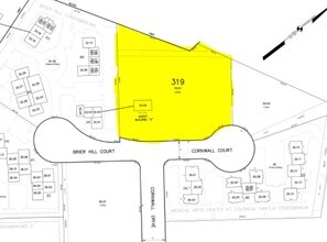
Property Record
8 Cornwall Dr, Edison, NJ 08820
Current Lease Availabilities
NEARBY LISTINGS FOR SALE OR LEASE
-
-
No Photo
-
-
-
-
-
-
View all Edison listings for lease on LoopNet.com
Property Detail
8 Cornwall Dr
04-00319-0000-00033-01
0002.890
Recreationalentertainmentgeneral
Middlesex
X
New Jersey
34023C0141F
33.1
2024
2.89 AC
2025
Brunswick
006605
Northern New Jersey
50,000 SF
New York-Jersey City-White Plains, NY-NJ
DEMOGRAPHICS near 8 Cornwall Dr
1 Mile
3 Mile
5 Mile
2024 Total Population
11,409
62,496
171,703
2029 Population
11,333
62,135
170,727
Pop Growth 2024-2029
(0.67%)
(0.58%)
(0.57%)
Average Age
43
42
40
2024 Total Households
4,194
22,008
58,908
HH Growth 2024-2029
(0.79%)
(0.70%)
(0.65%)
Median Household Inc
$125,426
$123,315
$109,297
Avg Household Size
2.70
2.80
2.80
2024 Avg HH Vehicles
2.00
2.00
2.00
Median Home Value
$534,199
$426,390
$414,372
Median Year Built
1981
1968
1973
Nearby Places
Map Layers
- Restaurants
- Banks
- Shops
- Fitness
- Groceries
PUBLIC TRANSPORTATION
COMMUTER RAIL
New Brunswick (Northeast Corridor Line - NJ Transit Commuter Rail (NJ Transit))
DRIVE
WALK
Distance
New Brunswick (Northeast Corridor Line - NJ Transit Commuter Rail (NJ Transit))
16 min
7.9 mi
Jersey Avenue (Northeast Corridor Line - NJ Transit Commuter Rail (NJ Transit))
DRIVE
WALK
Distance
Jersey Avenue (Northeast Corridor Line - NJ Transit Commuter Rail (NJ Transit))
22 min
8.2 mi
AIRPORT
Trenton Mercer
DRIVE
WALK
Distance
Trenton Mercer
45 min
27.9 mi
Newark Liberty International
DRIVE
WALK
Distance
Newark Liberty International
44 min
30.8 mi
Freight Ports
New York Container Terminal
DRIVE
WALK
Distance
New York Container Terminal
37 min
25.9 mi
Nearby Properties
Address
Land Use
TOTAL SIZE
Lot Size
Zoning
Address
Land Use
TOTAL SIZE
Lot Size
Zoning
Address
Land Use
TOTAL SIZE
Lot Size
Zoning
87.65 AC
LI-4
Address
Land Use
TOTAL SIZE
Lot Size
Zoning
24.19 AC
R100
Address
Land Use
TOTAL SIZE
Lot Size
Zoning
160,986 SF
60.24 AC
Address
Land Use
TOTAL SIZE
Lot Size
Zoning
5.10 AC
Address
Land Use
TOTAL SIZE
Lot Size
Zoning
44.80 AC
LI-4
Address
Land Use
TOTAL SIZE
Lot Size
Zoning
49.12 AC
LI-4
Address
Land Use
TOTAL SIZE
Lot Size
Zoning
56 AC
LI-4
Address
Land Use
TOTAL SIZE
Lot Size
Zoning
245,980 SF
54.02 AC
OP1
Address
Land Use
TOTAL SIZE
Lot Size
Zoning
48.39 AC
LI-4
Address
Land Use
TOTAL SIZE
Lot Size
Zoning
8,512 SF
65.36 AC
MH
Address
Land Use
TOTAL SIZE
Lot Size
Zoning
413,092 SF
35.48 AC
LI-4
Address
Land Use
TOTAL SIZE
Lot Size
Zoning
34.73 AC
LI-4
Address
Land Use
TOTAL SIZE
Lot Size
Zoning
526,400 SF
40 AC
LI-4
Address
Land Use
TOTAL SIZE
Lot Size
Zoning
320,852 SF
39 AC
LI4R
Address
Land Use
TOTAL SIZE
Lot Size
Zoning
26.69 AC
LI-4
Address
Land Use
TOTAL SIZE
Lot Size
Zoning
2.53 AC
HR
Address
Land Use
TOTAL SIZE
Lot Size
Zoning
93,180 SF
0.65 AC
C-4
Address
Land Use
TOTAL SIZE
Lot Size
Zoning
418,300 SF
27.40 AC
LI-4
Address
Land Use
TOTAL SIZE
Lot Size
Zoning
34.64 AC
LI-4
Address
Land Use
TOTAL SIZE
Lot Size
Zoning
368.92 AC
RP
Address
Land Use
TOTAL SIZE
Lot Size
Zoning
29.98 AC
O1
Address
Land Use
TOTAL SIZE
Lot Size
Zoning
64,544 SF
7.62 AC
C-2
Address
Land Use
TOTAL SIZE
Lot Size
Zoning
282,731 SF
24.96 AC
HC2
Address
Land Use
TOTAL SIZE
Lot Size
Zoning
13.01 AC
HC3
Address
Land Use
TOTAL SIZE
Lot Size
Zoning
62.23 AC
R2
Address
Land Use
TOTAL SIZE
Lot Size
Zoning
8.95 AC
R100
Address
Land Use
TOTAL SIZE
Lot Size
Zoning
293,800 SF
23.81 AC
LI-4
Address
Land Use
TOTAL SIZE
Lot Size
Zoning
57,900 SF
8.96 AC
B-5
Address
Land Use
TOTAL SIZE
Lot Size
Zoning
19,110 SF
0.29 AC
C-3B





