Property Record
770 Boston Post Rd E, Marlborough, MA 01752
Property Detail
770 Boston Post Rd E
Servicestation
Middlesex
B
Massachusetts
B and X Area of moderate flood hazard, usually the area between the limits of the 100-year and 500-year floods.
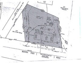
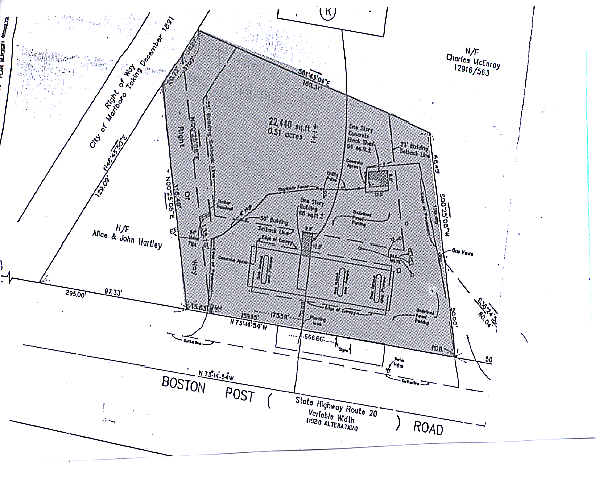
0.52 AC
2025
Marlborough
2025
Boston
321100
Boston-Cambridge-Newton, MA-NH
1,000 SF
MARL-000061-000012
NEARBY LISTINGS FOR SALE OR LEASE
DEMOGRAPHICS near 770 Boston Post Rd E
1 mile
3 mile
5 mile
2025 Total Population
6,311
37,915
111,057
2030 Population
6,618
39,339
115,435
Pop Growth 2025-2030
+ 4.86%
+ 3.76%
+ 3.94%
Average Age
43
42
42
2025 Total Households
2,790
14,924
42,920
HH Growth 2025-2030
+ 4.91%
+ 3.89%
+ 4.12%
Median Household Inc
$68,006
$104,814
$121,009
Avg Household Size
2.20
2.50
2.50
2025 Avg HH Vehicles
1.00
2.00
2.00
Median Home Value
$368,502
$618,658
$673,362
Median Year Built
1985
1975
1972
Nearby Places
Map Layers
Listings with unknown addresses are not visible on the map
- Restaurants
- Banks
- Shops
- Fitness
- Groceries
PUBLIC TRANSPORTATION
COMMUTER RAIL
Southborough (Framingham/Worcester Line - Massachusetts Bay Transportation Authority Commuter Rail (Purple Line))
Drive
Walk
Distance
Southborough (Framingham/Worcester Line - Massachusetts Bay Transportation Authority Commuter Rail (Purple Line))
16 min
7.0 mi
AIRPORT
Worcester Regional
Drive
Walk
Distance
Worcester Regional
37 min
25.2 mi
General Edward Lawrence Logan International
Drive
Walk
Distance
General Edward Lawrence Logan International
49 min
29.5 mi
Freight Ports
Port of Boston
Drive
Walk
Distance
Port of Boston
47 min
27.8 mi
Nearby Properties
Address
Land Use
TOTAL SIZE
Lot Size
Zoning
Address
Land Use
TOTAL SIZE
Lot Size
Zoning
21.41 AC
LI
Address
Land Use
TOTAL SIZE
Lot Size
Zoning
284,231 SF
62.04 AC
A2
Address
Land Use
TOTAL SIZE
Lot Size
Zoning
23,890 SF
36.39 AC
A3
Address
Land Use
TOTAL SIZE
Lot Size
Zoning
4,188 SF
23.20 AC
B
Address
Land Use
TOTAL SIZE
Lot Size
Zoning
267,805 SF
30.74 AC
A2
Address
Land Use
TOTAL SIZE
Lot Size
Zoning
7,960 SF
17.89 AC
RR
Address
Land Use
TOTAL SIZE
Lot Size
Zoning
157.48 AC
LI
Address
Land Use
TOTAL SIZE
Lot Size
Zoning
188,882 SF
19.37 AC
A3
Address
Land Use
TOTAL SIZE
Lot Size
Zoning
22.74 AC
A1
Address
Land Use
TOTAL SIZE
Lot Size
Zoning
35,211 SF
89 AC
RA
Address
Land Use
TOTAL SIZE
Lot Size
Zoning
9.66 AC
A1
Address
Land Use
TOTAL SIZE
Lot Size
Zoning
99,619 SF
1.56 AC
B
Address
Land Use
TOTAL SIZE
Lot Size
Zoning
21.17 AC
A1
Address
Land Use
TOTAL SIZE
Lot Size
Zoning
85,958 SF
13.52 AC
A3
Address
Land Use
TOTAL SIZE
Lot Size
Zoning
10,338 SF
4.76 AC
CA
Address
Land Use
TOTAL SIZE
Lot Size
Zoning
71.89 AC
RR
Address
Land Use
TOTAL SIZE
Lot Size
Zoning
3.58 AC
B
Address
Land Use
TOTAL SIZE
Lot Size
Zoning
116,597 SF
11.29 AC
B
Address
Land Use
TOTAL SIZE
Lot Size
Zoning
33,328 SF
0.95 AC
RC
Address
Land Use
TOTAL SIZE
Lot Size
Zoning
127,400 SF
14.55 AC
I
Address
Land Use
TOTAL SIZE
Lot Size
Zoning
105,560 SF
4.62 AC
B
Address
Land Use
TOTAL SIZE
Lot Size
Zoning
93,315 SF
13 AC
B
Address
Land Use
TOTAL SIZE
Lot Size
Zoning
75,513 SF
9.70 AC
A3
Address
Land Use
TOTAL SIZE
Lot Size
Zoning
102,581 SF
2.66 AC
I
Address
Land Use
TOTAL SIZE
Lot Size
Zoning
9.90 AC
I
Address
Land Use
TOTAL SIZE
Lot Size
Zoning
122.98 AC
SA8
Address
Land Use
TOTAL SIZE
Lot Size
Zoning
159,720 SF
16.05 AC
M6
Address
Land Use
TOTAL SIZE
Lot Size
Zoning
10.60 AC
B
Address
Land Use
TOTAL SIZE
Lot Size
Zoning
117,439 SF
2.42 AC
B
Address
Land Use
TOTAL SIZE
Lot Size
Zoning
65.15 AC
WI







