Property Record
This page contains information about the property located at 7777 W 11Th St, Tracy, CA, 95304.

7777 W 11Th St, Tracy, CA 95304

Property Detail

Information for the property located at 7777 W 11Th St Tracy, CA includes data gathered from San Joaquin County tax records, public records data providers and LoopNet historical data records.
7777 W 11Th St
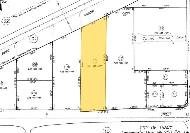
250-140-11
REDRAW 881024 FR ORIG APN 237030085
Commercialacreage
San Joaquin
CG
California
B and X Area of moderate flood hazard, usually the area between the limits of the 100-year and 500-year floods.
5.01 AC
2025
Tracy/Manteca
2025
Stockton/Modesto
005214
Stockton-Lodi, CA
3,200 SF

DEMOGRAPHICS near 7777 W 11Th St

1 mile
3 mile
5 mile
2025 Total Population
1,102
66,616
104,848
2030 Population
1,153
69,345
109,462
Pop Growth 2025-2030
+ 4.63%
+ 4.10%
+ 4.40%
Average Age
39
38
38
2025 Total Households
359
20,475
30,826
HH Growth 2025-2030
+ 4.46%
+ 4.17%
+ 4.51%
Median Household Inc
$109,333
$109,407
$120,292
Avg Household Size
3.10
3.20
3.30
2025 Avg HH Vehicles
2.00
2.00
3.00
Median Home Value
$699,720
$697,997
$731,069
Median Year Built
1979
1988
1994

Nearby Places

Map Layers
Map Styles
Street
Aerial
Layers
Transit
Traffic
Biking
Places
Listings with unknown addresses are not visible on the map

PUBLIC TRANSPORTATION

COMMUTER RAIL
Tracy Station (ACE Train - Altamont Corridor Express)
Drive
Walk
Distance
Tracy Station (ACE Train - Altamont Corridor Express)
9 min
5.0 mi
Lathrop Station (ACE Train - Altamont Corridor Express)
Drive
Walk
Distance
Lathrop Station (ACE Train - Altamont Corridor Express)
14 min
9.5 mi
AIRPORT
Stockton Metro
Drive
Walk
Distance
Stockton Metro
23 min
17.4 mi
Freight Ports
Port of Stockton
Drive
Walk
Distance
Port of Stockton
26 min
20.7 mi

SALE & LEASE HISTORY

LoopNet.com has seen the following sale and lease activity for the property located at 7777 W 11Th St, Tracy, CA
 
LISTING DATE
SALE/LEASE
Sep 24, 2016
For Sale

Nearby Properties

Address
Land Use
TOTAL SIZE
Lot Size
Zoning
Address
Land Use
TOTAL SIZE
Lot Size
Zoning
3,485,402 SF
86.48 AC
Address
Land Use
TOTAL SIZE
Lot Size
Zoning
610,914 SF
28.11 AC
M1
Address
Land Use
TOTAL SIZE
Lot Size
Zoning
Address
Land Use
TOTAL SIZE
Lot Size
Zoning
925,475 SF
42.09 AC
Address
Land Use
TOTAL SIZE
Lot Size
Zoning
657,600 SF
44.03 AC
Address
Land Use
TOTAL SIZE
Lot Size
Zoning
Address
Land Use
TOTAL SIZE
Lot Size
Zoning
1,124,201 SF
53.72 AC
Address
Land Use
TOTAL SIZE
Lot Size
Zoning
795,732 SF
36.67 AC
IG
Address
Land Use
TOTAL SIZE
Lot Size
Zoning
22,926 SF
11.63 AC
Address
Land Use
TOTAL SIZE
Lot Size
Zoning
749,840 SF
37.96 AC
Address
Land Use
TOTAL SIZE
Lot Size
Zoning
Address
Land Use
TOTAL SIZE
Lot Size
Zoning
567,870 SF
36.41 AC
M1
Address
Land Use
TOTAL SIZE
Lot Size
Zoning
461,810 SF
23.23 AC
PUD3
Address
Land Use
TOTAL SIZE
Lot Size
Zoning
827,280 SF
36.18 AC
Address
Land Use
TOTAL SIZE
Lot Size
Zoning
381,600 SF
19.46 AC
Address
Land Use
TOTAL SIZE
Lot Size
Zoning
309,108 SF
19.39 AC
Address
Land Use
TOTAL SIZE
Lot Size
Zoning
442,350 SF
27.01 AC
CN
Address
Land Use
TOTAL SIZE
Lot Size
Zoning
Address
Land Use
TOTAL SIZE
Lot Size
Zoning
382,260 SF
18.70 AC
Address
Land Use
TOTAL SIZE
Lot Size
Zoning
532,500 SF
25.15 AC
Address
Land Use
TOTAL SIZE
Lot Size
Zoning
265,868 SF
11.99 AC
Address
Land Use
TOTAL SIZE
Lot Size
Zoning
265,000 SF
10.83 AC
Address
Land Use
TOTAL SIZE
Lot Size
Zoning
126,204 SF
110.07 AC
Address
Land Use
TOTAL SIZE
Lot Size
Zoning
258,520 SF
16.74 AC
Address
Land Use
TOTAL SIZE
Lot Size
Zoning
210,000 SF
12.93 AC
Address
Land Use
TOTAL SIZE
Lot Size
Zoning
155,942 SF
11.90 AC
See More See Less

The World's #1 Commercial Real Estate Marketplace

What is a Walk Score®, Transit Score® & Bike Score®?
Walk Score® measures the walkability of any address.
Transit Score® measures access to public transit.
Bike Score® measures bikeability of a location.
What is a Walk Score®
, Transit Score® & Bike Score?
Walk Score® measures the walkability
of any address. Transit Score®
measures access to public transit. Bike Score®
measures bikeability of a location.®