Property Record
81 W 2050 N, Spanish Fork, UT 84660
NEARBY LISTINGS FOR SALE OR LEASE
Property Detail
81 W 2050 N
Provo-Orem, UT
COM S 304.48 FT & W 552.37 FT FR E 1/4 COR. SEC. 12, T8S, R2E, SLB&M.; N 89 DEG 28 32 E 153.09 FT; S 156.61 FT; S 89 DEG 52 22 W 152.79 FT; N 0 DEG 6 26 W 155.55 FT TO BEG. AREA 0.548 AC.
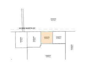
24-046-0057
Utah
Warehouse
Utah
2024
0.58 AC
2025
Utah County
010503
Salt Lake City
26,850 SF
DEMOGRAPHICS near 81 W 2050 N
1 Mile
3 Mile
5 Mile
2024 Total Population
59
48,194
100,175
2029 Population
68
56,440
117,213
Pop Growth 2024-2029
+ 15.25%
+ 17.11%
+ 17.01%
Average Age
35
31
32
2024 Total Households
19
13,619
27,773
HH Growth 2024-2029
+ 15.79%
+ 17.41%
+ 17.32%
Median Household Inc
$71,249
$85,732
$91,890
Avg Household Size
2.80
3.50
3.60
2024 Avg HH Vehicles
2.00
2.00
3.00
Median Home Value
$600,000
$404,816
$439,611
Median Year Built
2007
2001
2000
Nearby Places
Map Layers
- Restaurants
- Banks
- Shops
- Fitness
- Groceries
PUBLIC TRANSPORTATION
COMMUTER RAIL
Provo Central Station (FrontRunner - Utah Transit Authority (UTA))
DRIVE
WALK
Distance
Provo Central Station (FrontRunner - Utah Transit Authority (UTA))
12 min
7.3 mi
Provo Amtrak (California Zephyr - Amtrak)
DRIVE
WALK
Distance
Provo Amtrak (California Zephyr - Amtrak)
12 min
7.3 mi
AIRPORT
Provo Municipal
DRIVE
WALK
Distance
Provo Municipal
16 min
9.3 mi
Freight Ports
Port of Stockton
DRIVE
WALK
Distance
Port of Stockton
765 min
745.9 mi
Nearby Properties
Address
Land Use
TOTAL SIZE
Lot Size
Zoning
Address
Land Use
TOTAL SIZE
Lot Size
Zoning
44,552 SF
29.78 AC
Address
Land Use
TOTAL SIZE
Lot Size
Zoning
69,236 SF
30.28 AC
Address
Land Use
TOTAL SIZE
Lot Size
Zoning
565,605 SF
20 AC
Address
Land Use
TOTAL SIZE
Lot Size
Zoning
263,859 SF
12.80 AC
Address
Land Use
TOTAL SIZE
Lot Size
Zoning
281,008 SF
16.65 AC
Address
Land Use
TOTAL SIZE
Lot Size
Zoning
281,008 SF
14.84 AC
Address
Land Use
TOTAL SIZE
Lot Size
Zoning
204,890 SF
15.28 AC
Address
Land Use
TOTAL SIZE
Lot Size
Zoning
271,536 SF
11.80 AC
Address
Land Use
TOTAL SIZE
Lot Size
Zoning
301,852 SF
20.24 AC
Address
Land Use
TOTAL SIZE
Lot Size
Zoning
170,774 SF
9.70 AC
Address
Land Use
TOTAL SIZE
Lot Size
Zoning
243,888 SF
32.23 AC
Address
Land Use
TOTAL SIZE
Lot Size
Zoning
159,679 SF
12.91 AC
Address
Land Use
TOTAL SIZE
Lot Size
Zoning
322,432 SF
29.36 AC
Address
Land Use
TOTAL SIZE
Lot Size
Zoning
210,644 SF
19.55 AC
Address
Land Use
TOTAL SIZE
Lot Size
Zoning
125,729 SF
12.84 AC
Address
Land Use
TOTAL SIZE
Lot Size
Zoning
29,819 SF
13.51 AC
Address
Land Use
TOTAL SIZE
Lot Size
Zoning
45,976 SF
39.98 AC
Address
Land Use
TOTAL SIZE
Lot Size
Zoning
184,079 SF
11.47 AC
Address
Land Use
TOTAL SIZE
Lot Size
Zoning
149,046 SF
12.10 AC
Address
Land Use
TOTAL SIZE
Lot Size
Zoning
141,566 SF
7.89 AC
Address
Land Use
TOTAL SIZE
Lot Size
Zoning
79,260 SF
5.24 AC
Address
Land Use
TOTAL SIZE
Lot Size
Zoning
134,564 SF
8.03 AC
Address
Land Use
TOTAL SIZE
Lot Size
Zoning
70.92 AC
Address
Land Use
TOTAL SIZE
Lot Size
Zoning
124,255 SF
9.87 AC
Address
Land Use
TOTAL SIZE
Lot Size
Zoning
112,094 SF
10.34 AC
Address
Land Use
TOTAL SIZE
Lot Size
Zoning
120,141 SF
7.71 AC
Address
Land Use
TOTAL SIZE
Lot Size
Zoning
41,814 SF
25.06 AC
Address
Land Use
TOTAL SIZE
Lot Size
Zoning
96,665 SF
22.25 AC
Address
Land Use
TOTAL SIZE
Lot Size
Zoning
103,642 SF
6.29 AC
Address
Land Use
TOTAL SIZE
Lot Size
Zoning
171,101 SF
11.65 AC




