
TOTAL SIZE
Lot Size
Zoning
52,500 SF
30.43 AC
M-3
Address
Land Use
TOTAL SIZE
Lot Size
Zoning
9,732 SF
0.61 AC
IH
Address
Land Use
TOTAL SIZE
Lot Size
Zoning
166,468 SF
9.14 AC
R-1
Address
Land Use
TOTAL SIZE
Lot Size
Zoning
4.39 AC
R2
Address
Land Use
TOTAL SIZE
Lot Size
Zoning
60,495 SF
3.09 AC
C2
Address
Land Use
TOTAL SIZE
Lot Size
Zoning
57,471 SF
3.88 AC
Address
Land Use
TOTAL SIZE
Lot Size
Zoning
79.27 AC
A
Address
Land Use
TOTAL SIZE
Lot Size
Zoning
316.36 AC
Address
Land Use
TOTAL SIZE
Lot Size
Zoning
636.36 AC
A
Address
Land Use
TOTAL SIZE
Lot Size
Zoning
2.60 AC
Address
Land Use
TOTAL SIZE
Lot Size
Zoning
311,962 SF
39.60 AC
A
Address
Land Use
TOTAL SIZE
Lot Size
Zoning
883 SF
166.90 AC
A
Address
Land Use
TOTAL SIZE
Lot Size
Zoning
37,251 SF
1.42 AC
GC
Address
Land Use
TOTAL SIZE
Lot Size
Zoning
160 AC
Address
Land Use
TOTAL SIZE
Lot Size
Zoning
7,150 SF
3.62 AC
M-3
Address
Land Use
TOTAL SIZE
Lot Size
Zoning
665 SF
5.10 AC
R-1
Address
Land Use
TOTAL SIZE
Lot Size
Zoning
8,846 SF
1.12 AC
CR
Address
Land Use
TOTAL SIZE
Lot Size
Zoning
636.36 AC
A
Address
Land Use
TOTAL SIZE
Lot Size
Zoning
7,056 SF
4.10 AC
Address
Land Use
TOTAL SIZE
Lot Size
Zoning
68,362 SF
3.68 AC
Address
Land Use
TOTAL SIZE
Lot Size
Zoning
4,379 SF
1 AC
C-R
Address
Land Use
TOTAL SIZE
Lot Size
Zoning
488.98 AC
Address
Land Use
TOTAL SIZE
Lot Size
Zoning
29,002 SF
4.16 AC
R1
Address
Land Use
TOTAL SIZE
Lot Size
Zoning
12,361 SF
1.68 AC
C-R
Address
Land Use
TOTAL SIZE
Lot Size
Zoning
2,637 SF
4.79 AC
Address
Land Use
TOTAL SIZE
Lot Size
Zoning
16,626 SF
1.68 AC
CR
Address
Land Use
TOTAL SIZE
Lot Size
Zoning
30,496 SF
1.92 AC
Address
Land Use
TOTAL SIZE
Lot Size
Zoning
2,632 SF
0.38 AC
C1






