Property Record
750 W San Jose Ave, Claremont, CA 91711
NEARBY LISTINGS FOR SALE OR LEASE
Property Detail
750 W San Jose Ave
Los Angeles-Long Beach-Glendale, CA
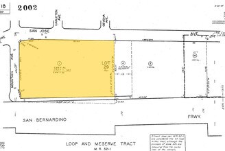
The Loop & Meserve Tract
8316-018-001
LOOP AND MESERVE TRACT N 452.87 FT OF W 20 ACS EX OF STS AND ALLEY OF LOT 29
Multifamilydwelling
Los Angeles
X
California
06037C1750F
29
2024
5.50 AC
2025
Claremont
402001
Los Angeles
94,523 SF
DEMOGRAPHICS near 750 W San Jose Ave
1 Mile
3 Mile
5 Mile
2024 Total Population
25,953
184,865
413,423
2029 Population
25,032
181,691
408,990
Pop Growth 2024-2029
(3.55%)
(1.72%)
(1.07%)
Average Age
39
37
38
2024 Total Households
7,779
54,881
126,801
HH Growth 2024-2029
(3.74%)
(1.88%)
(1.12%)
Median Household Inc
$79,969
$74,764
$80,807
Avg Household Size
3.10
3.20
3.10
2024 Avg HH Vehicles
2.00
2.00
2.00
Median Home Value
$492,640
$590,066
$625,248
Median Year Built
1959
1967
1971
Nearby Places
Map Layers
- Restaurants
- Banks
- Shops
- Fitness
- Groceries
PUBLIC TRANSPORTATION
COMMUTER RAIL
Claremont (San Bernardino Line - Southern California Regional Rail Authority (Metrolink))
DRIVE
WALK
Distance
Claremont (San Bernardino Line - Southern California Regional Rail Authority (Metrolink))
3 min
1.4 mi
Pomona (North) (San Bernardino Line - Southern California Regional Rail Authority (Metrolink))
DRIVE
WALK
Distance
Pomona (North) (San Bernardino Line - Southern California Regional Rail Authority (Metrolink))
5 min
2.5 mi
AIRPORT
Ontario International
DRIVE
WALK
Distance
Ontario International
12 min
8.5 mi
John Wayne/Orange County
DRIVE
WALK
Distance
John Wayne/Orange County
44 min
35.8 mi
Freight Ports
Port of Long Beach
DRIVE
WALK
Distance
Port of Long Beach
57 min
45.5 mi
Nearby Properties
Address
Land Use
TOTAL SIZE
Lot Size
Zoning
Address
Land Use
TOTAL SIZE
Lot Size
Zoning
491,876 SF
22.46 AC
Address
Land Use
TOTAL SIZE
Lot Size
Zoning
788,560 SF
36.86 AC
Address
Land Use
TOTAL SIZE
Lot Size
Zoning
672,929 SF
90.10 AC
CLE*
Address
Land Use
TOTAL SIZE
Lot Size
Zoning
167,013 SF
30.60 AC
CLE*
Address
Land Use
TOTAL SIZE
Lot Size
Zoning
126,533 SF
19.51 AC
Address
Land Use
TOTAL SIZE
Lot Size
Zoning
43,129 SF
21.20 AC
CLE*
Address
Land Use
TOTAL SIZE
Lot Size
Zoning
134,182 SF
1.56 AC
CLE*
Address
Land Use
TOTAL SIZE
Lot Size
Zoning
418,820 SF
4.42 AC
Address
Land Use
TOTAL SIZE
Lot Size
Zoning
296,080 SF
14.57 AC
CLRM2000*
Address
Land Use
TOTAL SIZE
Lot Size
Zoning
224,998 SF
2.61 AC
CLI*
Address
Land Use
TOTAL SIZE
Lot Size
Zoning
120,943 SF
CLE*
Address
Land Use
TOTAL SIZE
Lot Size
Zoning
250,772 SF
23.93 AC
CLE*
Address
Land Use
TOTAL SIZE
Lot Size
Zoning
142,438 SF
8.99 AC
CLRM
Address
Land Use
TOTAL SIZE
Lot Size
Zoning
538,944 SF
20.73 AC
Address
Land Use
TOTAL SIZE
Lot Size
Zoning
125,388 SF
8.88 AC
LVPR15A*
Address
Land Use
TOTAL SIZE
Lot Size
Zoning
218,376 SF
12.50 AC
Address
Land Use
TOTAL SIZE
Lot Size
Zoning
196,175 SF
9.14 AC
POM2*
Address
Land Use
TOTAL SIZE
Lot Size
Zoning
198,575 SF
7.72 AC
LUCPD*
Address
Land Use
TOTAL SIZE
Lot Size
Zoning
176,482 SF
2.31 AC
POMU
Address
Land Use
TOTAL SIZE
Lot Size
Zoning
9,594 SF
8.16 AC
POM2*
Address
Land Use
TOTAL SIZE
Lot Size
Zoning
157,736 SF
8.14 AC
POC1
Address
Land Use
TOTAL SIZE
Lot Size
Zoning
272,258 SF
1.41 AC
POMU
Address
Land Use
TOTAL SIZE
Lot Size
Zoning
1.86 AC
Address
Land Use
TOTAL SIZE
Lot Size
Zoning
99,508 SF
16.74 AC
CLE*
Address
Land Use
TOTAL SIZE
Lot Size
Zoning
107,525 SF
POR4*
Address
Land Use
TOTAL SIZE
Lot Size
Zoning
100,815 SF
3.96 AC
Address
Land Use
TOTAL SIZE
Lot Size
Zoning
180,868 SF
8.24 AC
Address
Land Use
TOTAL SIZE
Lot Size
Zoning
119,109 SF
10.39 AC
CLE*
Address
Land Use
TOTAL SIZE
Lot Size
Zoning
355,816 SF
16.59 AC
POC4*





